(감성돔)감당불가 욕지권 52Cm 외 5짜급~대물 팅~베이호(11일 예약)

신상품 소개


회원 랭킹


공지사항


NaverBand
점주/선장 > 선상 + 좌대 조황

(감성돔)감당불가 욕지권 52Cm 외 5짜급~대물 팅~베이호(11일 예약)

고성베이호 0 58
● 출항지 : 고성 ● 출조지 : 통영
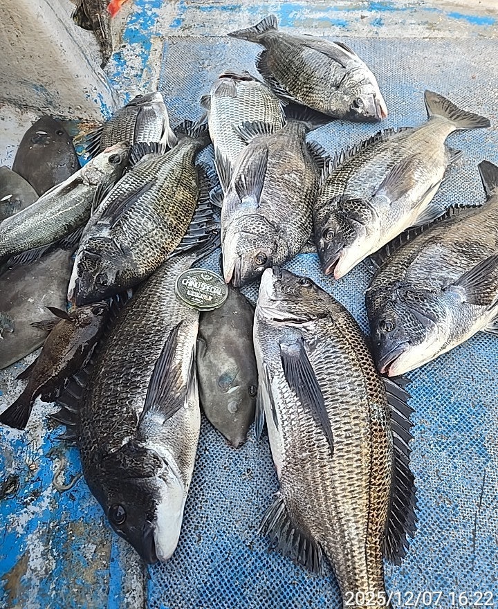
감당불가 팅~팅 5짜 5짜급 HIT~
9일(화) 욕지권 자연어초 감성돔 흘림낚시 "고성베이호" 핫조황입니다.
※ 감성돔 53Cm 아지카라인 이벤트, 카고 절대 사절~자연 어초여밭 흘림낚시!!!

☆11일(목) 07시 출발, 자연어초 감성돔 참돔낚시 "예약가능"
(감성돔)걸면 대물~ 탕 탕 총소리 작렬~5짜 5짜급 HIT
자연어초 불감당 사이즈들 출몰~
※어장낚시 카고낚시 사절~ 자연어초권 매일 진입합니다~
  • 사용자가 올린 이미지

고성출발, 욕지도권역 자연 어초 대물 사냥 전문 고성 베이호입니다.
욕지도권 자연어초 감당불가 엄청난 씨알의 감성돔들이 제대로
붙었습니다~ 손 한번 써보지 못하고 팅 팅~ 울려퍼지는 총소리에
포인트에는 긴장감이 흘렀고 빠른 조류에 낚시가 쉽진 않았지만
확실히 거는 녀석들마다 상당한 덩치를 자랑했습니다.

52Cm 빅원 외 48Cm 4짜급들 등 마릿수 손맛 즐기고 마무리 했고
감당 불가 터지는 녀석들은 사이즈가 가늠이 안될 정도이니 원줄 목줄
튼튼히 준비하셔서 도전해보십시오~

11일(목요일) 오전 7시 출발, 고성출발, 남해권 자연어초 감성돔낚시 직항합니다.
자연어초권에 굵은 감성돔과 참돔들이 함께 덤비고 있습니다.
고성베이호를 찾아 주신 조사님 수고 많으셨습니다.

▣ 고성베이호 자연 어초 여밭 흘림낚시 출조 일정 ▣
★11일(목) 14물, 자연어초 대물 감성돔 참돔낚시 "예약가능"
★12일(금) 조금, 자연어초 대물 감성돔 참돔낚시 "예약가능"
​​​​​​​★13일(토) 1물, 자연어초 대물 감성돔 참돔낚시 "예약가능"
​​​​​​​★14일(일) 2물, 자연어초 대물 감성돔 참돔낚시 "예약가능"
​​​​​​​★15일(월) 3물, 자연어초 대물 감성돔 참돔낚시 "예약가능"
​​​​​​​★16일(화) 4물, 자연어초 대물 감성돔 참돔낚시 "예약가능"
​​​​​​​★17일(수) 5물, 자연어초 대물 감성돔 참돔낚시 "예약가능"
​​​​​​​★18일(목) 6물, 자연어초 대물 감성돔 참돔낚시 "예약가능"
※ 자연어초여밭 주중, 주말 예약 가능합니다.

■ 고성 베이호 ☎010 4596 1782
■ 출항지 : 고성군 삼산면 두포리177-16 블루웨일 글램핑內
■ 밴드 : https://band.us/@bayho
  • 사용자가 올린 이미지
  • 사용자가 올린 이미지
  • 사용자가 올린 이미지
▣감성돔 참돔낚시 자연어초 여밭포인트 공략 ▣
1) (출항) 오전 6시 출발, 오후 2시경 (유동적)
2) 출조지역: 사량도(추도권)
원도권역 : 욕지도, 좌사리도, 갈도권
3) 밑밥, 미끼, 도시락 제공
- 커피, 생수,음료 등은 상시 비치되어 있습니다.

▣ 아지카(AJIKA)라인 특별시상 ▣
- 낚시줄회사 아지카(AJIKA)라인에서 감성돔 55Cm이상
최상급라인 "구레스페셜"원줄 증정(배송비 무료)합니다.

■ 고성 베이호 ☎010 4598 1782
■ 출항지 : 고성군 삼산면 두포리177-16 블루웨일 글램핑內
■ 밴드 : https://band.us/@bayho
■블로그 : https://blog.naver.com/bayfishing
  • 사용자가 올린 이미지

, , , , , , , , , , , , , , , , , , , , , ,

  • 페이스북으로 보내기
  • 트위터로 보내기
  • 구글플러스로 보내기
  • 카카오스토리로 보내기
  • 네이버밴드로 보내기
  • 네이버로 보내기
  • 텀블러로 보내기
  • 핀터레스트로 보내기
0 댓글
포토 제목
 
 

인낚 최신글


인낚 최신댓글


온라인 문의 안내


월~금 : 9:00 ~ 18:00
토/일/공휴일 휴무
점심시간 : 12:00 ~ 13:00