네임
카드
카드
신동화레져
(529-57) 경남 고성군 하일면 동화1길 85, 85 신동화레져 (동화리)
01085299693
(529-57) 경남 고성군 하일면 동화1길 85, 85 신동화레져 (동화리)



<<고성 신동화레져 이용안내>>
☎예약문의
010-8529-9693
(낚시관련 어떤 문의든 친절하게 안내도와드리겠습니다)
★★예약입금★★
0010 8529 9693 수협 이창희
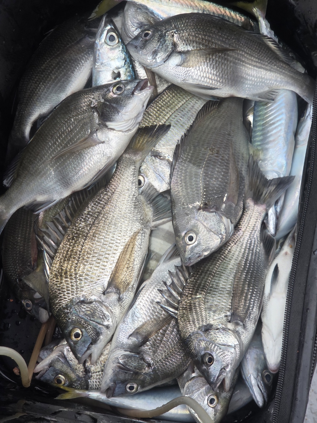
◆주력어종◆
갑이 문어 감성돔 도다리
■감성돔 선비■
1인 7만
2인 9만
3인 11만
4인 13만
■ 루어낚시 선비■
1인 9만
2인 11만
3인 13만
4인 15만
■출항시간■
일몰 전후 30분
(문의주세요)
※찾아오시는길※
주소 경남고성군 하일면 동화1길 85번지 주차장 배타는입구
◆주의사항◆
- 신분증 지참은 필수!!
- 선내 주류 반입 및 음주는 X
- 구명조끼 착용은 선택이 아닌 필수!!
● 민박 낚시점 ●
- 밑밥 미끼 현지 지방홈무시
항상 즐겁고 안전한 낚시를 위해 노력하는 고성 신동화레져 되겠습니다
◆신동화레져◆
배는 10대 운영하고 있습니다.
초보조사님들 위해 감성돔 낚시는 쉽게 할수있도록 집중 양성 합니다
배운전도 안해본 손님은 제가직접 운전할수 있도록 양성시킵니다
면허증은 없어도 가능합니다!
보험 가입과 해경등록증은 사무실에 배치되어 있습니다
구명조끼도 배치되어있습니다!
반드시 구명조끼, 음주, 영업구역 지켜야 됩니다
문제가 생기면 조사님께 벌금이 많이 나오니 꼭 지키셔야합니다
|
|
|
|

