- 당일 조황을 올리셔야 합니다. - 지난 조황은 2일이내 미등록 조황만 가능합니다. - 이미 올린 조황을 붙여넣기하여 계속 등재하시면 중복조황에 해당합니다. - 당일 조황을 올리면서 이전 조황을 같이 올리면 중복조황에 해당합니다. - 조황없는 출조정보는 출조정보 게시판을 이용하시길 바랍니다. - 올린 글 삭제하고 다시 올려 상단에 올리려는 방법, 이용규칙 위반입니다. - 제목에 특수문자 사용하시면 안됩니다. (온점, 쉼표, 느낌표, 괄호, 물결만 허용) ☆ 공지사항에 '조황등재시 유의사항' 게시글을 꼭 확인하시고 조황작성 부탁드리며, 가장 기본적인 규칙이 지켜지지 않을 시 예고없이 글 삭제 및 이용정지 될 수 있음을 알려드립니다. |
![]() |
|
![]() |
![]() |
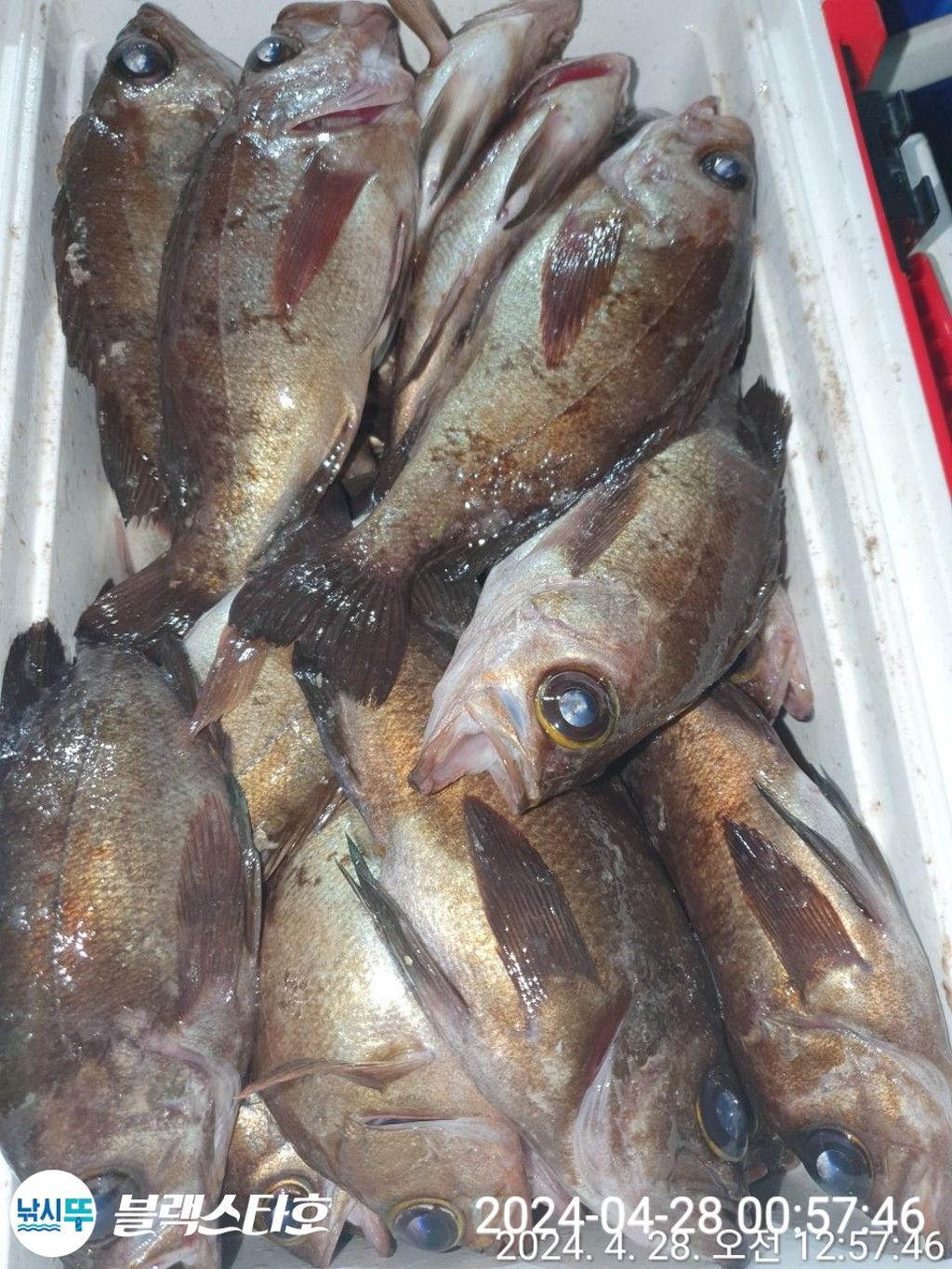
31일 저녁 10시 해돋이 볼락출조
낚시뚜에서 인낚으로 보내는 자동조황
| |||||||||||||||||||
정판수낚시마트 블랙스타호(22인승) 남해안 No1. 선상낚시전문 볼락|문어|갈치|쭈꾸미|생활낚시 전문
055-835-5077~8 010-3845-0377 010-4580-5078
경남 사천시 벌리동 한내4길 112
농협 897-01-138173 정판수
*** 돌문어 출조 *** 출조시간 새벽 5시 정도 선비: 70,000원 출조지 내만,남해,고성,사량도,하동,두미도 등 * 개인 구명동의 지참하시기 바랍니다. (없으신 조사님은 선내 비치된 구명동의 착용) * 장비 없으신 조사님들은 그냥 오시면 선내 비치된 장비 무료사용하시면 됩니다. * 음료수, 커피, 시원한 문어물회, 물등 무료제공 @@ 가족, 단체, 야유회 등 환영, 남녀노소 누구나 하실수 있습니다. 초보자님도 도전해 보십시오~ 언제든지 문의 저화주시면 친절히 답해드리겠습니다. | |||||||||||||||||||
안녕하세요~? 31일 저녁 10시 해돋이 볼락출조 욕지권으로 달립니다 날씨 좋아졌네요 현재 5자리여유 저녁 9시30분까지 가게로 오십시요 사천시 한내4길 112 정판수낚시마트 | |||||||||||||||||||
![]() ![]() ![]() ![]() ![]() ![]() | |||||||||||||||||||
정판수낚시마트 블랙스타호(22인승)
남해안 No1.선상낚시전문 볼락|문어|갈치|쭈꾸미|생활낚시 전문 055-835-5077~8 010-3845-0377 010-4580-5078
경남 사천시 벌리동 한내4길 112
농협 897-01-138173 정판수
(승선시 지켜야할 사항) 1.신분증 필히 챙겨오세요 2.선내 승객 음주:과태료 100만원 3.구명복 필히 착용하십시요 미착용시 과태료 100만원 | |||||||||||||||||||
| |||||||||||||||||||
![]() |
삼천포 뽈락,문어,주꾸미,갈치 등 생활낚시의 지존 정판수낚시마트 점주입니다. 여러분의 낚시 힐링 시간이 될수 있도록 조사님의 입장에서 항상 최선을 다 하겠습니다
|
|
|
|
















