(참돔)5짜 외 중치급들 해금강권 대상어 파티~신성호(14일 예약)

신상품 소개


회원 랭킹


공지사항


NaverBand
점주/선장 > 선상 + 좌대 조황

(참돔)5짜 외 중치급들 해금강권 대상어 파티~신성호(14일 예약)

신성피싱 0 73
● 출항지 : 거제 ● 출조지 : 거제
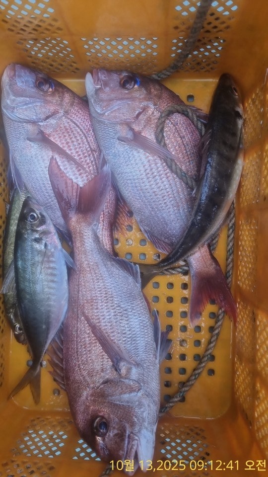
13일(월) 거제도 해금강권 참돔 슈퍼 전갱이낚시 "신성호" (철수)조황입니다.
※ 참돔 68Cm이상 포획시, 아지카(AJIKA)고급라인 증정합니다 1명 시상

☆14일(화요일) 내일, 새벽 "참돔 大전갱이 낚시 (02명)"예약가능"
(해금강권)5짜 참돔 외 중치급들 와라락~당겨갑니다!!
  • 사용자가 올린 이미지

거제 해금강권 참돔 흘림낚시 신성호입니다.
해금강권 좋은 조류의 흐름 속 굵은 참돔들의 반응이 이어집니다~
원줄을 와라락 당겨가는 특유의 화끈한 입질이 조사님들을 긴장시켰고
막강한 파워에 터지고 빠지기도 하지만 5짜 외 중치급들과 씨알 좋은
전갱이들로 마릿수 손맛 즐기고 마무리 합니다~ 내일도 해금강권
핫 포인트로 진입하니 함께하실 분들 연락주십시오~

14일(화요일)부터 매일 2시 출항 08시 철수와 야간 참돔 전갱이 흘림낚시
출조 합니다~
오늘도 거제 신성호와 함께해주신 조사님들 수고 많으셨습니다.

거제 신성호 출조 일정 안내 ▣
※ 몸만 오면 되는 "생활낚시"는 상시 출조 가능하고, 예약 운영중.
☆14일(화) 해금강권 "참돔 大전갱이 부시리 흘림낚시" "예약가능"
☆15일(수) 해금강권 "참돔 大전갱이 부시리 흘림낚시" "예약가능"
☆16일(목) 해금강권 "참돔 大전갱이 부시리 흘림낚시" "예약가능"
☆17일(금) 해금강권 "참돔 大전갱이 부시리 흘림낚시" "예약가능"
​​​​​​​☆18일(토) 해금강권 "참돔 大전갱이 부시리 흘림낚시" "예약가능"
※ 주말은 핫포인트 선정 위해 미리미리 예약을 해 두시면 편리합니다.

거제 신성호 ☎010-2826-7133
(출항지 동계) 거제시 남부면 다포리 232-7
(출항지 하계) 거제시 동부면 오송7길
▶ 신성호 밴드 : https://band.us/@sinsungho
  • 사용자가 올린 이미지
  • 사용자가 올린 이미지
  • 사용자가 올린 이미지
  • 사용자가 올린 이미지
1) 참돔낚시 : 종일낚시만 운영
(내만권) 새벽 ~ 14시 전후(유동적) / 10만원
(원도권) 새벽 ~ 14시 전후(유동적) / 13만원
(종일 출조에는 밑밥, 미끼, 도시락, 커피, 생수 포함

2) 감성돔 낚시
- 오전낚시: 새벽 ~ 11시 전후/7만원
- 오후낚시 : 오후1시 ~ 해질때까지 / 7만원 (독배시 시간 조정 가능)
- 종일낚시 : 05:00 ~ 14:00(유동적) / 10만원
(종일 출조에는 밑밥, 미끼, 도시락, 커피, 생수 포함)

2) 참돔낚시 : 종일낚시만 운영
(내만권) 새벽 ~ 14시 전후(유동적) / 10만원
(원도권) 새벽 ~ 14시 전후(유동적) / 13만원
(종일 출조에는 밑밥, 미끼, 도시락, 커피, 생수 포함

3) 돌문어 낚시
(출조시간) 새벽 ~ 14시 전후(유동적) / 8만원
- 독배 예약시 시간 조정 가능.

4) 볼락(루어) 낚시
(출조시간) 오후 18시 ~ 24시까지유동적) / 8만원
- 독배 예약시 시간 조정 가능.

5) 생활낚시 및 낚시체험
(오전 출조 시간) 오전 / 6시 ~ 11시 전후 / 7만원
(오후 출조 시간) 오후1시 ~ 해질때까지 / 7만원
(종일 낚시) 오전6시 ~ 14시 전후/10만원 (독배시 시간 조절 가능)
- 독배 예약시 시간 조정 가능.

거제 신성호 ☎010-2826-7133
(출항지 동계) 거제시 남부면 다포리 232-7
(출항지 하계) 거제시 동부면 오송7길
▶ 신성호 밴드 : https://band.us/@sinsungho
▶ 계좌번호: 수협 2060-0018-3820 구귀옥
▶ 신성호 밴드 : https://band.us/@sinsungho
  • 사용자가 올린 이미지

, , , , , , , , , , , , , , , , , , , , , , , , , , , , , , , , , , , ,

  • 페이스북으로 보내기
  • 트위터로 보내기
  • 구글플러스로 보내기
  • 카카오스토리로 보내기
  • 네이버밴드로 보내기
  • 네이버로 보내기
  • 텀블러로 보내기
  • 핀터레스트로 보내기
0 댓글
포토 제목
 
 

인낚 최신글


인낚 최신댓글


온라인 문의 안내


월~금 : 9:00 ~ 18:00
토/일/공휴일 휴무
점심시간 : 12:00 ~ 13:00