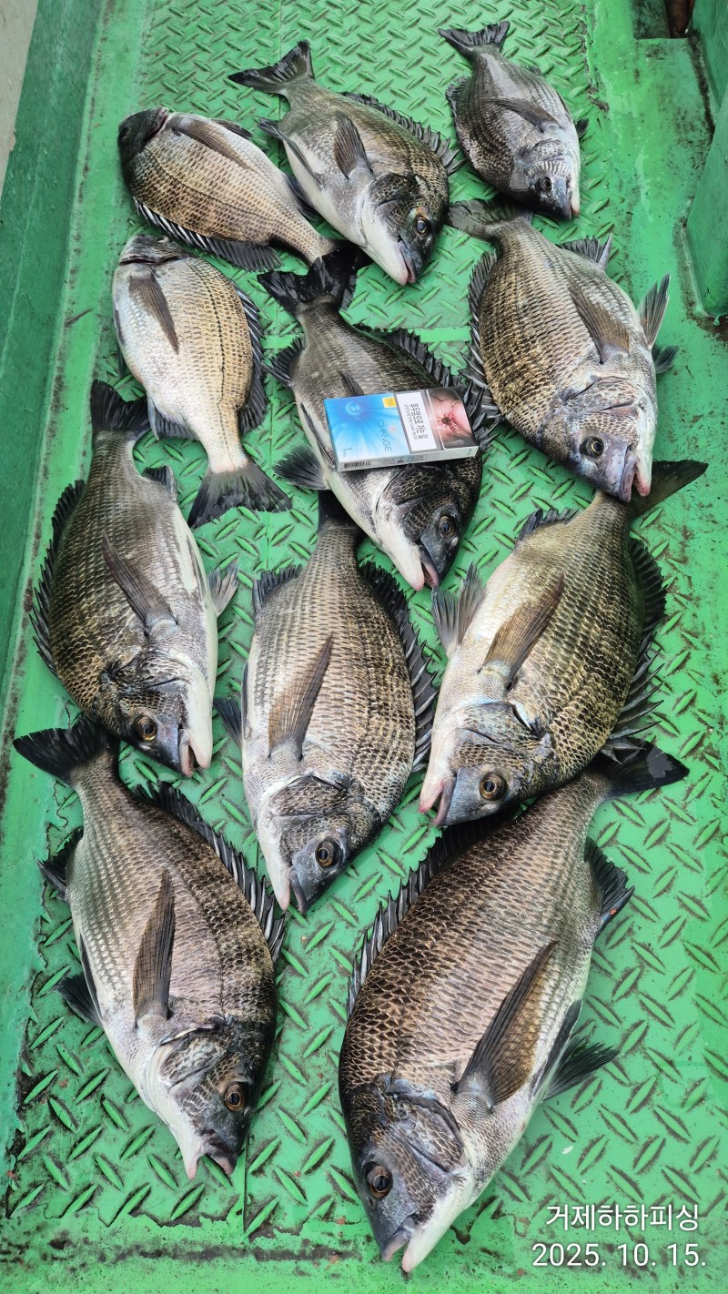
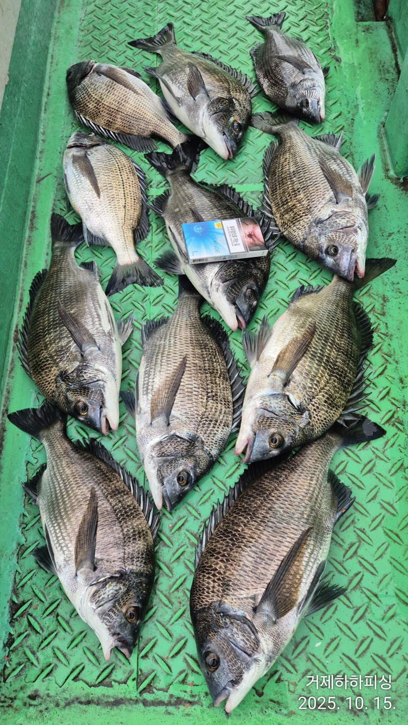
흘림 감성돔 조황...낼 오전예약가능합니다.

신상품 소개


회원 랭킹


공지사항


NaverBand
점주/선장 > 선상 + 좌대 조황

흘림 감성돔 조황...낼 오전예약가능합니다.

거제하하피싱 0 208
● 출항지 : 거제


3분 조황입니다.


낼은  오전출조합니다.8만


거제시 사등면 성포로3길50 


010 6525 0540

  • 페이스북으로 보내기
  • 트위터로 보내기
  • 구글플러스로 보내기
  • 카카오스토리로 보내기
  • 네이버밴드로 보내기
  • 네이버로 보내기
  • 텀블러로 보내기
  • 핀터레스트로 보내기
0 댓글
포토 제목
 
 

인낚 최신글


인낚 최신댓글


온라인 문의 안내


월~금 : 9:00 ~ 18:00
토/일/공휴일 휴무
점심시간 : 12:00 ~ 13:00