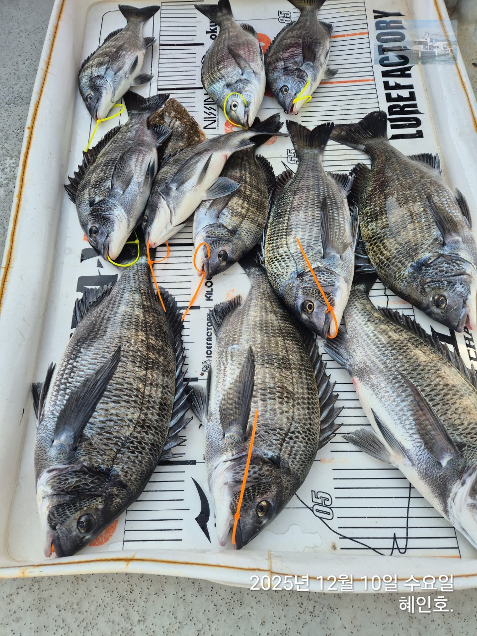
감성돔 어초여밭흘림 4짜4짜4짜외 10일 조황 토요일출조예약받습니다

신상품 소개


회원 랭킹


공지사항


NaverBand
점주/선장 > 선상 + 좌대 조황

감성돔 어초여밭흘림 4짜4짜4짜외 10일 조황 토요일출조예약받습니다

혜인호 0 47
● 출항지 : 진해 ● 출조지 : 진해
밴드 바로가기

#감성돔


12월 10일 어초여밭흘림 조황 입니다


고기가 이제 좀 붙은것 같네요



주말은 토요일만 출조가 가능할것같습니다

미리 예약받습니다


※ 감성돔 이벤트중(밴드회원만)

(밴드가입 가입하면 자세한 이벤트, 조황 출조공지 등 확인가능하세요)



출조계흭


12월 12일 금요일 기상확인

12월 13일 토요일 예약가능

12월 14일 일요일 기상확인



예약 문의 전화 

선장님  010. 9234. 1490

부재시  010. 2858. 3779



◐◐ 창원 혜인피싱 밴드 바로가기 ◐◐


네이버밴드 : https://band.us/@smfishing81 


<감성돔 출조 정보>


 - 이수도, 외포권, 한산권 (11만원)

 - 거제남부권, 홍포, 여차권(12만원)

 - 출항 5시~6시, 14~15시 철수

 - 자리 추첨 (4인이상 우선권)/연박출조 우선권 

 - 밑밥, 크릴, 개인도시락, 컵라면, 음료수,커피,물제공

   

- 카고X , 오로지 어초여밭 흘림 낚시만 합니다. 


 ♤ 고기가 나오는 곳이면 통영, 거제남부권까지갑니다 



ㆍ정박지 창원/진주에서 30~40분내 도착 가능

   서마산IC 30분내, 마창대교출구 10분내 도착

 

통로가 넓어서 정원 탑승해도 편하게 낚시 가능 



♧ 오시는길

  창원시 마산합포구 진전면 회진로 1480(이창수산물판매장)

    (창원, 진주, 서마산IC 에서 배타는 곳까지 30분)


  • 페이스북으로 보내기
  • 트위터로 보내기
  • 구글플러스로 보내기
  • 카카오스토리로 보내기
  • 네이버밴드로 보내기
  • 네이버로 보내기
  • 텀블러로 보내기
  • 핀터레스트로 보내기
0 댓글
포토 제목
 
 

인낚 최신글


인낚 최신댓글


온라인 문의 안내


월~금 : 9:00 ~ 18:00
토/일/공휴일 휴무
점심시간 : 12:00 ~ 13:00