![]() |
|
![]() |
![]() |
안녕하세요 태화피싱입니다.
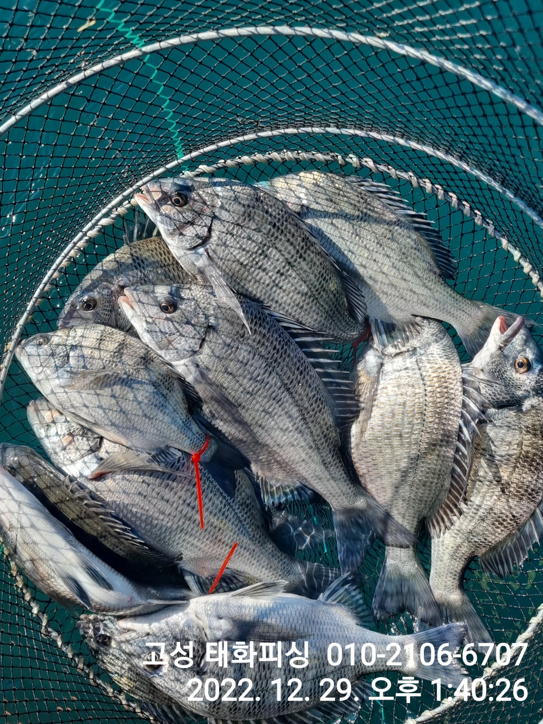
감성돔 묵직한 손맛 좋습니다 ~~
오늘 사랑도 감성돔 마릿수로 뽑아올렸습니다
시즌답게 씨알좋은녀석들 많습니다
찾아 주신 조사님들 열심히 해주신덕분에 기분좋게 손맛보시고
입항합니다 ~감사합니다
주간: 감성돔흘림, 참돔출조 예약가능
야간: 돌문어출조 예약가능
※예약현황※
내일 금요일 자리여유있습니다
------------------------------------------------------------------
저희 태화피싱은 밴드운영중에 있습니다
밴드회원분들께는 다양한 이벤트와 혜택!!
자세한 조황내용까지~ 놀러와주시면 감사드립니다
밴드 바로가기 : https://band.us/band/77381350
☆당부말씀: 오시는곳 방파제가 어두워 안전사고에 유의해주세요~~☆
《태화피싱은 4.99T 으로 정원은 12명입니다 》
☆ 1. 사이드스러스트 장착으로 어장 문어낚시 최적화
☆ 2. 수세식 화장실 및 넓은 선실! 냉난방기 2대 구비!!
☆ 3. 최신 장비 장착으로 뒷자리 매연걱정 X!
◎예약 문의◎
☎010-2106-6707
◈입금 계좌◈
0010-2106-6707
수협 김상균
참돔 흘림 출조안내
선비 : 13만원
05시 출항 ~ 14시 입항 (유동적)
(미끼,식사,음료,생수 제공)
감성돔 흘림 출조안내
선비 : 10만원
(3인이상 출항)
06시출항 ~ 14시 입항 (유동적)
(밑밥,미끼,식사,음료,생수 제공)
돌문어 출조안내
1. 주간 돌문어
선비 : 8만원
05시 30분 출항 ~ 2시 입항 (유동적)
(식사,음료 제공)
2. 오후 돌문어
선비 : 7만원
16시 출항 ~ 22시 입항 (유동적)
(간단한 식사,음료 제공)
※찾아오시는길※
경남 고성군 삼산면 두포리 186-5
(바닷가 방파제)
#고성선상낚시 #고성갑오징어낚시 #고성내만갈치 #고성돌문어
#고성돌문어낚시 #고성돌문어전문 #고성친절한선장님 #고성감성돔낚시
#고성참돔흘림 #고성감성돔흘림 #고성참돔 #참돔 #내만갈치
#고성낚시배 #고성감성돔 #고성갑오징어 #고성단체낚시
#고성생활낚시 #고성독배낚시 #고성배테랑선장님 #고성태화피싱
|
|
|
|







