(왕볼락)통영권~텁 텁 18~20오버급까지~뉴그린호(오늘 예약 가능)

신상품 소개


회원 랭킹


공지사항


NaverBand
점주/선장 > 선상 + 좌대 조황

(왕볼락)통영권~텁 텁 18~20오버급까지~뉴그린호(오늘 예약 가능)

통영뉴그린호 0 147
● 출항지 : 통영 ● 출조지 : 통영
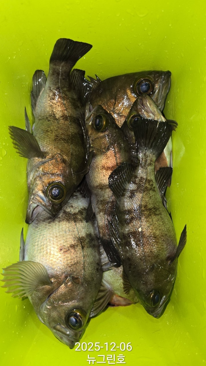
겨울밤의 주인공 왕볼락 소식~!!!
6일(토) 새벽철수 통영권 볼락 붉바리 루어낚시 "뉴그린호" (철수)핫조황입니다.
※ 뉴그린호는 기상 좋으면 무조건 원도권으로 달립니다!!

★6일(토) 오늘 야간 통영권 볼락/붉바리 루어낚시 "예약가능"
(왕사미) 볼락 루어 통영권 핫조황~ 본격 시즌 OPEN~
  • 사용자가 올린 이미지

통영 볼락 붉바리 루어낚시 뉴그린호 출조합니다~
통영권 왕볼락낚시 시즌이 본격 시작된 듯 합니다~ 확률 높은
포인트에서 좋은 조건 속 놈들을 노렸고 바닥 근처 호핑 액션에
텁~하고 받아먹는 씨알 좋은 왕볼락들 덕분에 화끈한 손맛
즐길 수 있었고, 20Cm가 넘어가는 놈들도 곧잘 물어주며
전원 손맛 달성하고 마무리 합니다~ 개체수가 제법 확인되니
오늘 야간도 확률 높은 포인트로 달립니다 연락주십시오~

6일(토요일) 오늘 야간 통영권 볼락루어낚시 예약 가능합니다.
오늘도 통영 뉴그린호와 함께해주신 조사님들 수고 많으셨습니다.

2025 볼락 시즌 뉴그린호 출조 안내
-(야간) 17시 출발 ~ 01시까지 낚시 후 철수(유동적)
-내만권 (8만원) 매물도권 (9만원)
2025 볼락 시즌 시작합니다~ 다년간의 경험으로 확률 높은
포인트들로 진입하니 함께하실 분들 연락주십시오~

▣ 뉴그린호(NEW GREEN) 출조 일정 안내 ▣
★6일(토) 야간(내만권,통영권)볼락 루어낚시 "예약 가능"
★7일(일) 야간(내만권,통영권)볼락 루어낚시 "예약 가능"
★8일(월) 야간(내만권,통영권)볼락 루어낚시 "예약 가능"
★9일(화) 야간(내만권,통영권)볼락 루어낚시 "예약 가능"
★10일(수) 야간(내만권,통영권)볼락 루어낚시 "예약 가능"
★11일(목) 야간(내만권,통영권)볼락 루어낚시 "예약 가능"
★12일(금) 야간(내만권,통영권)볼락 루어낚시 "예약 가능"
※ 주말 금요일, 토요일은 주간 돌문어, 야간 돌문어 동시에 운영합니다.
※ 예약 전화 후, 입금자 순으로 예약 완료 처리 됩니다.

▩ 통영 뉴그린호(NEW GREEN)
010-9527-7350 (부재시) ☎010 2997 7350 -15인승
(출항지) 통영시 국치1길 52-30
▣ 뉴그린호 밴드 https://band.us/@newgreen
  • 사용자가 올린 이미지
  • 사용자가 올린 이미지
  • 사용자가 올린 이미지
  • 사용자가 올린 이미지
  • 사용자가 올린 이미지
  • 사용자가 올린 이미지
  • 사용자가 올린 이미지
  • 사용자가 올린 이미지
  • 사용자가 올린 이미지
  • 사용자가 올린 이미지
  • 사용자가 올린 이미지
  • 사용자가 올린 이미지
★★★뉴그린호(신조선)장점 ★★★ 15인승
1. 뉴그린호는 신조선으로 넓은선실과 복도가 조사님들을 기다리고 있습니다
2. 양식장을 더욱 편안하시게 낚시 하실 수 있도록 사이드 스러스트 옆으로
가는 낚시배를 만들었습니다.
3. 문어를 신선하게 살릴 살림통을 배전체에 설치 완료하였습니다.
찾아오시는 조사님들에 편의를 위해더욱 좋은 장비로 업그레이드 완료 했습니다

▣ 통영/거제권 무늬오징어(야간) 선비 10만원.
- 주말 공휴일 모두 동일 조건입니다.

▣ 통영/거제권 돌문어(원도권)낚시 출조안내 ▣
1) 평일 주간 전투낚시 (최고의 핫한 포인트로 진입)
(종일) 6시 출발 ~ 입항 오후 3시 30까지(유동적)
- 생수, 캔커피, 도시락제공
(야간) 오후 5시 출항 ~ 23시 철수

▣▣ 문어체험낚시 (가족팀/단체팀 전문) ▣▣ "몸만 오십시요"
※ 낚싯대+릴+구명복 장비 (유상 1만원 대여 가능) 에기, 봉돌만 개인 준비

▧ 협력 숙박시설 이용 안내 ▧
- 고고 선단배에 한해 숙박료 10% 상시 할인 적용중입니다.
1) 마티스비치 스파펜션 ☎010-2361-3710 /통영시 국치1길 52-24
- 객실료의 10%할인 적용.
2) 바다52 스파 펜션 ☎010-4049-7873 / 통영시 국치1길 52-20
- 객실료의 10%할인 적용.

▣ 뉴그린호(NEW GREEN) 협력 선단 운영 ▣ 동일포인트 진입!!!
개인부터 단체까지 수용이 가능한 선단 구성으로 80명까지 수용 가능합니다.
★풍부한 포인트 관리로 항상 최선을 다하는 선단을 운영중입니다.

★예약 필수 - 입금확인시에만 "예약으로 확정"
전화상으로 예약은 예약 완료가 아닙니다. 다른 곳과 조황을 비교하면서
예약만 해두면 다른 조사님들이 그 피해를 볼 수 있습니다. 예약 취소는
비용 지출은 물론, 다른분들의 즐거움을 해하는 행동으로 뉴그린호
에서는 절대 근절합니다.

◈필수 참고사항◈
1) 신분증 필히 지참 (미지참시 승선불가)
2) 안전을 위해서 구명조끼는 의무적으로 착용 바랍니다
3) 선내 주류 반입 , 음주는 절대 금합니다

▩ 통영 뉴그린호(NEW GREEN)
010-9527-7350 (부재시) ☎010 2997 7350 -15인승
(출항지) 통영시 국치1길 52-30
▣ 뉴그린호 밴드 https://band.us/@newgreen
  • 사용자가 올린 이미지

, , , , , , , , , , , , , , , , , , , , , , , , , , , , , , , , , , , , , , , , , , , , ,

  • 페이스북으로 보내기
  • 트위터로 보내기
  • 구글플러스로 보내기
  • 카카오스토리로 보내기
  • 네이버밴드로 보내기
  • 네이버로 보내기
  • 텀블러로 보내기
  • 핀터레스트로 보내기
0 댓글
포토 제목
 
 

인낚 최신글


인낚 최신댓글


온라인 문의 안내


월~금 : 9:00 ~ 18:00
토/일/공휴일 휴무
점심시간 : 12:00 ~ 13:00