- 당일 조황을 올리셔야 합니다. - 지난 조황은 2일이내 미등록 조황만 가능합니다. - 이미 올린 조황을 붙여넣기하여 계속 등재하시면 중복조황에 해당합니다. - 당일 조황을 올리면서 이전 조황을 같이 올리면 중복조황에 해당합니다. - 조황없는 출조정보는 출조정보 게시판을 이용하시길 바랍니다. - 올린 글 삭제하고 다시 올려 상단에 올리려는 방법, 이용규칙 위반입니다. - 제목에 특수문자 사용하시면 안됩니다. (온점, 쉼표, 느낌표, 괄호, 물결만 허용) ☆ 공지사항에 '조황등재시 유의사항' 게시글을 꼭 확인하시고 조황작성 부탁드리며, 가장 기본적인 규칙이 지켜지지 않을 시 예고없이 글 삭제 및 이용정지 될 수 있음을 알려드립니다. |
![]() |
|
![]() |
![]() |
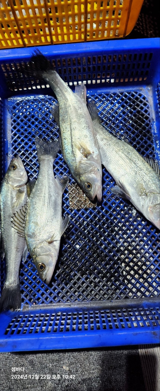
감성돔 볼락 붉바리 농어 쏨뱅이까지 다잡아시즌이 왔어요왕사미 신발짝 볼락 시즌이 시작 감성돔 루어 붉바리 굿볼락시즌이 왔습니다 시간들 되시면 고성 섬 바다로 놀러들 오세요 010 8780 7251 |
[밴드 초대] 섬 바다
https://band.us/n/a3afA0FaQ6raD
오늘 2분 모시고 출동 해보았습니다
볼락 붉바리 살감시 농어 쏨뱅이 다잡아 낚시을 하고 왔습니다
기온이 상당히 내려가서 청개비가 얼음이 되는군요
2분이서 잔잔하게 손맛 보시고 잘놀다 안전하게 깔끔하게 철수 했습니다
붉바리가 제법 나오네요 사이즈는 기본 이네요
살감시들이 제법 많이 나오는게 아마도 대물이 한번 받치리라 생각듭니다
[밴드 초대]
섬 바다
https://band.us/n/a3afA0FaQ6raD
~~~~~~~~~~~~~~~~~~~~~~~~~~~~
(( 야간 밤뽈 예약현황 ))
23일 월요일 예약 가능 // 24일 화요일 예약 가능
25일 수요일 예약 가능 // 26일 목요일 예약 가능
27일 금요일 예약 가능 // 28일 토요일 예약 가능
29일 일요일 예약 가능
~~~~~~~~~~~~~~~~~~~~~~~~~~~~
[[ 입출항 시간표 ]]
출항 18시00분 전후 // 입항 01시 00분전후
선비 8만원 입니다 // 선내제공: 커피 생수 음료 컵라면
~~~~~~~~~~~~~~~~~~~~~~~~~~~~~~~~~~~~~~~~~~~~~~~~~~~~~~
섬 과 바다가 좋아서 선박명도 섬 바다로 하였습니다
루어낚시로 재미있게 즐기며 안전하게 잘 놀수있는 놀이터 섬 바다가 되겠습니다
~~~~~~~~~~~~~~~~~~~~~~~~~~~~~~~~~~~~~~~~~~~~~~~~~~~~~~~~~~~~~~~~~
현제 감성돔들이 제법 많이 들어와 있습니다 감시 흘림 카고 2분 이상 출조하오니 언졔든지
열락 주시면 대단히 감사 하겠습니다
|
|
|
|



















