참돔(욕지도 어초) 6짜급 5짜4짜들 엄청나와요~고성베이호 조황(13일 예약)

신상품 소개


회원 랭킹


공지사항


NaverBand
점주/선장 > 선상(배) 조황

▶ 지켜주세요! ◀
 
 - 당일 조황을 올리셔야 합니다. 
 - 지난 조황은 2일이내 미등록 조황만 가능합니다. 
 - 이미 올린 조황을 붙여넣기하여 계속 등재하시면 중복조황에 해당합니다. 
 - 당일 조황을 올리면서 이전 조황을 같이 올리면 중복조황에 해당합니다.
 - 조황없는 출조정보는 출조정보 게시판을 이용하시길 바랍니다. 
 - 올린 글 삭제하고 다시 올려 상단에 올리려는 방법, 이용규칙 위반입니다. 
 - 제목에 특수문자 사용하시면 안됩니다. (온점, 쉼표, 느낌표, 괄호, 물결만 허용)

 ☆ 공지사항에 '조황등재시 유의사항' 게시글을 꼭 확인하시고 조황작성 부탁드리며, 가장 기본적인 
    규칙이 지켜지지 않을 시 예고없이 글 삭제 및 이용정지 될 수 있음을 알려드립니다. 
 
b_hot_innakmall_200x80_240307.jpg b_hot_innakmall_200x80_220704.jpg b_hot_ggsusan_hongeu_200x80.gif b_hot_innakmall_200x80_211203.gif

참돔(욕지도 어초) 6짜급 5짜4짜들 엄청나와요~고성베이호 조황(13일 예약)

고성베이호 1 96
● 출항지 : 고성
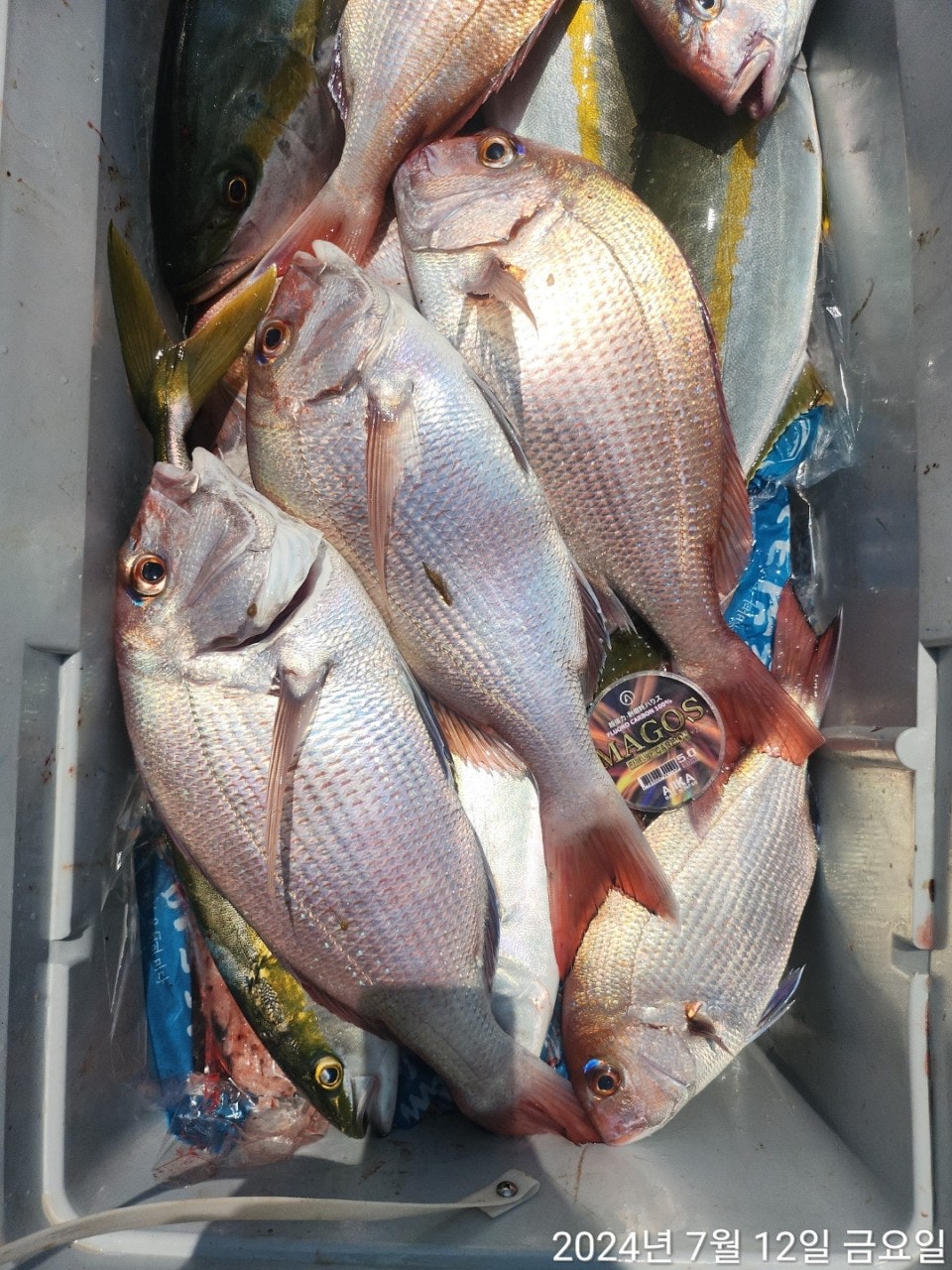
12일(금요일) 大物 욕지도 자연어초 참돔낚시 "고성베이호" 철수 조황입니다.
※ 승율 9할 이상의 대물 격전지 - 수중어초 여밭으로 모십니다.

★13일(토요일) 05시 욕지도 자연어초 참돔낚시 "예약가능"
자연 어초여밭 흘림낚시만 운영!!!
참돔(욕지도 어초) 6짜급 5짜4짜들 엄청나와요~
  • 사용자가 올린 이미지

대물 참돔낚시 욕지도 자연어초 전문 고성베이호입니다.
모처럼 좋은 기상속에서 진입한 어초 참돔포인트, 쏘름이 끼치는 대형 빠가급은
대부분 다 터트리고, 오늘은 6짜급 5짜 4짜 참돔으로 많은 마리수가 나왔습니다.
워낙 좋은 먹성들이라 낚은 것보다 놓친 참돔들이 더 많은 상황~
조황사진은 2명 조황 사진만 등록합니다.

주말까지 좋은 물때 유입으로 더욱 더 기대됩니다. 채비 튼튼히 챙겨 오십시요.
오늘도 고성베이호를 찾아 주신 조사님 수고 많으셨습니다.

▣ 고성베이호 자연어초 흘림낚시 출조 일정 ▣
욕지도권 자연어초여밭 수중여로 모십니다!!!
★13일(토요일) 05시 욕지도 자연어초 참돔낚시 "예약가능"
★14일(일요일) 05시 욕지도 자연어초 참돔낚시 "예약가능"
★15일(월요일) 05시 욕지도 자연어초 참돔낚시 "예약가능"
★16일(화요일) 05시 욕지도 자연어초 참돔낚시 "예약가능"
※ 주중, 주말 예약 가능합니다.

■ 고성 베이호 ☎010 4598 1782
■ 출항지 : 고성군 삼산면 두포리177-16 블루웨일 글램핑內
■ 밴드 : https://band.us/@bayho
  • 사용자가 올린 이미지
  • 사용자가 올린 이미지
  • 사용자가 올린 이미지
  • 사용자가 올린 이미지
  • 사용자가 올린 이미지
  • 사용자가 올린 이미지
  • 사용자가 올린 이미지
▣ 참돔낚시 자연어초 여밭포인트 공략 ▣
1) (출항) 오전 7시 출발, 오후 3시경 (유동적)
2) 출조지역: 사량도(추도권)
원도권역 : 욕지도, 좌사리도, 갈도권
3) 밑밥, 미끼, 도시락 제공
- 커피, 생수,음료 등은 상시 비치되어 있습니다.

▣ 아지카(AJIKA)라인 특별시상 ▣
- 낚시줄회사 아지카(AJIKA)라인에서 감성돔 55Cm이상
최상급라인 "구레스페셜"원줄 증정(배송비 무료)합니다.

■ 고성 베이호 ☎010 4598 1782
■ 출항지 : 고성군 삼산면 두포리177-16 블루웨일 글램핑內
■ 밴드 : https://band.us/@bayho
■블로그 : https://blog.naver.com/bayfishing
  • 사용자가 올린 이미지

, , , , , , , , , , , , , , , , , , , , , , ,

1 댓글
고성베이호 24-07-12 14:31 0  
13일 욕지도권 참돔낚시 예약 가능합니다. 감사합니다.
포토 제목
 
 

인낚 최신글


인낚 최신댓글


온라인 문의 안내


월~금 : 9:00 ~ 18:00
토/일/공휴일 휴무
점심시간 : 12:00 ~ 13:00