*** (일) 소안도 조황입니다 ***

신상품 소개


회원 랭킹


공지사항


NaverBand
점주/선장 > 갯바위 + 방파제 조황

*** (일) 소안도 조황입니다 ***

달량진낚시 0 234
● 출항지 : 완도

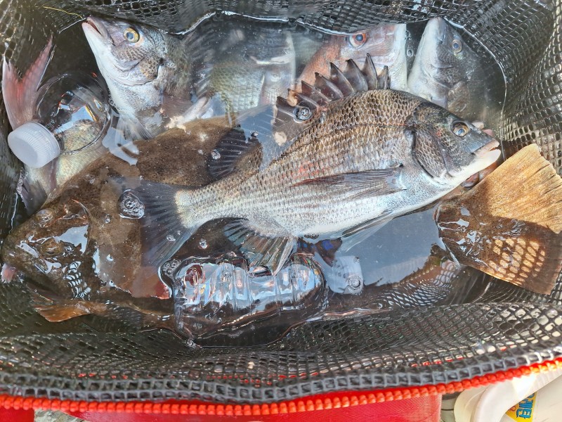
일요일 소안도 다녀왔습니다

수온22.5도 서풍약간 날씨 좋아졌습니다


지난주에 이어 감서돔 뺀찌 참돔 많이 나왔습니다

물색 진정돼고 날씨좋아 조은 조황입니다


*** (월.화.수) 소안도 갑니다 ***


061   534-4009

010   5408-4906


달량진낚시

전남 해남군 북평면 현산북평로 1133

  • 페이스북으로 보내기
  • 트위터로 보내기
  • 구글플러스로 보내기
  • 카카오스토리로 보내기
  • 네이버밴드로 보내기
  • 네이버로 보내기
  • 텀블러로 보내기
  • 핀터레스트로 보내기
0 댓글
포토 제목
 
 

인낚 최신글


인낚 최신댓글


온라인 문의 안내


월~금 : 9:00 ~ 18:00
토/일/공휴일 휴무
점심시간 : 12:00 ~ 13:00