4월27일 ---오천항마운틴호---오천우럭라이트지깅배낚시[내만권출조]조황

신상품 소개


회원 랭킹


공지사항


NaverBand
점주/선장 > 선상(배) 조황

▶ 지켜주세요! ◀
 
 - 당일 조황을 올리셔야 합니다. 
 - 지난 조황은 2일이내 미등록 조황만 가능합니다. 
 - 이미 올린 조황을 붙여넣기하여 계속 등재하시면 중복조황에 해당합니다. 
 - 당일 조황을 올리면서 이전 조황을 같이 올리면 중복조황에 해당합니다.
 - 조황없는 출조정보는 출조정보 게시판을 이용하시길 바랍니다. 
 - 올린 글 삭제하고 다시 올려 상단에 올리려는 방법, 이용규칙 위반입니다. 
 - 제목에 특수문자 사용하시면 안됩니다. (온점, 쉼표, 느낌표, 괄호, 물결만 허용)

 ☆ 공지사항에 '조황등재시 유의사항' 게시글을 꼭 확인하시고 조황작성 부탁드리며, 가장 기본적인 
    규칙이 지켜지지 않을 시 예고없이 글 삭제 및 이용정지 될 수 있음을 알려드립니다. 
 
b_hot_innakmall_200x80_240307.jpg b_hot_innakmall_200x80_220704.jpg b_hot_ggsusan_hongeu_200x80.gif b_hot_innakmall_200x80_211203.gif

4월27일 ---오천항마운틴호---오천우럭라이트지깅배낚시[내만권출조]조황

오천항마운틴 0 122
● 출항지 : 서천,보령


4월27일 10물때 오천항우럭라이트지깅낚시[내만권] 조황

4월27일 10물때 오천항우럭라이트지깅낚시[내만권] 조황

4월27일 10물때 오천항우럭라이트지깅낚시[내만권] 조황

4월27일 10물때 오천항우럭라이트지깅낚시[내만권] 조황

4월27일 10물때 오천항우럭라이트지깅낚시[내만권] 조황

4월27일 10물때 오천항우럭라이트지깅낚시[내만권] 조황

4월27일 10물때 오천항우럭라이트지깅낚시[내만권] 조황

4월27일 10물때 오천항우럭라이트지깅낚시[내만권] 조황

4월27일 10물때 오천항우럭라이트지깅낚시[내만권] 조황

4월27일 10물때 오천항우럭라이트지깅낚시[내만권] 조황

4월27일 10물때 오천항우럭라이트지깅낚시[내만권] 조황

4월27일 10물때 오천항우럭라이트지깅낚시[내만권] 조황

4월27일 10물때 오천항우럭라이트지깅낚시[내만권] 조황

4월27일 10물때 오천항우럭라이트지깅낚시[내만권] 조황

4월27일 10물때 오천항우럭라이트지깅낚시[내만권] 조황

4월27일 10물때 오천항우럭라이트지깅낚시[내만권] 조황

4월27일 10물때 오천항우럭라이트지깅낚시[내만권] 조황

4월27일 10물때 오천항우럭라이트지깅낚시[내만권] 조황

4월27일 10물때 오천항우럭라이트지깅낚시[내만권] 조황

4월27일 10물때 오천항우럭라이트지깅낚시[내만권] 조황

4월27일 10물때 오천항우럭라이트지깅낚시[내만권] 조황

4월27일 10물때 오천항우럭라이트지깅낚시[내만권] 조황

4월27일 10물때 오천항우럭라이트지깅낚시[내만권] 조황

4월27일 10물때 오천항우럭라이트지깅낚시[내만권] 조황

4월27일 10물때 오천항우럭라이트지깅낚시[내만권] 조황

4월27일 10물때 오천항우럭라이트지깅낚시[내만권] 조황

4월27일 10물때 오천항우럭라이트지깅낚시[내만권] 조황

4월27일 10물때 오천항우럭라이트지깅낚시[내만권] 조황

 

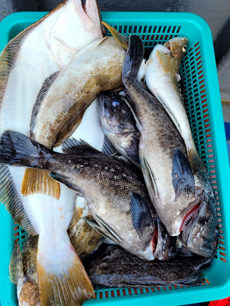
 4월27일 10물때 조류가 세죠...

오천항마운틴호와 함께  뚱뚱이 우럭들과,놀래미 

그리고 대광어까지 잡아 봤습니다

오천항내만권 우럭라이트지깅 출조 인데요

우럭이 남아있는 포인트 찿아 다니기가 

어제와 오늘 힘들었습니다

가는 곳마다 꽝은 없었지만 

그리 많이 나오는 포인트는

못 만났습니다

개인 조황 차이가 좀 있었던 하루로 

마무리 했습니다

마운틴호를 찿아 주셔서 감사 드립니다

   

 

28일,29일

5월1,2일,3일,4일,5일~~~


           우럭출조 모집중입니다         

 

5울15일부터 여름화이트굴비 [백조기낚시]

출조 모집합니다 


※4월 우럭[생미끼]&광어[웜] 출조 8만원※

바다수온이 많이 높아졌습니다

점점 좋은 조황을 만나볼 수 있을 듯 합니다

5월1일부터 선비 9만원 정상 출조가 진행 됩니다

 

★오천항마운틴호 홈페이지★ 

http://www.sangsangho.com..

, , , , , , ,

0 댓글
포토 제목
 
 

인낚 최신글


인낚 최신댓글


온라인 문의 안내


월~금 : 9:00 ~ 18:00
토/일/공휴일 휴무
점심시간 : 12:00 ~ 13:00