감성돔(실시간)들의 어초권 상륙~손맛굿~여밭 찌낚시(15일 예약)

신상품 소개


회원 랭킹


공지사항


NaverBand
점주/선장 > 선상(배) 조황

▶ 지켜주세요! ◀
 
 - 당일 조황을 올리셔야 합니다. 
 - 지난 조황은 2일이내 미등록 조황만 가능합니다. 
 - 이미 올린 조황을 붙여넣기하여 계속 등재하시면 중복조황에 해당합니다. 
 - 당일 조황을 올리면서 이전 조황을 같이 올리면 중복조황에 해당합니다.
 - 조황없는 출조정보는 출조정보 게시판을 이용하시길 바랍니다. 
 - 올린 글 삭제하고 다시 올려 상단에 올리려는 방법, 이용규칙 위반입니다. 
 - 제목에 특수문자 사용하시면 안됩니다. (온점, 쉼표, 느낌표, 괄호, 물결만 허용)

 ☆ 공지사항에 '조황등재시 유의사항' 게시글을 꼭 확인하시고 조황작성 부탁드리며, 가장 기본적인 
    규칙이 지켜지지 않을 시 예고없이 글 삭제 및 이용정지 될 수 있음을 알려드립니다. 
 
b_hot_innakmall_200x80_240307.jpg b_hot_innakmall_200x80_220704.jpg b_hot_ggsusan_hongeu_200x80.gif b_hot_innakmall_200x80_211203.gif

감성돔(실시간)들의 어초권 상륙~손맛굿~여밭 찌낚시(15일 예약)

거제젠틀호 1 67
● 출항지 : 거제
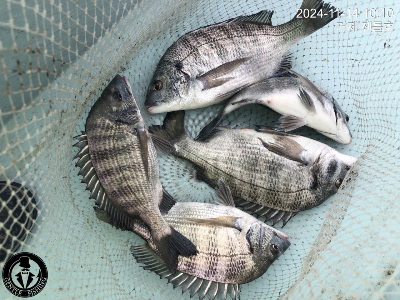
14일(목요일) 6물, 거제도 최상급포인트 직항 "젠틀호" (실시간) 조황입니다.
※(대물시상) 53Cm이상 감성돔 체포시(1일 1名) 아지카 최상급 라인 증정.

감성돔(실시간)들의 어초권 상륙~손맛굿~여밭 릴찌낚시
★ 15일(금요일) 7물, (04명 자리) 거제도권 감성돔 선상낚시 "예약접수"
  • 사용자가 올린 이미지

거제도 젠틀호 한선장입니다.
좋은 물때에 맞추어 진입한 어초여밭, 오늘은 조류 소통이 좋은 날이라
은근히 기대감을 가지고 진입, 6시 30분경 시원한 입질이 이어지면서
힘좋고, 버티는 파워 또한 남다른 어초 감성돔들이 얼굴을 보이기
시작했습니다.철수까지 오후 물때 구간 또한 좋은 타임이라 기대하고
집중해 보겠습니다.

15일(금요일) 감성돔낚시의 좋은 물때 구간에서 거제도권
대물감성돔 시즌 핫포인트로 직항하겠습니다.

따뜻하게~방한복 및 낚시복 필수!!!
거제도 대물포인트로 굵은 씨알들의 감성돔들이 진입하고
있습니다. 채비 튼튼히 챙기시고, 몇일전부터 새벽과 낮시간대
기온차가 심해 체온 유지를 위해 낚시복 꼭 챙기시길 바랍니다.

▣ 젠틀호 감성돔/참돔낚시 예약 일정 ▣
15일(금요일) 7물, (04명 자리) 거제도권 감성돔 선상낚시 "예약접수"
16일(토요일) 8물, (02명 자리) 거제도권 감성돔 선상낚시 "예약접수"
17일(일요일) 9물, 예약완료, 감사합니다^^
18일(월요일) 10물, 거제도권 감성돔 선상낚시 "예약접수"

젠틀호 예약문의 ☎ 010-8949-4045
(찾아 오시는 길) 거제시 거제면 서정리 773-14
▣ 젠틀호 밴드 : https://band.us/@gentlefishing
  • 사용자가 올린 이미지
  • 사용자가 올린 이미지
  • 사용자가 올린 이미지
  • 사용자가 올린 이미지
▣ 감성돔낚시 & 참돔낚시 ▣
(감성돔) 새벽~14시 전후(유동적) 종일 10만원/독배 60만원
( 참돔 ) 새벽~14시 전후(유동적) 종일 13만원/독배 75만원
- 밑밥, 미끼, 도시락, 생수, 음료 커피 제공

▣ 젠틀호 공지사항 및 주의 사항
- 예약 문의는 저녁 9시까지 연락 바랍니다
- 선상에서 음주 및 주류 반입은 금지입니다
- 신분증 꼭 지참 및 구명조끼 착용 필수입니다.

젠틀호 예약문의 ☎ 010-8949-4045
(찾아 오시는 길) 거제시 거제면 서정리 773-14
▣ 젠틀호 밴드 : https://band.us/@gentlefishing
입금계좌 (수협) 0010-8949-4045 한성재
  • 사용자가 올린 이미지

, , , , , , , , , , , , , , , , , , , , , , , , , , ,

1 댓글
거제젠틀호 24-11-14 10:34 0  
15일 거제도 감성돔낚 예약 가능합니다. 감사합니다.
포토 제목
 
 

인낚 최신글


인낚 최신댓글


온라인 문의 안내


월~금 : 9:00 ~ 18:00
토/일/공휴일 휴무
점심시간 : 12:00 ~ 13:00