![]() |
|
![]() |
![]() |
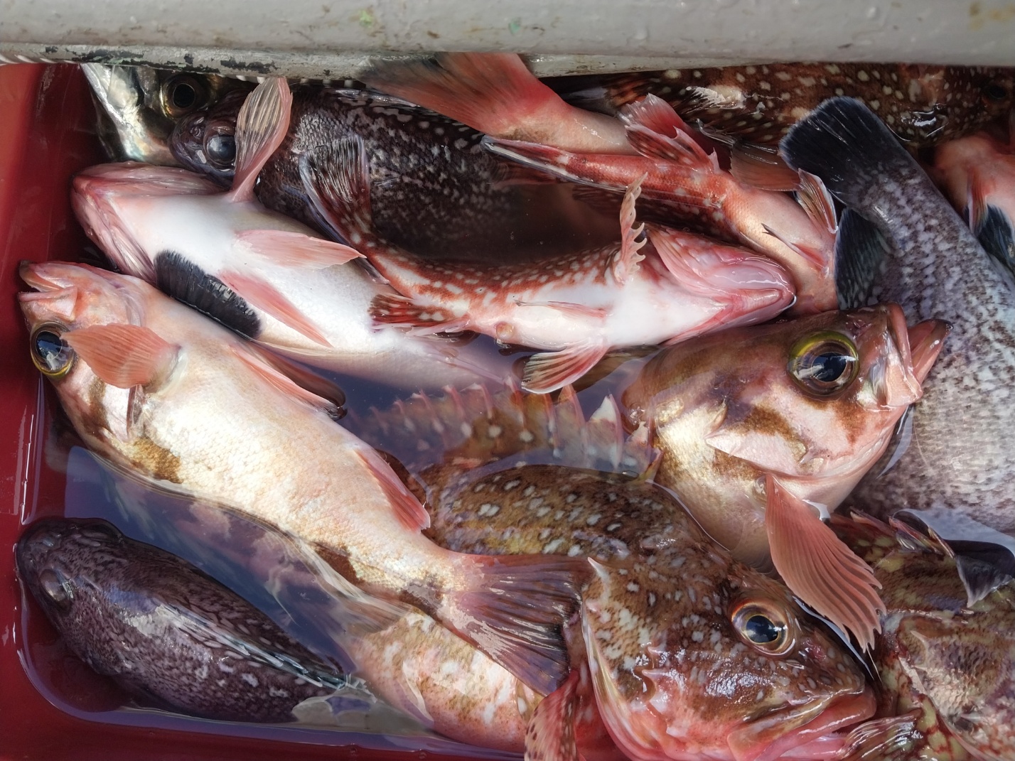
23년을 씨알굵은 열기와 우럭과 함께.(24/1/3 열기출조예약중)
23년을 보내며...열기와우럭.
12월31일
오후에 풍랑주의보가 발효되어 오후 출항은 취소하고
24년 선상 해맞이 출조는 ~~~~ ㅠㅠㅠ.
1월3일부터 출조예약중입니다.






◈오전출조◈
열기//우럭//볼락(외줄낚시)
@출항시간 : 오전7시~11시
※ 출조시간은 계절과 바다상황에 따라 유동적임
@선비6만원 (새우미끼제공)
@개인준비물(봉돌,카드채비,쿨러&아이스박스,얼음)
@낚시대 대여: 1만원
@전동릴 대여: 2만원
*전동릴을 가져오시면 밧데리 무상대여
☆출조인원 최소5명이하 출조취소 될수있음
◈오후출조◈
대삼치, 튜나(참치), 방어
@출항시간 : 12시~오후5시
※ 출조시간은 계절과 바다상황에 따라 유동적임
@선비 한타임7만원, 종일14만원
@개인. 독배(20%할인). 단체환영
@낚시대 대여비-1만원
☆출조인원 최소5명이하 출조취소 될수있음
★출항시간 30분전에 승선명부작성과 승선완료 요망
♣넓은 주차장의 대형낚시매장(감포항구낚시)
♣종일반 대삼치 보관용 냉동고 완비
♣선내(선미, 선수) 대형쿨러
♣다양한 메탈지그, 펜슬, 크롬지그, 각종 소품 완비
대형삼치스트로폼 박스, 얼음 (감포항구낚시)
♣커피, 생수, 컵라면. (무료제공)
♣팽창식 구명조끼 완비
★★신분증 지참 필수.
☎054)775-0345 (010-4331-0345)
주소: 감포읍 감포로4길45 (감포동부이끌림아파트상가1층)
선상낚시 시간과 요금 @출항시간 오전6시~11시 오후1시~6시 @선비 한타임7만원, 종일14만원 @개인. 독배. 단체환영 @낚시대 대여비-1만원 @종일반 대삼치 보관용 냉동고 완비 @선내(선미,선수) 대형쿨러 @다양한 메탈지그, 펜슬, 크롬지그, 각종 소품 완비 대형 삼치스트로폼 박스, 얼음 (감포항구낚시) @쇼크리더, 커피, 생수, 컵라면. 장갑(무료제공) @종일반 대삼치 보관용 냉동고 완비 @팽창식 구명조끼 완비. ★★신분증 지참 필수. ★출항시간 30분전에 도착하여 승선명부 작성 ☎054)775-0345 (010-4331-0345) 주소: 감포읍 감포로4길45 (감포동부이끌림아파트상가1층) <감포항구낚시>
|
|
|
|
























