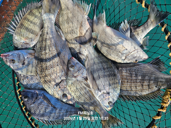
#거제어구항 수성호#감성돔 참돔 학꽁치 등 금일조황

신상품 소개


회원 랭킹


공지사항


NaverBand
점주/선장 > 선상 + 좌대 조황

#거제어구항 수성호#감성돔 참돔 학꽁치 등 금일조황

거제어구항수성호 0 104
● 출항지 : 거제 ● 출조지 : 거제
안녕하세요~ 

부선장입니다

13물에 전마선 19대 선외기4대 출조하였습니다 

손맛보신분들 조황중에서

감성돔 참돔 전갱이 학꽁치 등

다양한 어종 손맛보셨고

전체적인 상황이나 조황내용은

사진으로 참고해주세요

저희 수성호와 함께해주셔서

진심으로 감사드리고 수고많으셨습니다

내일은 예약이 끝났습니다
<<출조관련안내>> 

1.수성호 공식 블로그 
http://blog.naver.com/susungho123
(네이버 검색창에 "어구수성호"치시면
최신조황내용확인가능합니다) 

2.예약 
010 4578 9873 (부선장) - 전화+문자예약가능 
010 3872 4236 (선장) - 전화예약가능 

3.출조시간 
오전6시 ~ 오후4시까지
(일출 30분전-일몰에따라 변동)
도착시간에 따라 수시로 출항 철수 가능!

4.전마선 대여
1인/2인 - 5만원
3인 6만원 - (최대 정원 3人)  


5.선외기 대여
1인 - 7만원
2인 - 8만원
3인 - 10만원 (최대 정원 3人) 

☆선외기 루어낚시 경우 1만원 추가☆

6.갯바위/야영 방파제
부선장 휴대전화로 전화or문자 문의!       

7.기타 다른문의사항있으시면 부선장 전화로
문자 문의해주세요!

  • 페이스북으로 보내기
  • 트위터로 보내기
  • 구글플러스로 보내기
  • 카카오스토리로 보내기
  • 네이버밴드로 보내기
  • 네이버로 보내기
  • 텀블러로 보내기
  • 핀터레스트로 보내기
0 댓글
포토 제목
 
 

인낚 최신글


인낚 최신댓글


온라인 문의 안내


월~금 : 9:00 ~ 18:00
토/일/공휴일 휴무
점심시간 : 12:00 ~ 13:00