손맛끝판 감성돔 선상조항 좋아요!!

신상품 소개


회원 랭킹


공지사항


NaverBand
점주/선장 > 선상 + 좌대 조황

손맛끝판 감성돔 선상조항 좋아요!!

도선낚시 0 51
● 출항지 : 진해 ● 출조지 : 진해
실시간 예약
안녕하십니까
감성돔 손맛 맛집 도선낚시 이선장 입니다

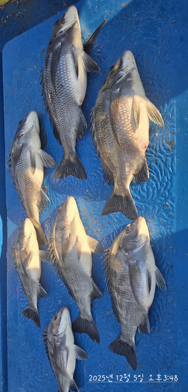
오늘은 3분의 조사님과 감성돔카고
선상 다녀왔습니다 

감성돔 총7수 조항을 올리고 철수 했습니다 씨알 마리수 점점 좋아집니다 손맛 보러 오세요!!
손맛 끝판왕 감성돔!! 출조하신 조사님 수고 많으셨습니다

선상자리 내일1자리여유 있습니다 얼릉 예약하세용

가시는길 안전운전 하십시요
계속되는 상습 취소로 선입금시 예약 되는점 참고부탁드립니다

손맛보러오세요
조사님들 수고많으셨습니다

- 알 림 -
출조시 꼭 주민등록증 지참하셔야 합니다
★신분증 필히 챙겨오세요
★선내 승객 음주:과태료 100만원 - 술반입X
★구명복 필히 착용하십시요
미착용시 과태료 100만원 - 없으신분은 배에 준비되어있습니다

▶전화 010 - 5015 - 8048

예약 ▶ 계좌번호(농협) 김윤옥 356-50158048-33 (예약하실때 성함 전화 번호 필수)

갑자기 당일 새벽 취소가 많아 선불 부탁드립니다

▶진해시 제덕로 179번길33
(진해수협 제덕위판장 맞은편 입니다)

감성돔 선상 안내

-출.입항시간 : 출.입항시간은 바다사황에따라 예약시 말씀드립니다 (출입항시간 조율가능 유동적)

-그외 카고등 필요한 물품 가계에 다 있습니다.

평일 단체(독배) 저렴하게 협의 가능하세요^^

▶ 전화로 예약주세요!! 단체 개인 大 환영이예요^^
가족 동아리도 大 환영!!
출조시간 협의 가능 하십니다^^

저희 도선낚시 점에서는 정확한 포인트 선별을 하여
여러 조사님들께 최대의 손맛과 즐거움을 제공해 드리기위해 노력 중입니다.
언제든지 주저 마시고 저희 도선낚시점 으로 연락 해주십시요
필요물품 기타 필요 하신 정보나 궁금하신 정보는 전화로 확인해 주세요
더욱 정확하고 빠르게 아실수 있답니다^^

  • 페이스북으로 보내기
  • 트위터로 보내기
  • 구글플러스로 보내기
  • 카카오스토리로 보내기
  • 네이버밴드로 보내기
  • 네이버로 보내기
  • 텀블러로 보내기
  • 핀터레스트로 보내기
0 댓글
포토 제목
 
 

인낚 최신글


인낚 최신댓글


온라인 문의 안내


월~금 : 9:00 ~ 18:00
토/일/공휴일 휴무
점심시간 : 12:00 ~ 13:00