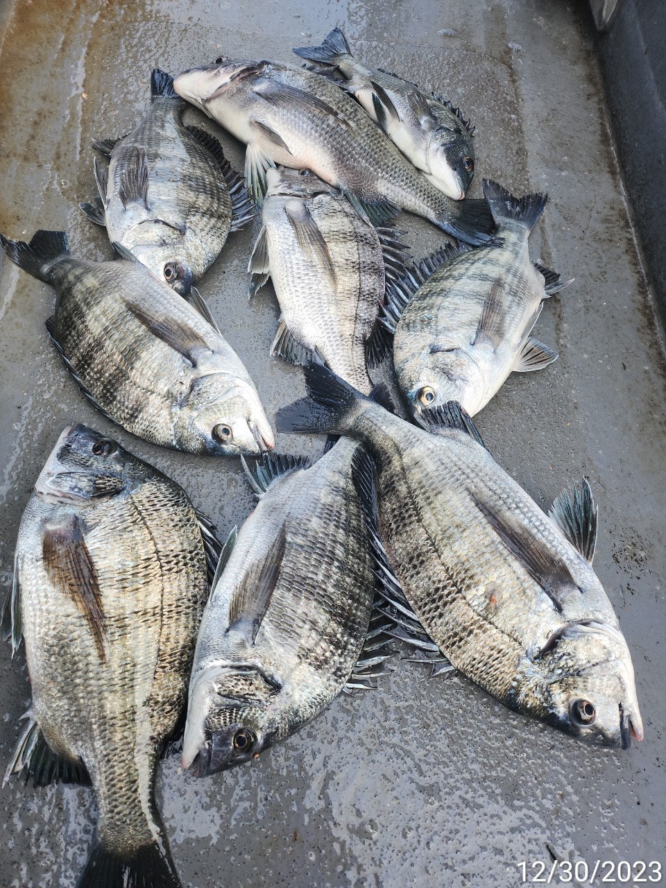
감성돔 흘림 조황입니다.

신상품 소개


회원 랭킹


공지사항


NaverBand
점주/선장 > 선상(배) 조황
b_hot_activegloat_200x80.gif b_hot_innakmall_200x80_220704.jpg b_hot_ggsusan_hongeu_200x80.gif b_hot_innakmall_200x80_211203.gif

감성돔 흘림 조황입니다.

간달프거제 0 168
● 출항지 : 거제





안녕하세요

간달프 차선장입니다


2024년은 청용의 해라고 하는군요!!

모두 건강하시고 복 많이 많이 받으시길 기원합니다 ^^


어제 시작은 좋았는데

조류가 말썽을 피우는 바람에

아쉬움을 남겨야만 했습니다


감사합니다



※ 예약현황은 밴드 일정표 참고바랍니다




● 감성돔 선비안내

새벽 ~ 2시경 현장철수(10만원)
- 밀밥,미끼, 식사, 커피, 생수 제공됩니다
- 대체미끼는 개인 지참입니다



감사합니다





▶출조시 구명조끼/신분증은 반드시 지참해주세요.

▶ 예약문의: 간달프호 선장 010-6455-3914
- 부재시 문자주시면 빠른연락 드리겠습니다.

▶ 배타는곳; 경남 거제시 거제면 법동리 1056번지


▶ 선비 입금하실때
수협 차행우 0010 6455 3914

0 댓글
포토 제목
 
 

인낚 최신글


인낚 최신댓글


온라인 문의 안내


월~금 : 9:00 ~ 18:00
토/일/공휴일 휴무
점심시간 : 12:00 ~ 13:00