카드
거제시 거제면 법동리 536-24
거제시 거제면 법동리 536-24
거제 감성돔낚시,참돔낚시,생활낚시 전문
"오로라호" 입니다.
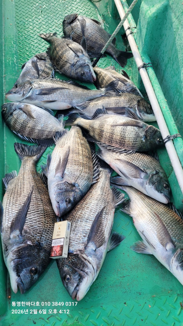
주말조황 입니다.
물때가 살아나기 시작하니 대물들의 활성도도 살아나는듯
동트자 시작된 입질에 4짜로 스타트 끊고
연이은 입질에 터지고,빠지고 5짜급 47 빵좋은 놈이 엄청난 파워로
손맛 찐하게 안겨주네요.
오로라호 윤선장
010 3003 6664
,
,
【예약일정】
☞ 2/ 4 (수) 감성돔흘림 예약가능
☞ 2/ 5 (목) 감성돔흘림 예약가능
☞ 2/ 6 (금) 감성돔흘림 예약가능
☞ 2/ 7 (토) 감성돔흘림 예약가능
☞ 2/ 8 (일) 감성돔흘림 예약가능
☞ 2/ 9 (월) 이후 쭉~감성돔흘림 예약가능
※ 2인 이상시 상시 출항 합니다
【예약문의】
☞ 오로라호 윤선장 010 - 3003 - 6664
☞ 예약계좌 : 수협 (윤진호)
2020 - 5055 - 4259
※ 선입금 우선으로 예약접수 진행하오니 양지 바랍니다.
☞ 출항지주소 : 거제시거제면 법동리536-24
( 법동낚시공원방파제앞 주차)
,
,
,
【오로라호 밴드 : 25년 감성돔 시즌 이벤트 진행중 】
☞ 밴드회원 대상 big one 이벤트외 밴드회원 우대 이벤트 진행중
(이벤트 내용 "오로라호 밴드" 공지사항 확인 가능)
☞ 실시간, 상세조황,이벤트,예약상세일정 등 확인가능
☞ 네이버 " 거제오로라호" 검색 OR
☞ https://band.us/@aurora
[오로라호 자체 숙소 및 휴계소 운영중]
☞ 냉,난방,온수,샤워시설, 취사가능한 오로라호
자체 숙소 운영중 (출항전 사전도착후 취침 및 휴식 가능)
☞ 낚시전,후 뒤풀이 및 회식가능
(잡은고기 회떠서 드시고 가실수 있는 준비 완)
☞ 철수후 잡은물고기 얼음 꽉꽉 채우고, 정비해서 출발 하세요
(얼음은 냉동실 꺼내가시면 됩니다.)