(문어)대물 포인트 직항2.6K 2K 外 KKKKKK~강민호(5일 예약 中)

신상품 소개


회원 랭킹


공지사항


NaverBand
점주/선장 > 선상 + 좌대 조황

(문어)대물 포인트 직항2.6K 2K 外 KKKKKK~강민호(5일 예약 中)

진해강민호 0 109
● 출항지 : 진해 ● 출조지 : 진해
밴드 바로가기 유튜브/SNS
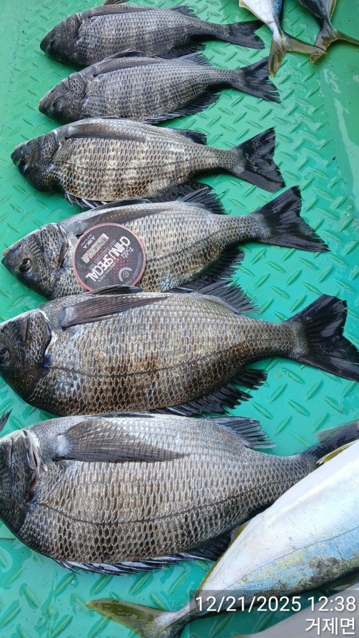
11월 29일(토) 내만권 야간 돌문어 조황 입니다.
(12월 5일 금요일 야간 전투문어 예약 가능 하십니다.)

좋은 물때에 문어의 활성도도 좋은 만큼 묵직한
돌문어(키로급) 손맛 찐~ 하게 보실 분들 연락주세요~^^


(대물 시즌) 2.6K 왕문어 외 2K KKKKK 씨알 끝장~!!!
  • 사용자가 올린 이미지

진해 문어 No.1 강민호 선장입니다.
11월 29일(토) 내만권 야간 돌문어 조황 입니다.
(12월 5일 금요일 야간 전투문어 예약 가능 하십니다.)

예보와는 달리 바람은 없었으나 조류 세기가
2물인데도 물살이 예상보다 빠르네요.

수심 깊은 곳에서 시작하여 중치급 부터
키로급과 2kg까지 쭉~ 쭉~ 뽑아 냈습니다.
이후 여밭과 갯바위 쪽으로도 진입해서
키로급과 2.6kg2K1,6K1,3KKKKK 키로급
엄청 뽑아내고, 계속해서 올라 오는 사이즈
큰 문어들을 보고 탄성이 절로 나오시는지 다들
우와~~ 하며 축하도 해 주시고 부러워도 하셨네요. ㅎㅎ

키로급으로 2마리씩 잡으신 분들도 여러분
계십니다. 다시 한번 더 축하드립니다.

물이 바뀌고는 입질도 뜸 해져서 낱마리로
따문따문 물어 주었고, 마지막 포인트인
깊은 수심에서도 마무리 할 때 까지 쭉~
올라 와 주었습니다.

키로급 2마리씩과 중치급 포함 묵직한 손맛
찐하게 보신 분들이 계신가 하면, 정말 열심히
최선을 다하시는데 문어들이 올라 타지를
않아 애가 타시는 분들도 계셨고, 경험이 다소
부족하신 분들도 계셔서 조과 차이는 납니다.
하지만 한 분도 빠짐없이 묵직한 돌문어 손맛
보셨습니다.

오늘도 함께 해 주신 회원님들 수고 하셨습니다.
안전하게 귀가 하시고 남은 휴일 즐거운 시간
되십시오. 감사합니다.

좋은 날씨, 좋은 물때에 키로급 돌문어
쭉~~ 뽑아 보실 분들 빠르게 연락
주십시오.

출조시 두터운 외투 꼭 준비해 오세요.
주말 예약은 서둘러 주십시오.
12월 5일(금) 야간 전투문어 예약 가능하십니다.

※강민호 예약문의 (입 / 출항시간 유동적)※
010 7404 3202
(아침 부터 오후 16시까지 예약상담 가능)
010 2388 7118
(16시 부터 03시까지 예약상담 가능)
예약은 전화나 문자로 부탁드립니다
  • 사용자가 올린 이미지
  • 사용자가 올린 이미지
  • 사용자가 올린 이미지
  • 사용자가 올린 이미지
  • 사용자가 올린 이미지
  • 사용자가 올린 이미지
  • 사용자가 올린 이미지
  • 사용자가 올린 이미지
  • 사용자가 올린 이미지
  • 사용자가 올린 이미지
  • 사용자가 올린 이미지
  • 사용자가 올린 이미지
  • 사용자가 올린 이미지
  • 사용자가 올린 이미지
  • 사용자가 올린 이미지
  • 사용자가 올린 이미지
  • 사용자가 올린 이미지
  • 사용자가 올린 이미지
  • 사용자가 올린 이미지
  • 사용자가 올린 이미지
  • 사용자가 올린 이미지
  • 사용자가 올린 이미지
  • 사용자가 올린 이미지
  • 사용자가 올린 이미지
  • 사용자가 올린 이미지
  • 사용자가 올린 이미지
  • 사용자가 올린 이미지
  • 사용자가 올린 이미지
  • 사용자가 올린 이미지
내만 오후(야간)돌문어 출조 합니다
■■ 평일 하루 한타임 ■■
평일 (월 화 수 목)
시간 : 오후 6시~새벽 1시 유동적
선비 : 7만원
식사 : 제공
(컵라면, 음료, 간식은 구비되어 제공됩니다.)

주말(매주 일요일 만)
시간 : 오후 5시 ~ 새벽 24시 전후(유동적)
선비 : 7만원
식사 : 제공
(컵라면, 음료, 간식은 구비되어 제공됩니다.)

야간전투 출조합니다
- 매주 금요일 / 토요일 / 공휴일 전날
시간 : 오후 5시 출항~새벽 2시 전후 (유동적)
선비 : 9만원
식사 : 제공
(컵라면, 음료, 간식은 구비되어 제공됩니다)

내만 야간 돌문어 예약 안내
12월 2일 (화) 선박 도크 작업 휴항
12월 3일 (수) 선박 도크 작업 휴항
12월 4일 (목) 선박 도크 작업 휴항
12월 5일 (금) 야간 전투문어 예약가능
12월 6일 (토) 야간 전투문어 예약가능
12월 7일 (일) 주간 문어 예약가능
12월 8일 (월) 야간 문어 쭉~ 예약 가능하십니다.

자리 선정은 추첨식 입니다.
(출항 30분전 추첨)
오실 때 신분증 꼭 지참 해 주세요.
조끼는 입항 할 때 까지 착용 해주세요.
(팽창식 구명조끼 대여가능 합니다)
음주 반입 금합니다.
합사 3호 ~~ / 봉돌 기본 20호, 30호

개인 쿨러 필요 없습니다
개인망과 비닐봉지를 무료로 제공 해 드립니다.
배 전체 자리마다 해수라인과 연결된 아이스박스가
설치되어 잡은 문어를 싱싱하고 안전하게 보관하여
가져 가실 수 있습니다.
(아이스박스 가져오지 않으셔도 됩니다)

페트병에(500ml) 얼음 2개 얼려서
오시면 집에 가실 때 까지 싱싱하게
가져가실 수 있습니다.
(얼음 넣은 아이스박스는 차에 두고 오셔도 됩니다)

저희 강민호는 특별한 경우를 제외한 4계절 내내
문어출조로 문어낚시 하시기에 편리한
시설을 갖춘 문어 전용선으로 최적화 되어 있습니다.

▣ 식사 ▣
여름철 : 문어 물회 or 도시락
봄, 가을, 겨울철 : 문어숙회, 문어라면, 굴떡국
캔음료수 캔커피 생수 컵라면 상시 무료제공
(냉온 정수기 설치 및 뒤 선실 에어컨 풀가동)
강민호에서는 항상 따뜻한 커피 드실 수 있습니다.

환불 규정
☆당일 하루전 예약취소 및 변경, 환불 안됩니다.
☆기타 문의 사항 연락주세요 (평일 3일전 50%)
●예약완료시(요일상관없이) 공휴일 외 토요일,
일요일 예약취소 및 변경, 환불 안됩니다 (양해바랍니다)
●특히 주말 예약 신중하게 예약 부탁드립니다

예약 (노쇼방지)
예약문자/전화 후 바로 입금 해 주셔야 예약이 됩니다.
예약 후 아무 이유 없이 입금이 지연 될 경우 노쇼방지
차원에서 따로 연락 드리지 않고 자동 취소 될 수
있다는 점 양지 바랍니다.

▣ 주의 사항▣
※음주는 절대 반입불가
구명복 착용은 의무사항입니다.
※신분증 지참 하시고 승선하시길 바랍니다. (필수)

※ 초보조사님 대환영~ 1:1 선장직접 티칭
지원해 드립니다.

원도권 돌문어 출조안내
● 원도권
시간 : 오전 6시~오후4시 전/후 유동적
선비 : 10만원
식사 : 제공
(컵라면, 음료, 간식은 구비되어 제공됩니다.)

●원도권 출조지
(양지암.지심도.내 외도 해금강, 손대,
매물도, 홍도, 구을비도, 국도~~~)

▣ 화살촉오징어 출조 안내 ▣
●내만 ,거제권
시간 : 오후 6시출항~ 오전3시 전 / 후 유동적
선비 : 7만원
식사 : 제공
(컵라면, 음료, 간식은 구비되어 제공됩니다.)

▣ 진해(강민호) 문어낚시 예약전화 ▣
010 7404 3202
(아침 부터 오후 16시까지 예약상담 가능)
010 2388 7118
(16시 부터 03시까지 예약상담 가능)
(출항지) 창원시 진해구 제덕동 878-5
▣밴드: https://band.us/@kangminho
  • 사용자가 올린 이미지

, , , , , , , , , , , , , , , , , , , ,

  • 페이스북으로 보내기
  • 트위터로 보내기
  • 구글플러스로 보내기
  • 카카오스토리로 보내기
  • 네이버밴드로 보내기
  • 네이버로 보내기
  • 텀블러로 보내기
  • 핀터레스트로 보내기
0 댓글
포토 제목
 
 

인낚 최신글


인낚 최신댓글


온라인 문의 안내


월~금 : 9:00 ~ 18:00
토/일/공휴일 휴무
점심시간 : 12:00 ~ 13:00