대박호 자잡아 조황입니다

신상품 소개


회원 랭킹


공지사항


NaverBand
점주/선장 > 선상(배) 조황
b_hot_activegloat_200x80.gif b_hot_innakmall_200x80_220704.jpg b_hot_ggsusan_hongeu_200x80.gif b_hot_innakmall_200x80_211203.gif

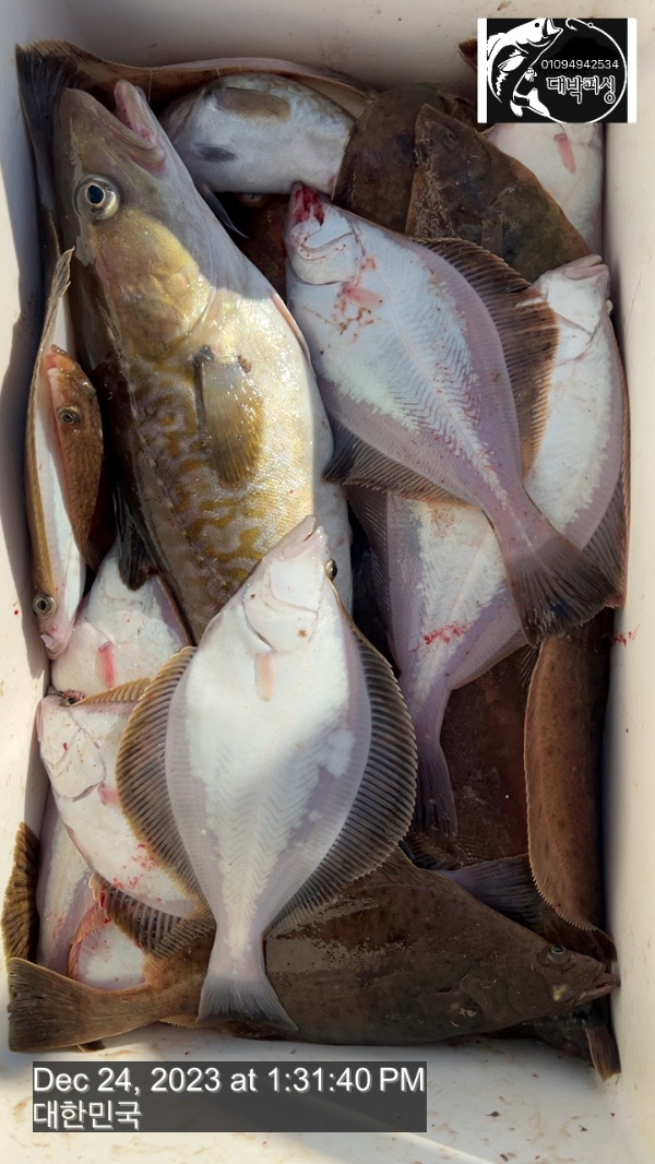
대박호 자잡아 조황입니다

대박호 0 106
● 출항지 : 속초,강릉
대박호  다잡아 조황입니다
운좋게  황열기  어군을  만나
후다닥 30 여마리  30 ~ 40  사이즈
어구가자미 4 ~ 7 지  25 에서 30  사이즈들
대구  몇마리  다양하게 잡았구요
내일은  대구에서  다잡아로  대상어종
변경 출항합니다
인터라인 전동릴 합사 3 호 이상 봉돌 100
모리겐 하야부사  9 ~ 13 호
지렁이   웜등  ...
내일도  똑같이  달립니다


TC_01651.jpeg


TC_01653.jpeg


TC_01656.jpeg


TC_01659.jpeg


TC_01654.jpeg


TC_01660.jpeg


TC_01664.jpeg


TC_01661.jpeg


TC_01665.jpeg
 


=== 속초 대박피싱, 대박호 예약안내 ===


예약문의 : 010-9494-2534

오시는길 : 강원도 속초시 대포항 희망길 20

홈페이지 : http://daebakho.sunsang24.com/


모바일.jpg 

blank.png1


0 댓글
포토 제목
 
 

인낚 최신글


인낚 최신댓글


온라인 문의 안내


월~금 : 9:00 ~ 18:00
토/일/공휴일 휴무
점심시간 : 12:00 ~ 13:00