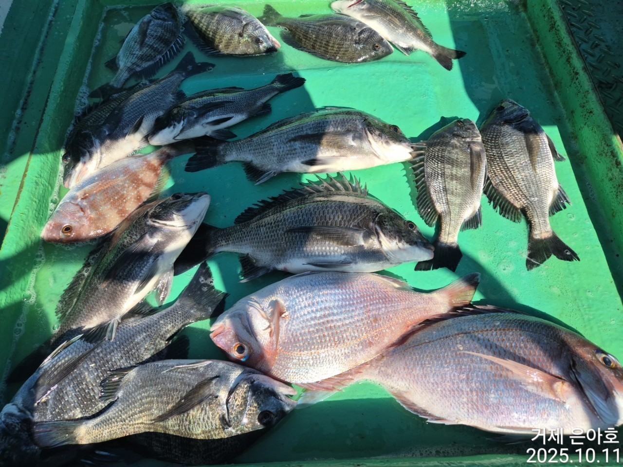
《감성돔 》4짜3짜들외 어초ㆍ여밭ㆍ어장 마릿수 조황

신상품 소개


회원 랭킹


공지사항


NaverBand
점주/선장 > 선상 + 좌대 조황

《감성돔 》4짜3짜들외 어초ㆍ여밭ㆍ어장 마릿수 조황

거제은아호 1 211
● 출항지 : 거제
밴드 바로가기 유튜브/SNS
40dd52ab2a2fddb3bd8e65bf09312df4_1760665993_928.jpg



40dd52ab2a2fddb3bd8e65bf09312df4_1760665994_0997.jpg



40dd52ab2a2fddb3bd8e65bf09312df4_1760665994_3255.jpg
 
#점주조황 #선상낚시 #흘림찌낚시 #감성돔 #참돔흘림 #돌문어 #생활낚시(뽈락,전갱이,고등어등등)
《감성돔》4짜3짜들외 어초 ㆍ여밭ㆍ어장 마릿수 조황
                  ☎️토ㆍ일요일 예약 가능합니다.

《감성돔》 찌 줄 줄 줄~흘리려 주말 출동합니다 
근래는 다양한 어종들이 올라왔습니다. 며칠  강한 비와 바람속에  휴무하였습니다. 내일부터 감성돔 당찬 손맛보러 어초 여밭 어장으로 병행출조합니다.굵직한 놈들이 있는 그곳으로 달려보겠습니다. 
채비는 항상 튼튼하게 해오세요.
손맛 몸맛 느낄분 도전해보세요 
한분의 조사님이라도 최선을 다해 모시겠습니다 .
지난조황 첨부합니다 

거제 은아호 입니다.
선장님들의 풍부한 경험으로 초보자분도 부담없이 연락주시면 친절하게 가르처 드립니다.

★감성돔낚시★
종일낚시: 새벽부터 - 2~3시까지 / 11만원
오전낚시: 새벽부터 - 11시까지 / 8만원
오후낚시: 1시부터 - 해질때까지 / 8만원
※독배는 시간 조정 가능합니다.※

★참돔낚시★
종일낚시 : 새벽부터 - 2시 전ㆍ후까지
오후낚시 : 1시부터 - 해질때까지 (3명부터 출조합니다.)
14만원=밑밥.미끼.도시락.커피.음료수.생수다포함.
장비ᆞ쿨러만 가져오시면 됩니다.
(몇대는 대여가능합니다.미리 말씀해주세요.)

★돌문어★
아침부터 - 2시 전ㆍ후/ 9만원
독배는 시간 조정 가능합니다.
※낚시대 무상대여 해드립니다.※
※채비 만원에 무한제공 해드립니다.몸만 오셔도 됩니다.※

★생활낚시(뽈락+전갱이)★
오전낚시 6시 ~ 11시까지/ 8만원
오후낚시 1시 ~ 6시까지/ 8만원
종일낚시 6시~2~3시까지/ 11만원
독배는 시간 조정 가능합니다.
※3명부터 출항합니다※

★환불규정★
당일~1일전 ~ 환불불가.
2일전           ~ 50%환불.
※단 예약이 들어오면 환불해 드립니다.※

★은아호선단★
거제 은아1호 ㅡ 다이아몬드호
거제 은아3호 ㅡ 레전드호
거제 은아5호 ㅡ 대진호
※협력선단 ㅡ  최강피싱※

★찾아오시는길★
주소 : 거제시 거제면 법동리 536-24(법동낚시공원)
★★★신분증 꼭 지참해주세요★★★

☎예약문의☎
예약전화 : 010-6292-7634
문의전화 : 010-9084-7634

☆은아펜션 운영합니다.☆
거제시 거제면 거제남서로 4234

♡낚시하시고 씻고 가실수 있습니다♡
♡고기 손질하고 가실수 있습니다♡
♡낚시 출조 손님은 펜션 이용시 50% 할인 합니다♡ #조황

  • 페이스북으로 보내기
  • 트위터로 보내기
  • 구글플러스로 보내기
  • 카카오스토리로 보내기
  • 네이버밴드로 보내기
  • 네이버로 보내기
  • 텀블러로 보내기
  • 핀터레스트로 보내기
1 댓글
포토 제목
 
 

인낚 최신글


인낚 최신댓글


온라인 문의 안내


월~금 : 9:00 ~ 18:00
토/일/공휴일 휴무
점심시간 : 12:00 ~ 13:00