- 당일 조황을 올리셔야 합니다. - 지난 조황은 2일이내 미등록 조황만 가능합니다. - 이미 올린 조황을 붙여넣기하여 계속 등재하시면 중복조황에 해당합니다. - 당일 조황을 올리면서 이전 조황을 같이 올리면 중복조황에 해당합니다. - 조황없는 출조정보는 출조정보 게시판을 이용하시길 바랍니다. - 올린 글 삭제하고 다시 올려 상단에 올리려는 방법, 이용규칙 위반입니다. - 제목에 특수문자 사용하시면 안됩니다. (온점, 쉼표, 느낌표, 괄호, 물결만 허용) ☆ 공지사항에 '조황등재시 유의사항' 게시글을 꼭 확인하시고 조황작성 부탁드리며, 가장 기본적인 규칙이 지켜지지 않을 시 예고없이 글 삭제 및 이용정지 될 수 있음을 알려드립니다. |
![]() |
|
![]() |
![]() |
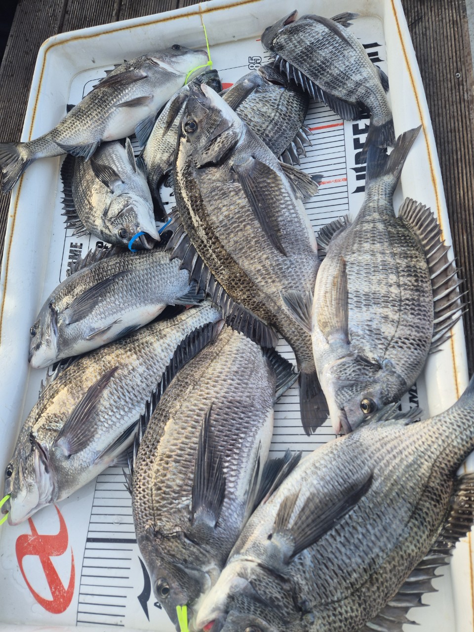
#감성돔
어제 모처럼 좋은 날씨에 고기도 좀 나와주네요
52.50.48,47.46.4짜,4짜,4짜,4짜,4짜,
3짜는 1마리
총 11마리 덩치급들이 많습니다
장원하신 여성조사님 실력이 출중 합니다
※사진은 입항해서 선장님이 깜빡하고
그냥 찍었네요 개별 고기 사진있습니다
쭉 ~예약가능합니다
※ 무료 승선권 이벤트 중 밴드 가입하시면
자세한 사항 확인하실 수 있습니다
출조계흭
12/31일 화요일 예약가능
1월1일 수요일 예약완료
1월2일 목요일 예약가능
1월3일 금요일 예약가능
1월4일 토요일 예약가능
1월5일 일요일 예약가능
1월6일 월요일 예약가능
예약 문의 전화
선장님 010. 9234. 1490
부재시 010. 2858. 3779
◐◐ 창원 혜인피싱 밴드 바로가기 ◐◐
<감성돔 출조 정보>
- 이수도, 외포권(11만원)
- 출항 5시~6시, 14~15시 철수
- 자리 추첨 (4인이상 우선권)/연박출조 우선권
- 밑밥, 크릴, 식사, 한강라면, 음료수,커피,물제공
- 카고X , 오로지 어초, 여밭 흘림 낚시만 합니다.
♤ 고기가 나오는 곳이면 통영, 거제남부권까지갑니다
ㆍ정박지 창원/진주에서 30~40분내 도착 가능
서마산IC 30분내, 마창대교출구 10분내 도착
통로가 넓어서 정원 탑승해도 편하게 낚시 가능
♧ 오시는길
창원시 마산합포구 진전면 회진로 1480(이창수산물판매장)
(창원, 진주, 서마산IC 에서 배타는 곳까지 30분)
(마창대교 출구 10분)
|
|
|
|

















