- 당일 조황을 올리셔야 합니다. - 지난 조황은 2일이내 미등록 조황만 가능합니다. - 이미 올린 조황을 붙여넣기하여 계속 등재하시면 중복조황에 해당합니다. - 당일 조황을 올리면서 이전 조황을 같이 올리면 중복조황에 해당합니다. - 조황없는 출조정보는 출조정보 게시판을 이용하시길 바랍니다. - 올린 글 삭제하고 다시 올려 상단에 올리려는 방법, 이용규칙 위반입니다. - 제목에 특수문자 사용하시면 안됩니다. (온점, 쉼표, 느낌표, 괄호, 물결만 허용) ☆ 공지사항에 '조황등재시 유의사항' 게시글을 꼭 확인하시고 조황작성 부탁드리며, 가장 기본적인 규칙이 지켜지지 않을 시 예고없이 글 삭제 및 이용정지 될 수 있음을 알려드립니다. |
![]() |
|
![]() |
![]() |
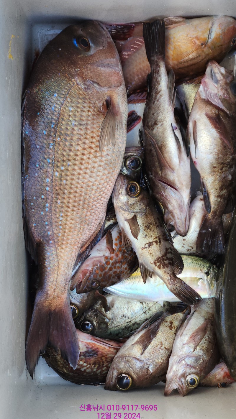
안녕하세요 고성 신흥 낚시 입니다
오늘 낮뽈 출조에 씨알과 마리수 조황입니다
강한바람과 바른조류에 열낚하신 울조사님들 정말 고생하셨습니다
이제 수온도많이 떨어지고 뽈락들의 움직임이 좋아지는 상향입니다
노련한 테크닉으로 도전하신다면 좋은조황을 기대해도 좋을듯합니다
오늘도 변함없이 찾아주시는 매니아님들 정말 감사합니다
기상만 허락하면 출조는 계속이어갑니다
현지에 사용하는 모든채비는 준비가 되어 있습니다
타 매장보다 저럼하게 원가로 판매하고있으니 필요하신분은 오셨어 구입하시면 되겠습니다
^ 이 벤 트 ^
^일산 최고급어피 카드 하야부사 6단짜리 카드를 인당 3매 무료제공 ^
선비 ㅡ100ㆍ000 원 ㅡ점심 ㅡ제공
출항 ㅡ새벽 6시 ㅡ철수ㅡ오후ㅡ3 시
오시는길 ㅡ고성군 ㅡ고성읍 신월리 524ㅡ3 ㅡ곡용선착장
폰ㅡ010ㅡ9117ㅡ9695
|
|
|
|















