(선외기)감성돔 진입 완료~4짜 전후 마릿수 행진~(13일 예약)

신상품 소개


회원 랭킹


공지사항


NaverBand
점주/선장 > 선상 + 좌대 조황

(선외기)감성돔 진입 완료~4짜 전후 마릿수 행진~(13일 예약)

거제대어낚시선외기 0 23
● 출항지 : 거제 ● 출조지 : 거제
12월 선외기 대물 감성돔 집중 공략~!!!
11일(목요일) 거제 대어선외기 대여, 감성돔낚시 (철수)조황입니다.
※ 선외기는 면허가 없어도 운전이 가능합니다. 3분교육후, 직접 몰고 가세요.
※ 53Cm이상 감성돔 체포시, 아지카(AJIKA) 공동이벤트, 최상급 원줄 증정.

☆ 13일(토요일) 선외기 대여, 감성돔 문어낚시 "예약가능"
▶선상낚시/선외기/단독펜션 운영(가족,초보, 생활낚시는 "거제대어선외기")
(감성돔)선외기 대물 진입~12월 마릿수 행진~
  • 사용자가 올린 이미지

거제 대어 선외기입니다.
12월의 선외기는 대물의 확률이 상당히 높습니다~ 영업 구역 내로
덩치급들이 먹이 활동을 위해 진입했고 5짜급부터 4짜 전후 덩치들로
좋은 조황이 이어지고 있습니다. 다양한 포인트에서 조황이 확인되고
있으니 손맛 보실 분들 연락주시면 승률 높은 포인트 안내 도와드리겠습니다.
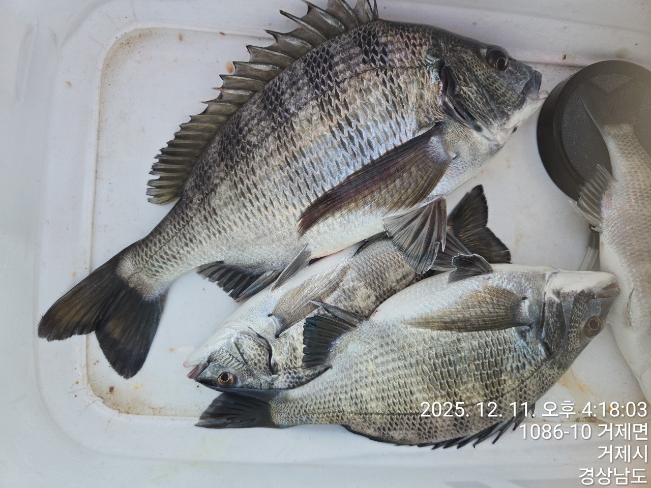
오늘도 팅 팅~ 터트린 팀도 있으셨고 4짜급부터 중치급까지 마릿수 감성돔
소식 전합니다. 확률 높은 시즌 선외기에서 화끈한 손맛에 도전해보십시오.
쭉~ 예약 가능합니다~

13일(토요일) 선외기대여 감성돔낚시, 문어낚시와 선단 감성돔 낚시 예약
가능합니다.날씨가 많이 춥습니다. 낚시복 및 방한복 챙겨오십시오.
오늘도 거제대어 선외기를 이용해 주신 조사님 수고 많으셨습니다.

★★★ 12월 대물 감성돔시즌 tip~★★★
흘림낚시에서는 수심이 중요한데, 1시간 간격으로 한물때에 최소 6번 정도
수심을 맞추어 주는 것을 추천드려 봅니다. 겨울시즌, 저수온시 바닥에
배를 깔고 조류가 조금만 움직여도 무시무시한 활성도로 바뀌는 상황이라
겨울철 낚시는 수심이 절대 중요한 시기이고, 밑밥은 여유있게, 농도를
무겁게~ 크릴과 옥수수를 동시에 준비하는 것이 관건.

선외기 영업구역내 흘림낚시와 카고낚시를 동시에 즐길 수 있는 포인트가
즐비합니다. 선외기 포인트, 번호 맵은 출발전 꼭 문의 해 주시면 좋은 조과
또한 보장 받으실 수 있는 곳이 많이 있습니다. 꼭 문의 해 주세요~
※손맛 보시고 철수 하실때 요청 주시면 잡으신 고기 소정의
비용으로 손질 해드립니다~ 선장님께 요청주세요~

▣ 거제대어낚시선외기대여 일정 안내 ▣
★숙박+낚시배를 동시에 이용하고자 하는 분들은 할인 혜택 적용.
☆13일(토) 선외기 "감성돔 돌문어낚시, 선단 감성돔 "예약가능"
☆14일(일) 선외기 "감성돔 돌문어낚시, 선단 감성돔 "예약가능"
☆15일(월) 선외기 "감성돔 돌문어낚시, 선단 감성돔 "예약가능"
☆16일(화) 선외기 "감성돔 돌문어낚시, 선단 감성돔 "예약가능"
☆17일(수) 선외기 "감성돔 돌문어낚시, 선단 감성돔 "예약가능"
☆18일(목) 선외기 "감성돔 돌문어낚시, 선단 감성돔 "예약가능"
☆19일(금) 선외기 "감성돔 돌문어낚시, 선단 감성돔 "예약가능"
※ 주말 공휴일은 미리 미리 예약을 해 주시길 바랍니다.
※ 낚시장비가 필요하신 분들은 임대 해 드립니다. 예약시 꼭 알려 주세요.

거제대어낚시 선외기(선상)낚시 예약(독채 민박)
문의 ☎ 010-640-2082 / ☎ 010-454-3937
ㅁ선외기 예약: ☎ 010-6400-2082
■ 밴드: https://band.us/@geojedaefishing
  • 사용자가 올린 이미지
  • 사용자가 올린 이미지
(10일 4짜 전후 마릿수 조황 첨부합니다~)
  • 사용자가 올린 이미지
  • 사용자가 올린 이미지
  • 사용자가 올린 이미지
  • 사용자가 올린 이미지
  • 사용자가 올린 이미지
  • 사용자가 올린 이미지
  • 사용자가 올린 이미지
  • 사용자가 올린 이미지
▣ 대어낚시 선외기 대여 ▣
(4인승)- 13만원, (3인승) - 10만원 / (2인승) - 8만원 / (1인승)- 7만원.
영업구역 내 조정면허증 필요 없으므로, 누구나 이용이 가능합니다.
회사팀/기업팀/동호회팀/선상 낚시대회도 가능한 충분한 인원을 수용 가능.

(내만권/중장거리 상시 출조)
한나절:새벽부터 ~ 2시까지(유동적) 14만원
- 밑밥,미끼,도시락 제공, 커피, 음료, 생수 제공
(낚싯대) 기본 1.5호~2호대 530(경질대 선호)
(릴) 4000번~6000번. 권사량 150~200미터 추천되는 스피닝릴.
(라인) 원줄 4~6호 플로팅 세미타입, 목줄 후로로카본 100% 4호~6호 선호.
(바늘) 참돔 8~12호, 큐션또는 수중큐션 -2B ~ -5B, 좁쌀봉돌, 스위벨도래
※독배는 시간 조정 가능합니다.

▦ 거제대어낚시 참돔 시상 내역 ▦ 일 1명씩 시상됩니다.
68Cm 이상 - 최상급 원줄 증정

■ 생활낚시 & 낚시체험
- 상시 예약 출조 가능합니다.
- 낚은 고기로 회썰어 드립니다.
- 몸만 오시면 됩니다.(낚싯대, 장비일절제공, 구명복 제공)

★안전 주의 사항★
- 거제대어낚시 선단 이용시, 안전한 낚시를 위해 선착장 통로 이용시
바닥 및 부대시설에 대해 미끌림을 주의 해 주시길 바랍니다. 통로 좌우에
있는 핸들을 잡고 이동하시면 안전합니다.
- 선착장 도착전, 배에서 미리 내리지 마시고, 배가 정박하고, 로프를 묶은
뒤에 하선해 주시길 바랍니다.

★대어낚시 선단★
거제 대어낚시 1호 ㅡ 안젤라호
거제 대어낚시 2호 ㅡ 안드레아호
거제 대어낚시 3호 ㅡ 야호(YAHO)
거제 대어낚시 4호 ㅡ 돌핀호
거제 대어낚시 5호 ㅡ 미래호
거제 대어낚시 6호 ㅡ 거제바다호
거제 대어낚시 7호 ㅡ 사랑호

■ 주변 제휴 민박집 ■
아지랑 민박(단체-독채) ☎010-6400-2082
해송굴구이민박(단체) ☎010-2545-3755
거제 대어낚시 주변 파라스파찜질방 검색하시면 됩니다.

거제대어낚시 선외기(선상)낚시 예약(독채 민박)
010-6400-2082 / ☎ 010-4547-3937
ㅁ선외기: ☎ 010-6400-2082
■ 밴드: https://band.us/@geojedaeeofishing

★찾아오시는길★
※출항지: 거제시 거제면 법동리 1074번지 아지랑경로당 방파제
사무실 :거제시 거제면 서정리 746-3(GS25시편의점)검색하시면 바로 옆 위치
★★★신분증 꼭 지참해주세요★★★
  • 사용자가 올린 이미지

, , , , , , , , , , , , , , , , , , , , , , , , , , , , , , , , , ,

  • 페이스북으로 보내기
  • 트위터로 보내기
  • 구글플러스로 보내기
  • 카카오스토리로 보내기
  • 네이버밴드로 보내기
  • 네이버로 보내기
  • 텀블러로 보내기
  • 핀터레스트로 보내기
0 댓글
포토 제목
 
 

인낚 최신글


인낚 최신댓글


온라인 문의 안내


월~금 : 9:00 ~ 18:00
토/일/공휴일 휴무
점심시간 : 12:00 ~ 13:00