- 당일 조황을 올리셔야 합니다. - 지난 조황은 2일이내 미등록 조황만 가능합니다. - 이미 올린 조황을 붙여넣기하여 계속 등재하시면 중복조황에 해당합니다. - 당일 조황을 올리면서 이전 조황을 같이 올리면 중복조황에 해당합니다. - 조황없는 출조정보는 출조정보 게시판을 이용하시길 바랍니다. - 올린 글 삭제하고 다시 올려 상단에 올리려는 방법, 이용규칙 위반입니다. - 제목에 특수문자 사용하시면 안됩니다. (온점, 쉼표, 느낌표, 괄호, 물결만 허용) ☆ 공지사항에 '조황등재시 유의사항' 게시글을 꼭 확인하시고 조황작성 부탁드리며, 가장 기본적인 규칙이 지켜지지 않을 시 예고없이 글 삭제 및 이용정지 될 수 있음을 알려드립니다. |
![]() |
|
![]() |
![]() |
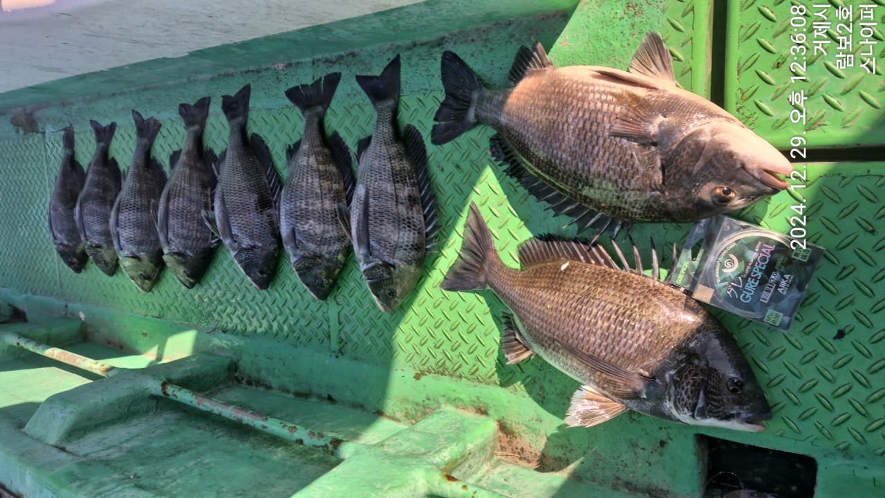
람보2호입니다.
쏟아지는 4짜들 가운데서 남다른 덩치를 자랑하는 5짜 감성돔이
얼굴을 보여주었고, 그외에도 5짜에 살짝 빠지는 5짜급과
4짜 마릿수로 조사님들 모두 환상적인 손맛 보시고
마무리 할 수 있었습니다.
어초에 고기들이 제대로 붙은 듯 합니다.
내일도 핫 포인트 직항합니다. 예약가능합니다~
30일(월요일)부터, 거제도권 대물감성돔 어초여밭 포인트 "예약가능"합니다.
▦ 람보피싱 참돔낚시 & 감성돔낚시 출조 일정 안내 ▦
※ 공휴일과 주말 예약은 서둘러 예약하시면 승율포인트로 우선 진입.
★ 30일(월요일) 7물, 대물감성돔 어초여밭 포인트 "예약가능"
★ 31일(화요일) 8물, 대물감성돔 어초여밭 포인트 "예약가능"
2025년 시즌 개막!!!
★1월 1일(수요일)예약완료 감사합니다.
★1월 2일(목요일) 10물, 대물감성돔 어초여밭 포인트 "예약가능"
★1월 3일(금요일) 11물, 대물감성돔 어초여밭 포인트 "예약가능"
▦ 람보피싱 (참돔/감성돔낚시 전용선 체제)
(출조 문의) ☎010 4929 9952
(출항지 주소) 경남 거제시 거제면 법동리 1056번지
▶람보피싱 밴드 : https://band.us/@zzxx6954
|
|
|
|














