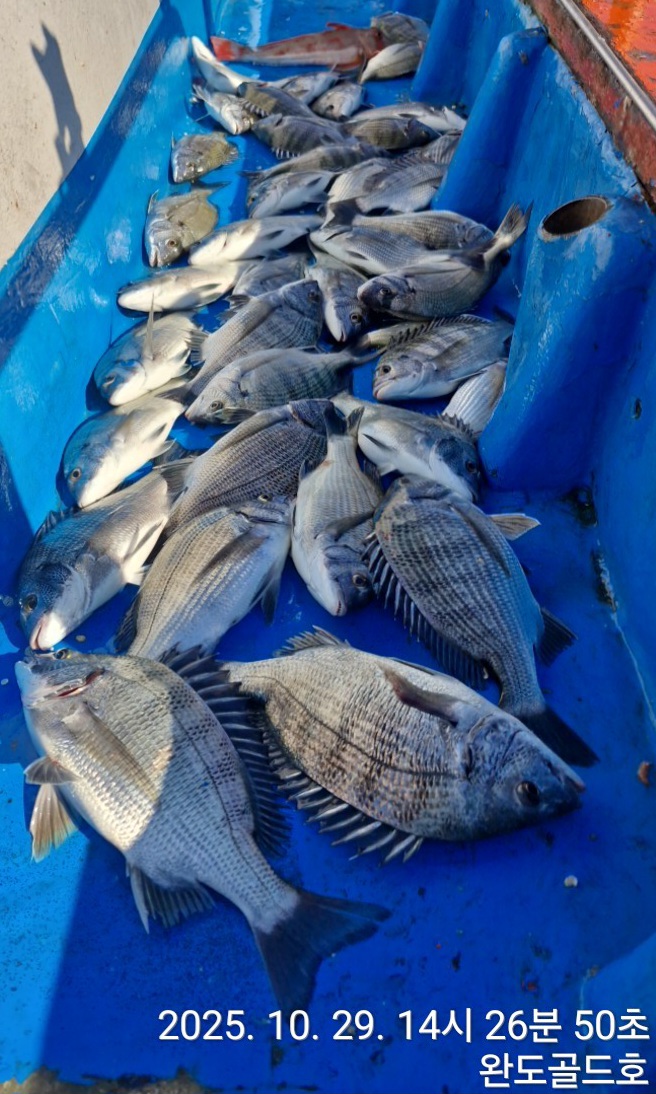
감성돔 찌낚시 연일 호조황 입니다

신상품 소개


회원 랭킹


공지사항


NaverBand
점주/선장 > 선상 + 좌대 조황

감성돔 찌낚시 연일 호조황 입니다

완도골드호 0 78
● 출항지 : 완도 ● 출조지 : 목포
ba0385a784ee6bc0f870466c3ec97a60_1761725689_6075.jpg



ba0385a784ee6bc0f870466c3ec97a60_1761725690_5747.jpg
큰넘 작은넘 섞여나오네요
아침은 쌀쌀하고
낮에는 조금덥고
낚시하기에는 최적
목 금 개인 독배 예약가능합니다
출조문의  010-3870-8167 골드호 

  • 페이스북으로 보내기
  • 트위터로 보내기
  • 구글플러스로 보내기
  • 카카오스토리로 보내기
  • 네이버밴드로 보내기
  • 네이버로 보내기
  • 텀블러로 보내기
  • 핀터레스트로 보내기
0 댓글
포토 제목
 
 

인낚 최신글


인낚 최신댓글


온라인 문의 안내


월~금 : 9:00 ~ 18:00
토/일/공휴일 휴무
점심시간 : 12:00 ~ 13:00