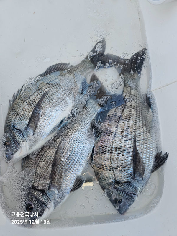
가덕대항낚시[벵에돔/마릿수]조황입니다.

신상품 소개


회원 랭킹


공지사항


NaverBand
점주/선장 > 갯바위 + 방파제 조황

가덕대항낚시[벵에돔/마릿수]조황입니다.

가덕도대항낚시선장 0 390
● 출항지 : 부산

안녕 하세요.
가덕도 대항낚시 입니다.

.............[가덕도본섬/벵에돔/마릿수]조황입니다.]...........

...........[ 벵에돔 많이 나오니 벵에돔 출조를 권해봅니다.]......

....1.[첫배 출조는 3시전까지 오시기 바랍니다.]...........


....2.[첫 배 출항이후부터는 한분이라도 바로 출항 합니다.]..


....3.[출조지는//솔섬//포구나무//등대//돌무너진곳//아동섬등//출항합니다]''


,,,,4.[철수시간은';10시//12시//2시//4시//5시가 마지막철수입니다.]..
,,,,,,,,,,,,,,,,,,,,,,,,,,,,,,,,,,,,,,,,,,,,,,,,,,,,,,,,,,,,,,,,,,,,,,,,,,,,,,,,,,,,,,,,,,,,,,,,,,,,,,,,,,,

,,,,,[밑밥은 낚시 마트나 도매상에서 구입하시고 배만이용 하셔도 됩니다.],,.........
,,,,,,,,,,,,,,,,,,,,,,,,,,,,,,,,,,,,,,,,,,,,,,,,,,,,,,,,,,,,,,,,,,,,,,,,,,,,,,,,,,,,,,,,,,,,,,,,,,,,,,,,,

...1.[.[대항낚시 네비주소;;  부산시 강서구 가덕해안로1326 치시면 됩니다.]].....


...2.대항낚시 네비주소 :;[ [부산시 가덕도 등대.]];;입력하시고 오셔도 됩니다.]]....

외양포항 대항낚시점 정확한 위치는 대항 마을 입구 삼거리 회차구간에서 계속 직진하면 됩니다.
......................................................................................................................
[대항낚시 문의전화는[010-4558-9468]입니다

  • 페이스북으로 보내기
  • 트위터로 보내기
  • 구글플러스로 보내기
  • 카카오스토리로 보내기
  • 네이버밴드로 보내기
  • 네이버로 보내기
  • 텀블러로 보내기
  • 핀터레스트로 보내기
0 댓글
포토 제목
 
 

인낚 최신글


인낚 최신댓글


온라인 문의 안내


월~금 : 9:00 ~ 18:00
토/일/공휴일 휴무
점심시간 : 12:00 ~ 13:00