네임
카드
카드
통영대박피싱
경남 통영시 인평동 967번지 (인평어촌계 회관)
010-9301-7498
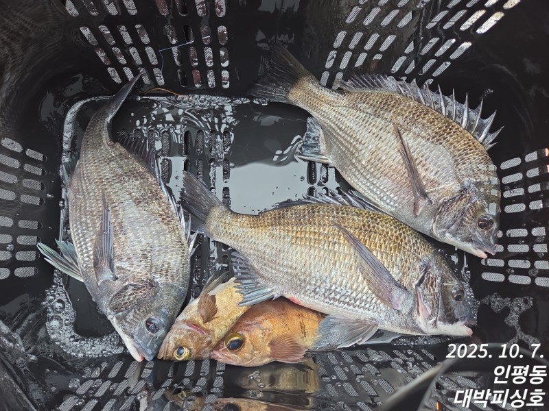
대박호)북신만/사량도 감성돔 물색좋타!!
경남 통영시 인평동 967번지 (인평어촌계 회관)

대박피싱호 입니다.
그동안 못올린 사진 올립니다
이제 물색도 좋아지고 수온도 내려가고
마릿수 및 대물들이 쏟아 질듯 합니다
목요일 새벽 정상출조하고
종일낚시는 없습니다
사량도 북신만/남만
연휴동안 사량도/두미도로 나갑니다
다시 한번 촉을 세워서 감성돔 사냥 갑니다
추석연휴 계속해서 정상출조 나갑니다
대박호는 선상낚시를 하지않습니다
100%로 갯바위 찌낚시 입니다
내만권 부터 사량도 두미도까지
감성돔/참돔 /벵에돔/뺀찌
출조합니다
감성돔 잡어미끼 강냉이/경단/멍게 준비
주말은 미리미리 예약 해주십시요~
010 9301 7498

▶Click 하시면 밴드로 이동합니다.
#1인 야영은 안전의 이유로 받지않습니다#
*양해바랍니다*
~밑밥은 준비해오십시요~
(내만권3만원)
(두미도6만원)























|
|
|
|

