![]() |
|
![]() |
![]() |
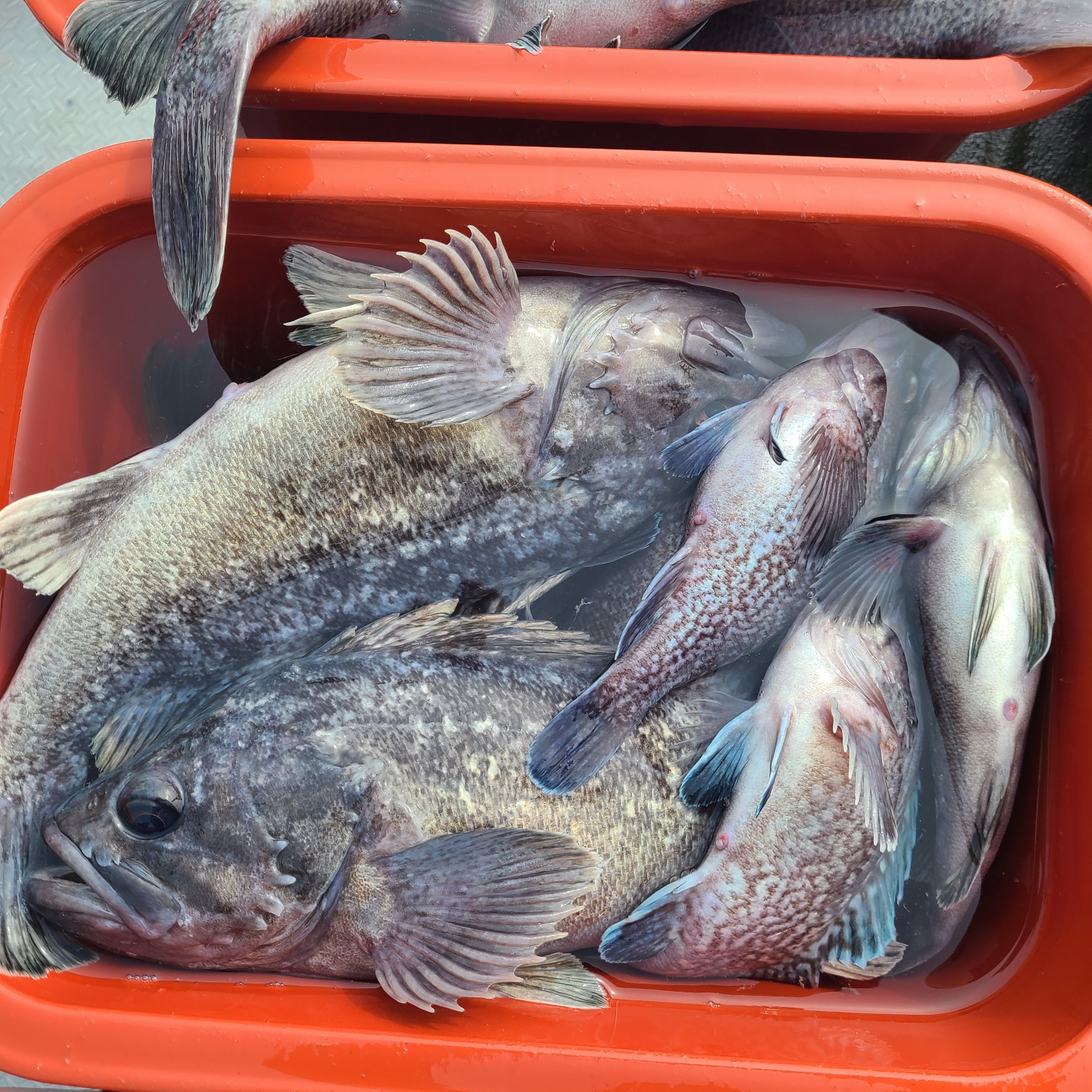
<태안 신진도 어해루호>





















2023년 3월14일 부터 상시 우럭다운샷/생미끼낚시로 출조를 진행하여 인원 모집중입니다.
3월31일 우럭다운샷/생미끼 긴급모집합니다!!
홈페이지예약http://www.taeanfishing.net/
출조문의- 선장님-010.9172.0140 , 010.3040.2781
태안낚시백화점-041.675.7707
.
.
출조점주소- 충남 태안군 근흥면 신진부두길126
(구)충남 태안군 근흥면 신진도리 255-14
지도-https://map.naver.com/v5/entry/place/31997397?placePath=%2Fhome%3Fentry=plt&c=15.15,0,0,0,dh
.
.
태안 낚시백화점 바로맞은편에서 바로 승선가능하며
신진항 주차공간 여유있습니다.
많은 관심 부탁드리며 출조일정잡아보세요~~감사합니다!
태안, 신진도, 격렬비열도, 궁시도, 낚시, 광따, 광어다운샷, 우럭다운샷, 광어, 우럭, 선상, 선상낚시, 조황, 생미끼, 외수질
|
|
|
|





