감성돔 출조(조항)

신상품 소개


회원 랭킹


공지사항


NaverBand
점주/선장 > 선상(배) 조황
b_hot_activegloat_200x80.gif b_hot_innakmall_200x80_220704.jpg b_hot_ggsusan_hongeu_200x80.gif b_hot_innakmall_200x80_211203.gif

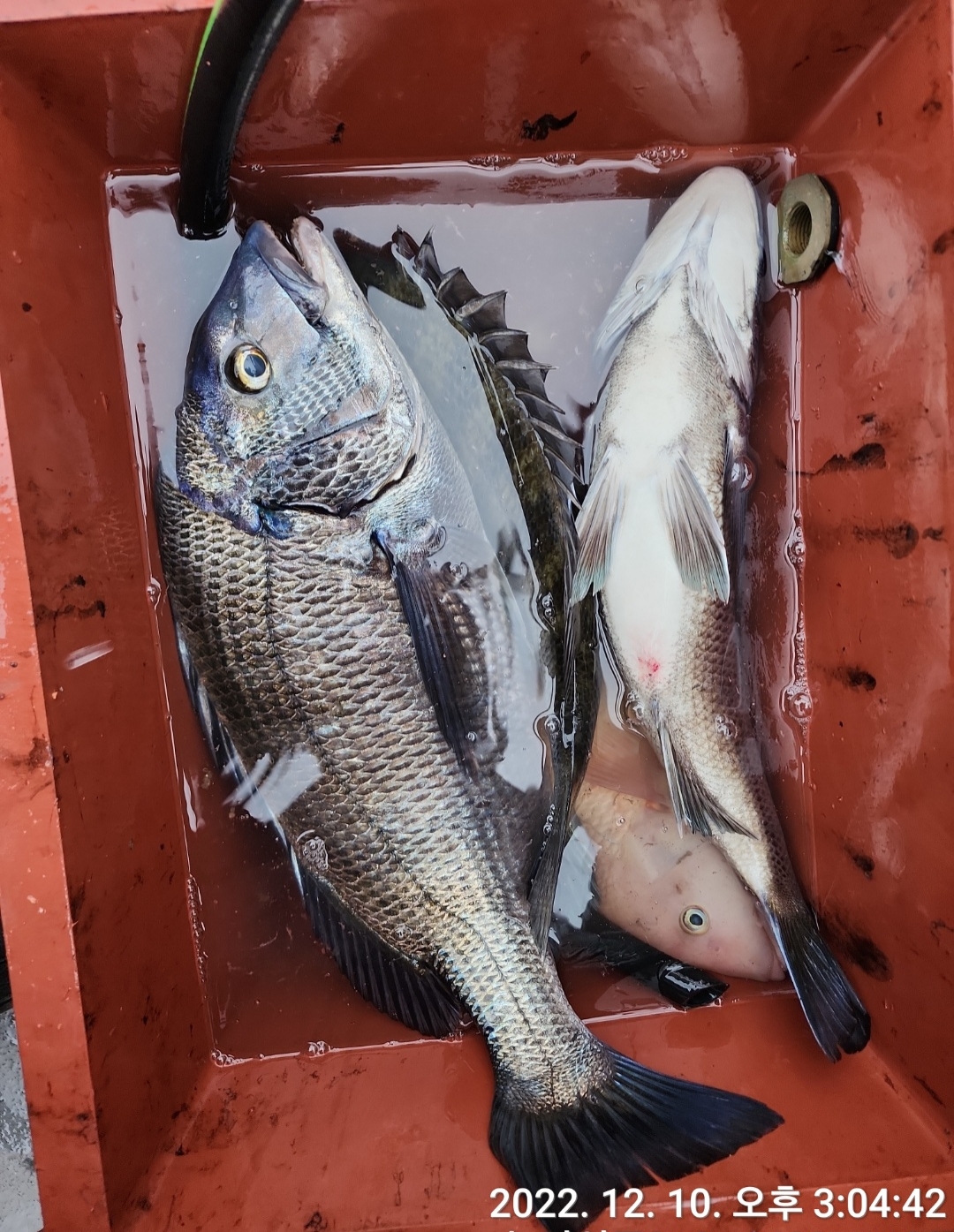
감성돔 출조(조항)

여수뉴라이프 0 121

10일 토요일  감성돔 조항입니다


올해 두 번째 출조인데 사이즈가 


많이 커졌네요 


4짜중반 되는 감성 돔들이 얼굴을


보이고 있습니다.


5분이상 이면 출조 합니다.


☎️ 010 -5336 -9451 예약56cbc5c4993a9e77910697232b3bb118_1670656143_5824.JPEG



56cbc5c4993a9e77910697232b3bb118_1670656152_891.jpg



56cbc5c4993a9e77910697232b3bb118_1670656159_1033.jpg



56cbc5c4993a9e77910697232b3bb118_1670656166_4728.jpg



56cbc5c4993a9e77910697232b3bb118_1670656173_6711.jpg



56cbc5c4993a9e77910697232b3bb118_1670656187_1306.jpg



56cbc5c4993a9e77910697232b3bb118_1670656194_4175.jpg



56cbc5c4993a9e77910697232b3bb118_1670656203_3075.jpg



56cbc5c4993a9e77910697232b3bb118_1670656211_869.jpg



56cbc5c4993a9e77910697232b3bb118_1670656225_2801.jpg



56cbc5c4993a9e77910697232b3bb118_1670656234_956.jpg



56cbc5c4993a9e77910697232b3bb118_1670656244_1492.jpg


 







0 Comments
포토 제목
 
 

인낚 최신글


인낚 최신댓글


온라인 문의 안내


월~금 : 9:00 ~ 18:00
토/일/공휴일 휴무
점심시간 : 12:00 ~ 13:00