(감성돔)4짜 4짜급들 마릿수 외 참돔 당찬 손맛~대어1호(7일 예약)

신상품 소개


회원 랭킹


공지사항


NaverBand
점주/선장 > 선상 + 좌대 조황

(감성돔)4짜 4짜급들 마릿수 외 참돔 당찬 손맛~대어1호(7일 예약)

거제대어1호 0 72
● 출항지 : 거제 ● 출조지 : 거제
확률 높은 어초여밭 매일 진입~!!!
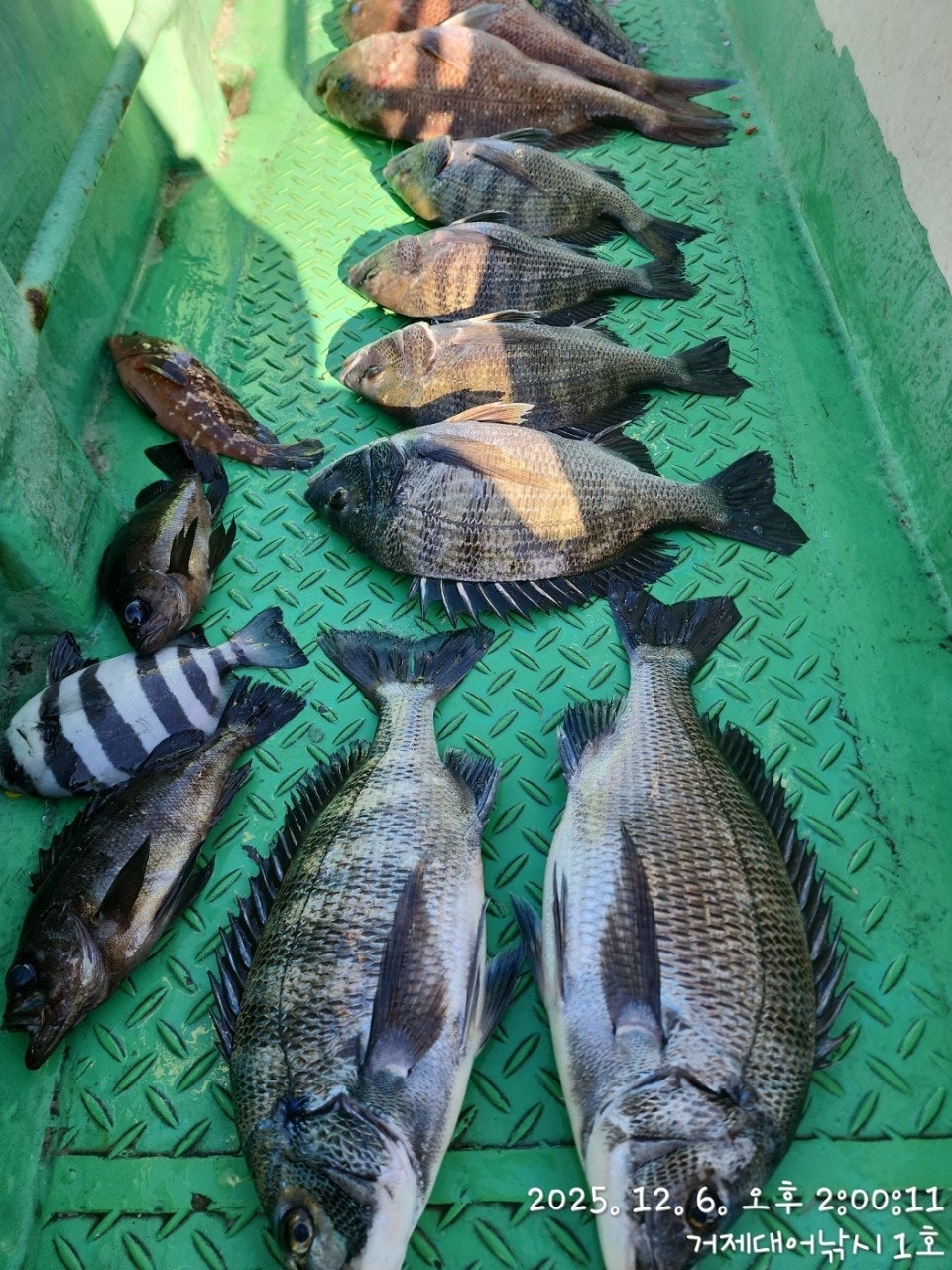
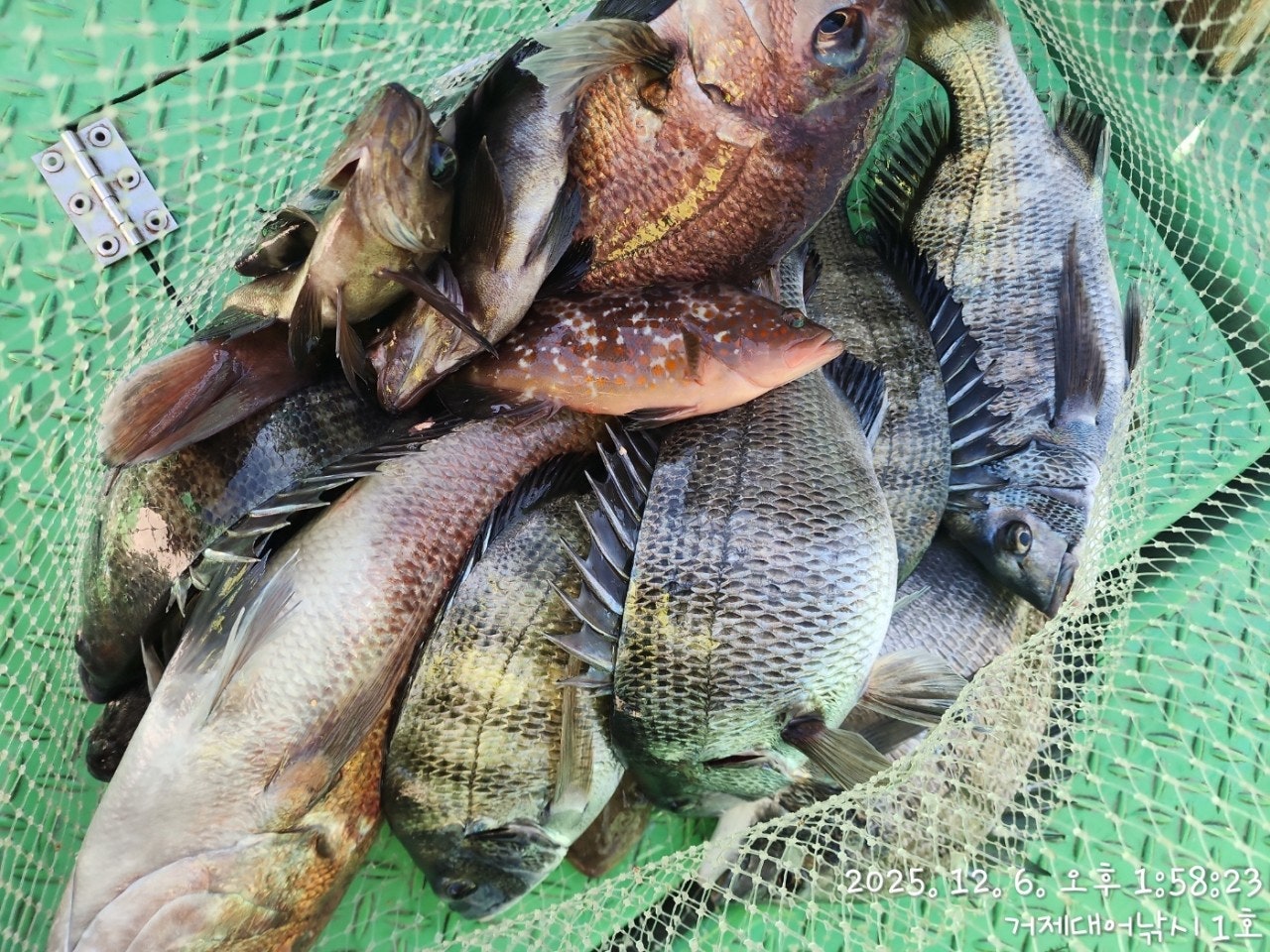
6일(토요일) 거제 어초여밭 감성돔낚시 "거제대어1호" (철수)핫조황입니다.
※ 감성돔 53Cm 참돔 68Cm이상(日1명) 대어&아지카이벤트 최고급원줄 증정!!!

☆7일(일) 거제 어초여밭 감성돔 흘림/선외기대여 "예약가능"
(7일 10물, 간조: 03:48 만조: 10:36)
(감성돔)4짜 4짜급 빵빵한 덩치들 마릿수 폭격~!!!
어초여밭 약속의 12월이 시작됩니다.
★★어초여밭권 대물 시즌 OPEN 쭉~ 예약 가능합니다!!!★★
  • 사용자가 올린 이미지

거제대어낚시1호 어초, 여밭 감성돔 흘림 조황입니다.
겨울 시즌 대물의 집합소 어초여밭권 서서히 씨알 좋은 감성돔들의
입주가 시작된 듯 굵은 손맛 즐길 수 있었습니다.
빵빵한 4짜 외 3짜들과 참돔들로 마릿수 손맛 즐겼고 터지고 빠지는
놈들도 있었지만 그 놈들은 내일 다시 체포해보도록 하겠습니다~
내일부터 쭉~ 예약 가능하니 연락주십시오.

주말까지 쭉~좋은 물때 구간으로 진입 승율은 더욱더 상승하는 곡선입니다.
7일(일요일) 내일, 감성돔낚시와 선외기 대여 예약 가능합니다.
오늘도 거제대어낚시와 함께해주신 조사님들 수고 많으셨습니다.

※ 손맛 보시고 철수 하실때 요청 주시면 잡으신 고기 소정의 비용으로 손질
해드립니다~ 선장님께 요청해 주세요~

▣ 거제대어낚시 감성돔/돌문어/선외기대여 일정 안내 ▣
※ 낚시 힐링은 "거제대어낚시"에서 낚시배+숙박까지 한방에 해결~
☆7일(일) 어초여밭 감성돔낚시 선외기대여 "예약가능"
☆8일(월) 어초여밭 감성돔낚시 선외기대여 "예약가능"
☆9일(화) 어초여밭 감성돔낚시 선외기대여 "예약가능"
☆10일(수) 어초여밭 감성돔낚시 선외기대여 "예약가능"
☆11일(목) 어초여밭 감성돔낚시 선외기대여 "예약가능"
☆12일(금) 어초여밭 감성돔낚시 선외기대여 "예약가능"
☆13일(토) 어초여밭 감성돔낚시 선외기대여 "예약가능"
※ 좋은 포인트 선정을 위해 예약을 미리미리 서둘러 주십시요.

거제대어낚시 선상낚시 예약(독채 민박 운영)
문의 ☎ 010-6400-2082 / ☎ 010-454-3937
ㅁ선외기 예약: ☎ 010-6400-2082
■ 밴드: https://band.us/@geojdaeeofishing
  • 사용자가 올린 이미지
  • 사용자가 올린 이미지
  • 사용자가 올린 이미지
  • 사용자가 올린 이미지
  • 사용자가 올린 이미지
  • 사용자가 올린 이미지
  • 사용자가 올린 이미지
  • 사용자가 올린 이미지
  • 사용자가 올린 이미지
  • 사용자가 올린 이미지
  • 사용자가 올린 이미지
거제대어낚시는 1~7선단을 운영하고 있습니다.
단체팀/회사팀/기업팀/동호회팀/선상 낚시대회도
가능한 충분한 인원을 수용 가능합니다.

▣ 거제출발 ▶사량도 한산도권 직항 "돌문어낚시"
- 04시 30분 출발 ~ 오후 1시(유동적) 철수
- 도시락, 생수, 커피 제공합니다.

▣ 돌문어 생활낚시 & 낚시체험 ▣ 몸만 오시면 됩니다.
- 낚싯대, 장비일절제공, 구명복 제공
- 가족들, 여름휴가, 단체팀들 대환영~ 가성비 좋습니다.

■ 참돔 흘림낚시 (내만권/중장거리 상시 출조)
한나절:새벽부터 ~ 2시까지(유동적) 14만원
- 밑밥,미끼,도시락 제공, 커피, 음료, 생수 제공
(낚싯대) 기본 1.5호~2호대 530(경질대 선호)
(릴) 4000번~6000번. 권사량 150~200미터 추천되는 스피닝릴.
(라인) 원줄 4~6호 플로팅 세미타입, 목줄 후로로카본 100% 4호~6호 선호.
(바늘) 참돔 8~12호, 큐션또는 수중큐션 -2B ~ -5B, 좁쌀봉돌, 스위벨도래
※독배는 시간 조정 가능합니다.

▦ 거제대어낚시 참돔 시상 내역 ▦ 일 1명씩 시상됩니다.
68Cm 이상 - 최상급 원줄 증정

■ 선외기 대여
(4인승)- 13만원, (3인승) - 10만원 / (2인승) - 8만원 / (1인승)- 7만원.
영업구역 내 조정면허증 필요 없으므로, 누구나 이용이 가능합니다.
- 선외기 사용교육 3분이면 바로, 운전하실 수 있습니다.

★안전 주의 사항★
- 거제대어낚시 선단 이용시, 안전한 낚시를 위해 선착장 통로 이용시 미끌림을
주의 해 주시길 바랍니다. 통로 좌우에 있는 핸들을 잡고 이동하시면 안전합니다.
- 선착장도착전, 배에서 미리 내리지 마시고, 배가 정박하고, 로프를 묶은 뒤에
하선해 주시길 바랍니다.

★대어낚시 선단★
거제 대어낚시 1호 ㅡ 안젤라호
거제 대어낚시 2호 ㅡ 안드레아호
거제 대어낚시 3호 ㅡ 야호(YAHO)
거제 대어낚시 4호 ㅡ 돌핀호
거제 대어낚시 5호 ㅡ 미래호
거제 대어낚시 6호 ㅡ 거제바다호
거제 대어낚시 7호 ㅡ 사랑호

■ 주변 제휴 민박집 ■
아지랑 민박(단체-독채) ☎010-6400-2082
해송굴구이민박 (단체) ☎010-2545-3755
거제 대어낚시 주변 파라스파찜질방 검색하시면 됩니다.

■ 환불 규정 ■
거제대어낚시에서는 출조에 대한 환불규정을 아래와 같이 운영중입니다.
"예약완료" 확정시 출조비 전액 환불이 되지 않습니다.
1일전, 도시락과 밑밥에 따른 실비외에 환불(출조일 변경 가능)
2일전, 출조비 전액 환불,
"예약 완료" 공지 이후, 취소 요청시에는 환불되지 않습니다.

★찾아오시는길★
※출항지: 거제시 거제면 법동리 1074번지 아지랑경로당 방파제
★★★신분증 꼭 지참해주세요★★★

☎ 거제대어낚시 선상낚시 예약(독채 민박) 문의☎
010-6400-2082 / ☎ 010-4547-3937
ㅁ선외기: ☎ 010-6400-2082
■ 밴드: https://band.us/@geojdaeeofishing
  • 사용자가 올린 이미지

, , , , , , , , , , , , , , , , , , , , , , , , , , , , , , , , , , , , , , , , , ,

  • 페이스북으로 보내기
  • 트위터로 보내기
  • 구글플러스로 보내기
  • 카카오스토리로 보내기
  • 네이버밴드로 보내기
  • 네이버로 보내기
  • 텀블러로 보내기
  • 핀터레스트로 보내기
0 댓글
포토 제목
 
 

인낚 최신글


인낚 최신댓글


온라인 문의 안내


월~금 : 9:00 ~ 18:00
토/일/공휴일 휴무
점심시간 : 12:00 ~ 13:00