낚시뚜에서 인낚으로 보내는 자동조황
| |||||||||||||||||||
남해 일랑이다 호 낚시를 사랑하시는 전국각지의 모든분들께 항상 안전하고 언제나 쿨러가득 희망을 선사드립니다 ! ※※오시는 길ㆍ남해군 창선면 동부대로 2860번길 12-10 ※※안전을 위하여 구명복은 착용은 의무이며 ,선상 음주역시 불법입니다 ※※김환도ㆍ수협 2020-4326-1514 ※※ 선장~010-3889-8755 | |||||||||||||||||||
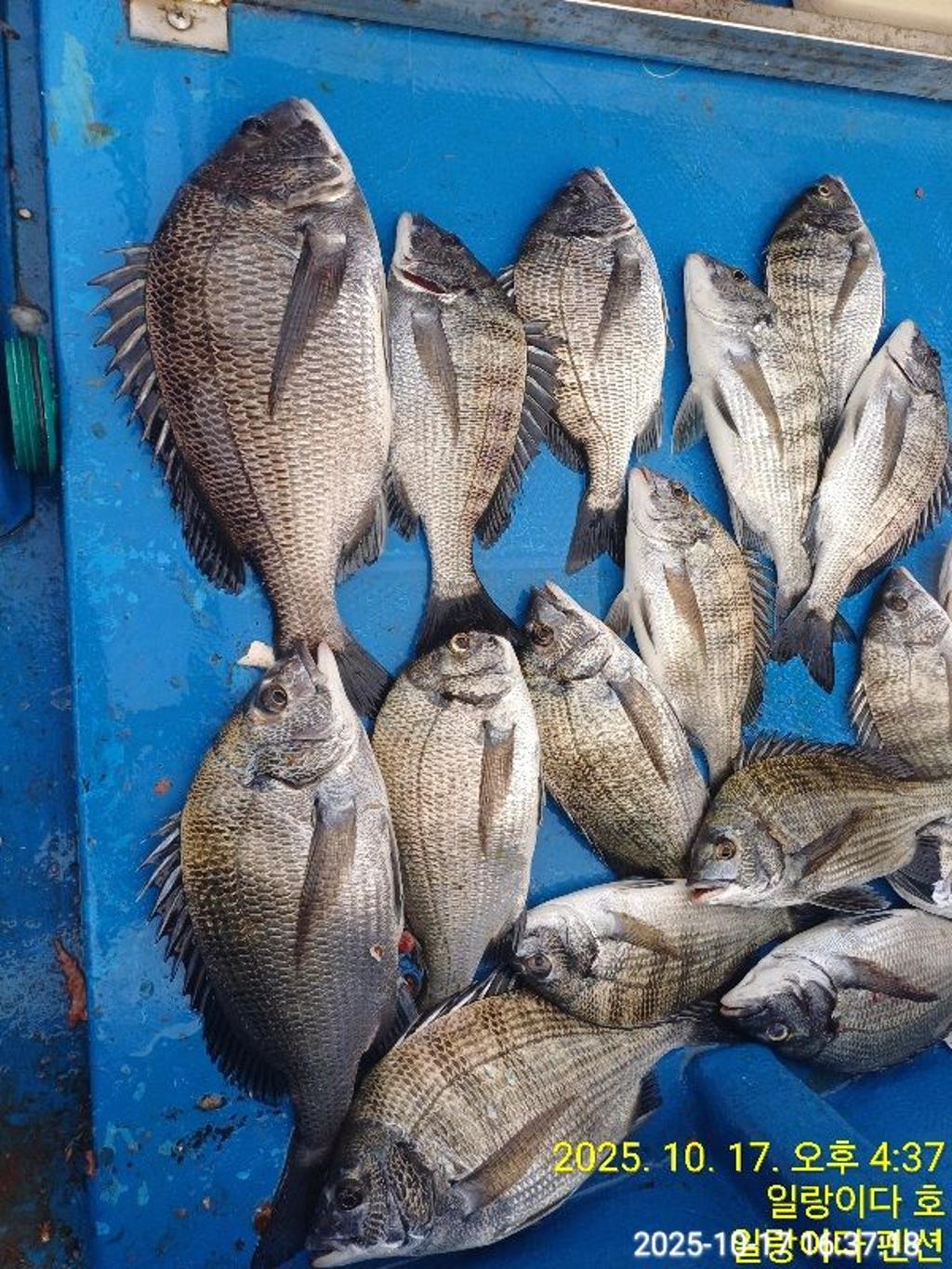
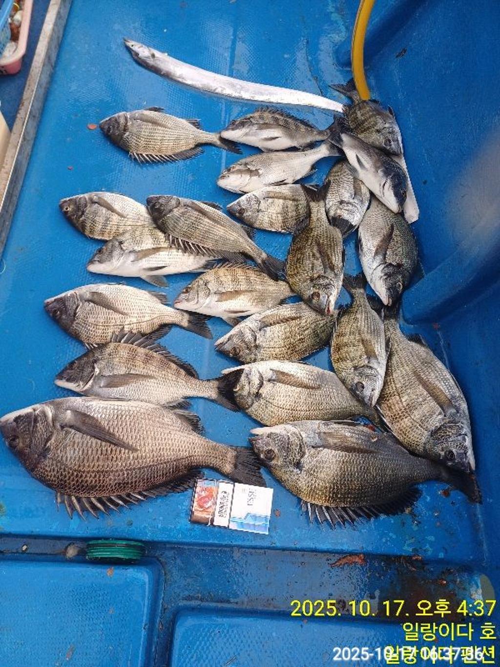
금일 감성돔 40~35~28 급으로 마릿수 하였습니다 감성돔 매일 출조하오니 계획있으신 분들은 문의주세요 ㅡㅡㅡㅡㅡㅡ ♧♧♧ 안녕하세요. 일랑이다 호 & 일랑이다 펜션입니다 ※※※※ 체험낚시※※※※※ 시간대별로 생활낚시 섬관광 일주 ( 선장과 상의후 진행) ♡오시는길 ~남해군 창선면 동부대로2860 번길 12-10 ~~삼천포 대교에서 3분거리입니다 냉천항~ ♡일랑이다호 선장 010-3889.8755 ♡ 일랑이다 (1동ㆍ2동ㆍ 3동) 독채형 펜션 ㆍ문의 010-9559-8755 ♡일랑이다호ㆍ3.13톤 ♡300마력 선외기 ♡어종~ 돌문어 &뽈락&감성돔 ㆍ각종 생활낚시 ♡출조시간ㆍ아침5시30분 ♡야간문어ㆍ오후5시~12시 ♡승선인원 ~선장포함 9명 ♡무상공급~ 낚시대ㆍ밸트형 구명복ㆍ생수 ㆍ각종 음료수 ㆍ커피 ♡승객안심보험 가입 ♡김환도 ㆍ수협 2020-4326-1514 | |||||||||||||||||||
![]() ![]() ![]() ![]() | |||||||||||||||||||
♧♧♧ 안녕하세요. 일랑이다 호 & 일랑이다 펜션입니다 ※※※※ 체험낚시※※※※※ 시간대별로 생활낚시 섬관광 일주 ( 선장과 상의후 진행) ♡오시는길 ~남해군 창선면 동부대로2860 번길 12-10 ~~삼천포 대교에서 3분거리입니다 냉천항~ ♡일랑이다호 선장 010-3889.8755 ♡ 일랑이다 (1동ㆍ2동ㆍ 3동) 독채형 펜션 ㆍ문의 010-9559-8755 ♡일랑이다호ㆍ3.13톤 ♡300마력 선외기 ♡어종~ 돌문어 &뽈락&감성돔 ㆍ각종 생활낚시 ♡출조시간ㆍ아침5시30분 ♡야간문어ㆍ오후5시~12시 ♡승선인원 ~선장포함 9명 ♡무상공급~ 낚시대ㆍ밸트형 구명복ㆍ생수 ㆍ각종 음료수 ㆍ커피 ♡승객안심보험 가입 ♡김환도 ㆍ수협 2020-4326-1514 | |||||||||||||||||||
주소: 남해군 창선면 동부대로 2860번길 12-10 예약문의: 010-3889-8755 입금계좌: 수협 2020-4326-1514 김환도 | |||||||||||||||||||
| |||||||||||||||||||
![]() |
|
|
|
|









