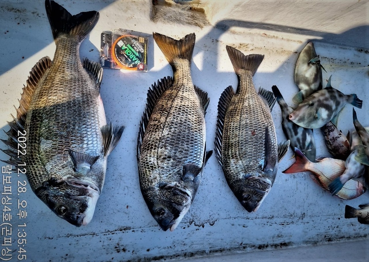
감성돔 5짜급 48Cm 47Cm 42Cm~람보피싱 4호 조황 (30일 예약)

신상품 소개


회원 랭킹


공지사항


NaverBand
점주/선장 > 선상(배) 조황
b_hot_activegloat_200x80.gif b_hot_innakmall_200x80_220704.jpg b_hot_ggsusan_hongeu_200x80.gif b_hot_innakmall_200x80_211203.gif

감성돔 5짜급 48Cm 47Cm 42Cm~람보피싱 4호 조황 (30일 예약)

람보피싱4호 1 208
28일(수) 거제 법동출발, 감성돔낚시 전문 람보피싱 4호 조황입니다.
※ 선내에서는 마스크를 필히 착용을 해 주시길 바랍니다.
※ 53Cm이상 대물 포획시, AJIKA(아지카) 최상급 클라스 라인 증정.

★ 30일(금요일) 거제권 자연 어초권 감성돔낚시 전문 "예약가능"
☆ 30일 물때: 조금 만조: 14:18분 / 간조: 07:24분)
※ 람보피싱은 1호 2호 3호 4호까지 직영 운영하고 있습니다.
 48Cm 47Cm 42Cm 빵좋은 감시들~

거제도 감성돔낚시와 참돔 선상낚시 전문출조점 람보피싱 4호입니다.
어제 5짜 감성돔을 뽑아낸 수중어초 자리에서 오늘은 5짜에서 조금 모자
라지만 빵이 엄청나게 좋은 48Cm 47Cm 42Cm 감성돔 3수와 참돔, 볼락,
 쥐치가 보였습니다. 수일째 수중어초권에 안정적인 수온이 유지되면서
주말까지 대물들은 꾸준히 보일 것으로 예상 해 봅니다.

30일 목요일부터 예약가능합니다. 거제권 최고의 포인트 자연 수중어초
만을 전문적으로 공략하는 람보피싱입니다. 오늘도 람보피싱을 이용 해
주신 조사님들께 감사의 글 전합니다. 수고하셨습니다.

▦ 자연 어초권 감성돔 & 먼바다 참돔낚시 일정 안내 ▦
★ 30일 (금) 어초권 감성돔낚시 & 먼바다 참돔낚시 전문 "예약가능"
★ 31일 (토) 어초권 감성돔낚시 & 먼바다 참돔낚시 전문 "예약가능"
★ 1월 1일(일) 예약완료.
★ 1월 2일(월) 어초권 감성돔낚시 & 먼바다 참돔낚시 전문 "예약가능"
- 금요일/토요일/일요일 주말 예약은 서둘러 예약해주세요


▦ 람보피싱
(출조 문의) ☎010.8387.0331 (부재시) ☎010.9046.1156
(출항지/주소) 경남 거제시 거제면 법동리 1056번지

▦ 감성돔 선상낚시 출조 ▦
(출조 시기) 11월부터 6월 까지.
(종일/흘림낚시) 새벽부터 오후 2시 까지
- 도시락, 생수, 밑밥, 미끼 커피 (10만원)
(종일/카고낚시) 새벽부터 오후 2시 까지
- 도시락, 생수, 밑밥, 미끼 커피 (10만원)
▶ 어초/여밭 감성돔낚시는 11월부터 4월 까지 (종일낚시만 운영).

▦ 참돔 선상낚시 출조 ▦
(출조 시기) 6월 부터 10월까지.
(오전낚시) 새벽부터 13時 까지 (유동적)
(오후낚시) 13時부터 일몰까지 (3명부터 출조 운영)
- 도시락, 생수, 밑밥, 미끼 커피 (13만원)

<참돔낚시 채비>
(낚 시 대) 1.5호대부터 2호대 까지 사용.
(릴-Reel) 5000번, 원줄 5호, 목줄 3~5호 정도.
(찌-Float) 잠수찌 -2B, -3B 사용
※ 참돔낚시에는 막대찌 채비를 사용하지 않고, 참돔 기본 채비만 운용.

▦ 00피싱 이용 안내 ▦
▶ 기상만 허락되면 1명 조사님이라도 매일 매일 출조합니다.
▶ 포인트는 수년간 가장 승율높은 포인트만을 선별해서 진입합니다.
▶ 찾아 주신 조사님들께 손맛 보실 수 있도록 최선을 다하겠습니다.
▶ 00피싱은 베테랑 선장 구성 (4선단으로 운영).
▶ 먼 바다 참돔 출조는 3명 이상 되면 출조합니다

◐ 협력 숙박시설 ◐
산애수펜션 ☎ 010-8548-2366 (람보피싱 선단 출항지 5분 거리 위치)
경남 거제시 둔덕면 거제남서로 4658

◐ 주의 사항 ◐
▶신분증(주민증 또는 운전면허증) 지참은 필수입니다.
▶주류 반입 및 음주 행위 금지와 구명복 착용은 필히 준수해야 합니다.


▦ 람보피싱
(출조 문의) ☎010.8387.0331 (부재시) ☎010.9046.1156
(출항지/주소) 경남 거제시 거제면 법동리 1056번지
▶람보피싱 밴드 : https://band.us/@zzxx6954
(예약 계좌번호) 수협 0010-8541-0331 예금주:권영효

, , , , , , , , , , , , , , , , , , , , , , , , , , , , , ,

1 Comments
람보피싱4호 22-12-29 11:14 0  
30일 감성돔낚시 예약가능합니다. 감사합니다.
포토 제목
 
 

인낚 최신글


인낚 최신댓글


온라인 문의 안내


월~금 : 9:00 ~ 18:00
토/일/공휴일 휴무
점심시간 : 12:00 ~ 13:00