- 당일 조황을 올리셔야 합니다. - 지난 조황은 2일이내 미등록 조황만 가능합니다. - 이미 올린 조황을 붙여넣기하여 계속 등재하시면 중복조황에 해당합니다. - 당일 조황을 올리면서 이전 조황을 같이 올리면 중복조황에 해당합니다. - 조황없는 출조정보는 출조정보 게시판을 이용하시길 바랍니다. - 올린 글 삭제하고 다시 올려 상단에 올리려는 방법, 이용규칙 위반입니다. - 제목에 특수문자 사용하시면 안됩니다. (온점, 쉼표, 느낌표, 괄호, 물결만 허용) ☆ 공지사항에 '조황등재시 유의사항' 게시글을 꼭 확인하시고 조황작성 부탁드리며, 가장 기본적인 규칙이 지켜지지 않을 시 예고없이 글 삭제 및 이용정지 될 수 있음을 알려드립니다. |
![]() |
|
![]() |
![]() |
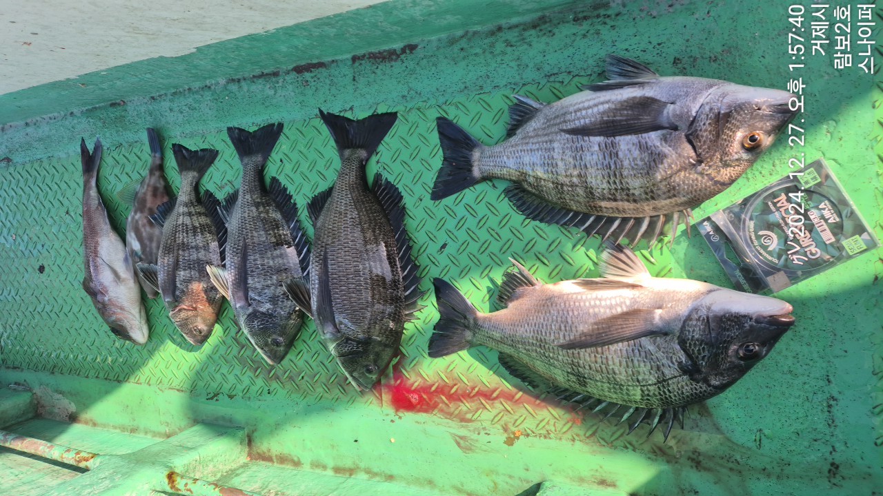
람보2호입니다.
시원하게 가져 가는 강렬한 입질, 챔질이후 버티는 힘들이 이제 버거운
사이즈들이 수일째 비치고 있습니다. 오늘도 여전히, 어초여밭권에는 굵은
씨알들이 함께 합류하면서 조사님들에게 손맛을 선사했습니다. 걸면,
4짜가 넘어가는 사이즈들이라 다음 사이즈가 궁금해지는 본격적이 대물
시즌이라 그런지 다음 출조도 기대가 됩니다.
28일(토요일)부터, 거제도권 대물감성돔 어초여밭 포인트 "예약가능"합니다.
오늘도 거제 람보피싱을 찾아 주신 조사님 수고 많으셨습니다.
▦ 람보피싱 참돔낚시 & 감성돔낚시 출조 일정 안내 ▦
※ 공휴일과 주말 예약은 서둘러 예약하시면 승율포인트로 우선 진입.
★ 28일(토요일) 5물, 대물감성돔 어초여밭 포인트 "예약가능"
★ 29일(일요일) 예약완료
★ 30일(월요일) 7물, 대물감성돔 어초여밭 포인트 "예약가능"
★ 31일(화요일) 8물, 대물감성돔 어초여밭 포인트 "예약가능"
2025년 시즌 개막!!!
★1월 1일(수요일) 해맞이 9물, 대물감성돔 어초여밭 포인트 "예약가능"
★1월 2일(목요일) 10물, 대물감성돔 어초여밭 포인트 "예약가능"
▦ 람보피싱 (참돔/감성돔낚시 전용선 체제)
(출조 문의) ☎010 4929 9952
(출항지 주소) 경남 거제시 거제면 법동리 1056번지
▶람보피싱 밴드 : https://band.us/@zzxx6954
|
|
|
|













