네임
카드
카드
광암호
경남 창원시 마산회원구
합성북1길 62-1
010-3876-4858
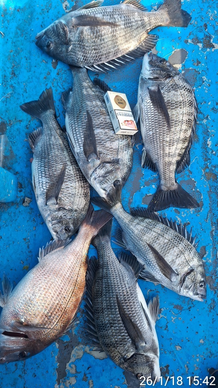
진동[광암호]오늘 감성돔 조황입니다
경남 창원시 마산회원구
합성북1길 62-1




밴드바로가기: https://band.us/gwangam
광암호 010-3876-4858
오늘 한분과 다녀왔습니다. 38.38 포함
4수 마감 하였습니다. 수고하셨습니다.
함께하실분 연락주세요
☆10월 예약현황 ☆
10월22일 - 수요일 - 예약가능
10월23일 - 목요일 - 1분예약/5자리가능
10월24일 - 금요일 - 예약가능
10월25일 - 토요일 - 예약가능
10월26일 - 일요일 - 예약완료감사합니다.
광암호 010-3876-4858
|
|
|
|

