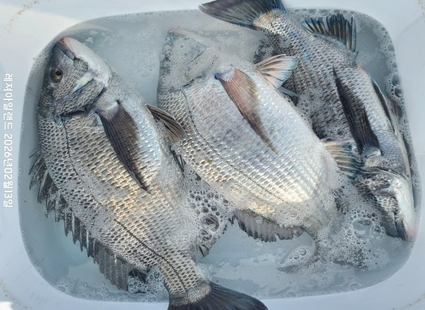
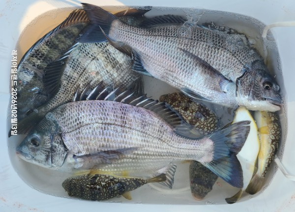
금,토/ 황제도권 이어가는 덩치급 감성돔 조황 ^^

신상품 소개


회원 랭킹


공지사항


NaverBand
점주/선장 > 갯바위 + 방파제 조황

금,토/ 황제도권 이어가는 덩치급 감성돔 조황 ^^

레져아일랜드 0 41
● 출항지 : 장흥,완도
c08edef22b1fb96258a133a212448a90.jpg

20260214_133529.jpg


new_20260213_124723.jpg


20260214_134837.jpg


20260214_133556.jpg


20260214_134650.jpg


20260213_130814.jpg


20260213_132932.jpg


20260213_133448.jpg


20260213_135121.jpg


20260213_135246.jpg


20260213_150727.jpg


20260214_125533.jpg

*금,토 일부 조황 중에서~~

*화,수/17,18  덕우도경유 황제도 출조 합니다.

*밴드(레져아일랜드)에 들어 오시면 실시간 조황 확인 하실수 있습니다.





*** 장흥 레져아일랜드 예약 안내 ***


예약문의 : 010-9567-1126

오시는길 : 전남 장흥군 회진면 해양낚시길 131 레져아일랜드
홈페이지 : https://ireland.sunsang24.com/
 밴 드   :https://band.us/band/71091142

모바일.gif 

blank.png1


  • 페이스북으로 보내기
  • 트위터로 보내기
  • 구글플러스로 보내기
  • 카카오스토리로 보내기
  • 네이버밴드로 보내기
  • 네이버로 보내기
  • 텀블러로 보내기
  • 핀터레스트로 보내기
0 댓글
포토 제목
 
 

인낚 최신글


인낚 최신댓글


온라인 문의 안내


월~금 : 9:00 ~ 18:00
토/일/공휴일 휴무
점심시간 : 12:00 ~ 13:00