거제 ( 어구 일성호 ) 감성돔 참돔 기타어종 손맛 ~~ 전마선 조황 ~~

신상품 소개


회원 랭킹


공지사항


NaverBand
점주/선장 > 선상 + 좌대 조황

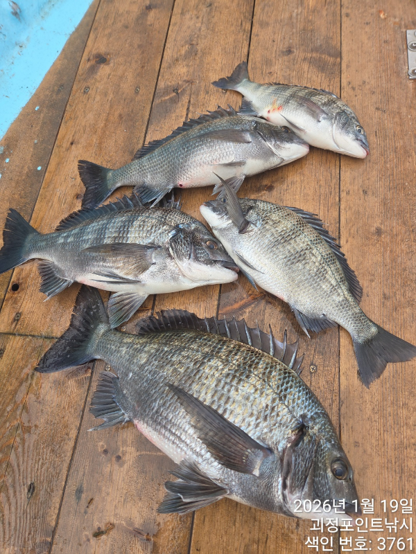
거제 ( 어구 일성호 ) 감성돔 참돔 기타어종 손맛 ~~ 전마선 조황 ~~

거제어구일성호 0 122
● 출항지 : 거제 ● 출조지 : 거제
유튜브/SNS


*** 일요일 예약 완료 입니다..

*** 평일 예약 가능 합니다..

안녕하세요 ^^

어구 일성호 김 선장 조황소식 인사 드립니다

행복한 주말 되셨습니까 ~

금일, 어제 전마선 조황 입니다

감성돔 참돔 문어 기타어종 짜릿한 손맛 보셔서
담아 주셨습니다 .!

사진으로 참고 바랩니다

금일 하루도 수고 많으셨습니다

언제나 늘 일성호 많은 성원해주셔서 감사합니다.!



* * * 미끼는 다양하게 준비해 오세요~ 문의도 가능합니다.


▶ ▶ ▶ ▶ ▶ 예약 및 출 조 안 내 ◀ ◀ ◀ ◀ ◀

※ 일성호 공식 블로그 [ https://blog.naver.com/eogu5982 ]
네이버 검색창에 "어구 일성호" 치시면 확인 가능합니다.


▶ ▶ 전마선 , 갯바위 ( 섬 방파제) 출조가능 (일성호)


▶ ▶ 선장 직통 연락처 : 010 ㅡ 4588 ㅡ 5982

★★ 부재시 문자 남겨 주시면 감사 드립니다.


▶ ▶ 네비주소 ☞☞ : 경남 거제시 둔덕면 어구리 어구낚시 정보화 센타 앞.

※ 어구 방파제 입구 바로 왼쪽편에 " 일성호 " 사무실 있습니다.


*** 철수시간은 4시까지 자유시간 입니다.
( 계절의 따라 일출, 일몰 시간은 변동 됩니다. )


▶ ▶ ▶ 선상 전마선 요금 : 대여비 ( 무동력 선 ) ◀ ◀ ◀

     ( 3 인승 )                ( 6  만원 )


     (  1~ 2  인승  )             ( 5  만원 )



  • 페이스북으로 보내기
  • 트위터로 보내기
  • 구글플러스로 보내기
  • 카카오스토리로 보내기
  • 네이버밴드로 보내기
  • 네이버로 보내기
  • 텀블러로 보내기
  • 핀터레스트로 보내기
0 댓글
포토 제목
 
 

인낚 최신글


인낚 최신댓글


온라인 문의 안내


월~금 : 9:00 ~ 18:00
토/일/공휴일 휴무
점심시간 : 12:00 ~ 13:00