카드
부산시 강서구 서천로89 301
부산시 강서구 서천로89 301




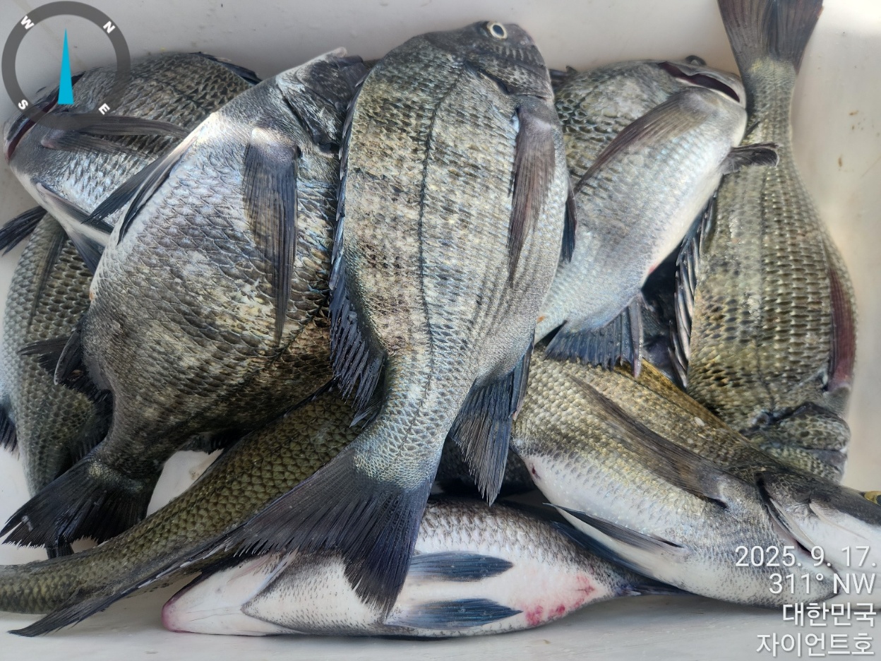
#9/17조황
#감성돔흘림
#왔어
#조황정보
#가덕도천성항
#감성돔흘림
#대물시즌시작
#실시간조황
#때가되면물어요
#메이커
#쉬지말고~일하세요
#자이언트호
#흘림조황
#내일도~정상출조~합니다
#오늘은감생이
#쟌트
#흘림감성돔
#쟌트호
#계속대박조황정보
#자이언트호
#퍽퍽합니다
#잔트호
#한늠만잡아
#때가되면물어요
#살아나는물
#물때시작
#자이언트호
#생활낚시전문
#천성항
#오늘하루도최선을
#왔어왔어
#내일은더많이
#황금물때
#바다가내어주는만큼만
#허위조황금지
#남해권
ᆞ
●반갑습니다~~^^
●부산에서 제일 가까운 가덕도 포인트
●타지역에 비해 몇척되지 않는 낚시배
●아시는 분만 아시는 자이언트 조황
●부산에서 가까운 가덕도에서 마리수 씨알 다잡아 가세요~^^
●부산에서 제일 가깝고 타지역에 비해 많은 포인트보유 가덕도 선상낚시배 몇척되지 않아 선상배 간의 자리 다툼이 없습니다
가덕도 천성항에 위치한 가덕도 생활 선상낚시전문 써비스 최강 자이언트호 입니다
ㆍ
#흘림감성돔 조황
반갑습니다 자이언트호 입니다
감성돔흘림 조황 입니다
다녀가신 사장님 고생하셨습니다
자리여유 있습니다
●평일에 이용하시면 주말보다 여유로운 낚시 즐길수 있습니다
주말은 미리 예약부탁 드립니다
■감성돔 흘림출조■
(준비물)
1~2호대ㆍ2500번릴ㆍ2~3호막대찌ㆍ구멍찌ㆍ마끼 3개1개(크릴3개ㆍ파우다1개)1세트 말아서 봉지에
담아 오세요 #밉밥 마실때 직원한테 무겁게 찐득하이 말아주라고 부탁 하세요 (묵직한게 집어가 잘됩니다^^)
미끼) 백크릴ㆍ민물새우ㆍ경단등
ㆍ
●(감성돔출조시간및선비)
ㆍ
●오전타임~출조시간 05시~~오후12시 까지 (선비 7만원)
ㆍ
미끼ㆍ마끼별도
감성돔 흘림 승선인원 선장포함 10명 입니다
ㆍ
#감성돔예약현황
ㆍ
■9/18 목요일 감성돔 (5자리여유)
ㆍ
■9/19 금요일 감성돔 (3자리여유)
ㆍ
■9/20 토요일 감성돔 (2자리여유)
ㆍ
■9/21 일요일 감성돔 (2자리여유)
ㆍ
ㆍ
※허위조황 절대금지 합니다
ᆞ
●초보님들 대환영
*자이언트는 봄도다리ㆍ고등어ㆍ여름백조기ㆍ가을돌문어
겨울 감성돔ㆍ흘림 계절 장르별로 고객님을 모십니다
한분 한분께 최선을 다하는 자이언트가 되겠습니다~꾸벅^^
ㆍ
●잡으신 고기 선착장앞(천성회센타)포장 가능합니다
●네비주소ㆍ부산 가덕도 (천성항)
●더많은 조황은 밴드에서 확인 하세요
#밴드창. 부산자이언트호(검색후)들어오세요^^
#선장전화~010~8828~9876
#입금확인후 예약 진행 됩니다
#입금확인 안될시 예약취소 될수있 습니다
말없이 빵구 내시는 분이 계셔서 양해 부탁드립니다
(입금후 문자 부탁드립니다)
ㆍ
#입금은행 (수협 0010 ,8828 ,9876 정영훈
|
|
|
|

