네임
카드
카드
남해강바다호
경남 남해군 고현면 갈화리 갈화항
010-2007-5588
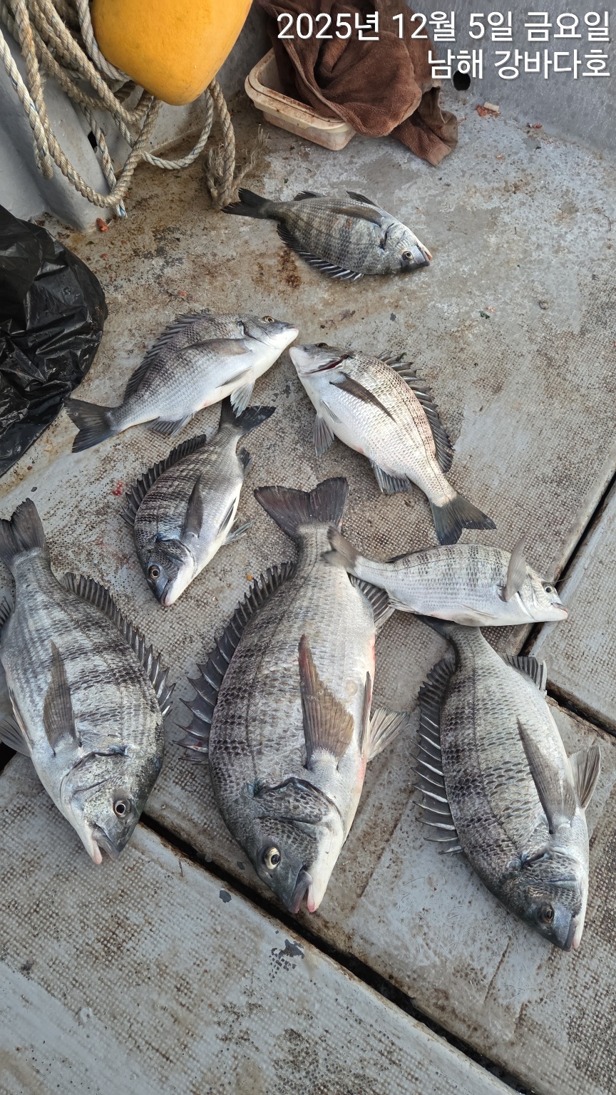
12월 5일 남해 미조 강바다호 감성돔 선상조황
경남 남해군 고현면 갈화리 갈화항
|
|
|
|




