남해 미조 내셔널호(선상낚시) 참돔흘림 조황.

신상품 소개


회원 랭킹


공지사항


NaverBand
점주/선장 > 선상(배) 조황

▶ 지켜주세요! ◀
 
 - 당일 조황을 올리셔야 합니다. 
 - 지난 조황은 2일이내 미등록 조황만 가능합니다. 
 - 이미 올린 조황을 붙여넣기하여 계속 등재하시면 중복조황에 해당합니다. 
 - 당일 조황을 올리면서 이전 조황을 같이 올리면 중복조황에 해당합니다.
 - 조황없는 출조정보는 출조정보 게시판을 이용하시길 바랍니다. 
 - 올린 글 삭제하고 다시 올려 상단에 올리려는 방법, 이용규칙 위반입니다. 
 - 제목에 특수문자 사용하시면 안됩니다. (온점, 쉼표, 느낌표, 괄호, 물결만 허용)

 ☆ 공지사항에 '조황등재시 유의사항' 게시글을 꼭 확인하시고 조황작성 부탁드리며, 가장 기본적인 
    규칙이 지켜지지 않을 시 예고없이 글 삭제 및 이용정지 될 수 있음을 알려드립니다. 
 
b_hot_innakmall_200x80_240307.jpg b_hot_innakmall_200x80_220704.jpg b_hot_ggsusan_hongeu_200x80.gif b_hot_innakmall_200x80_211203.gif

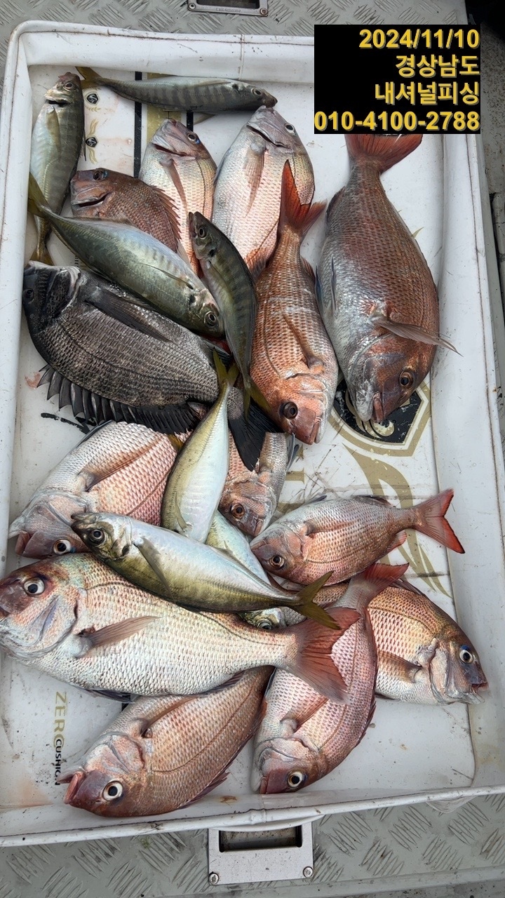
남해 미조 내셔널호(선상낚시) 참돔흘림 조황.

내셔널피싱 0 289
● 출항지 : 남해

#내셔널피싱 #내셔널호 

#남해선상낚시 #남해 #선상낚시 #남해미조 

#참돔 #참돔흘림 #남해참돔조황 #남해미조참돔 #남해참돔 

#11월10일 #2물


내셔널입니다~!


6분 모시고, 참돔흘림 다녀왔습니다~!


참돔이 입질할 시간을 안주네요;; 


전갱이가 잠깐 빠지면 참돔이 촤라락~!몇방 날아가고~~ㅜ


전갱이 사이즈 최소30cm.  최대37cm.

(물칸에 사진의반정도 더 있음)


사이즈 좋은 전갱이 잡으러 가도 되겠네요 ㅎㅎ324b85bd8ce0c341a2df608de606b723_1731571754_5302.jpeg



324b85bd8ce0c341a2df608de606b723_1731571755_0794.jpeg



324b85bd8ce0c341a2df608de606b723_1731571755_6329.jpeg



324b85bd8ce0c341a2df608de606b723_1731571756_1669.jpeg

출조 문의나, 궁금하신 사항이 있으시면

010-4100-2788으로 연락 바랍니다~^^

https://band.us/@nationalfishing 


 

, , , , , , ,

0 댓글
포토 제목
 
 

인낚 최신글


인낚 최신댓글


온라인 문의 안내


월~금 : 9:00 ~ 18:00
토/일/공휴일 휴무
점심시간 : 12:00 ~ 13:00