4후 사이즈 마리수 다~!! 좋습니다! 내일 출조 예약 가능합니다

신상품 소개


회원 랭킹


공지사항


NaverBand
점주/선장 > 선상 + 좌대 조황

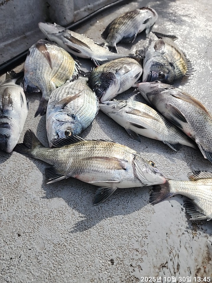
<감성돔선상> 4후 사이즈 마리수 다~!! 좋습니다! 내일 출조 예약 가능합니다

거제용진호 0 135
● 출항지 : 거제 ● 출조지 : 거제
0 http://용진호 밴드 :  https://band.us/@yongginho
밴드 바로가기

안녕하세요 거제 용진호입니다

-010.3587.8651-


오늘도 4후4짜등등 굵직한녀석들로 많이 올라와 손맛좋고 재미있습니다.

날씨가 풀리니 사이즈좋은 감성돔 들로 올라옵니다


내일 31일(금요일) 출조 예약 가능

☆ 010.3587.8651 ☆


eb3ebe8737cf9f3378d13df7ee587170_1761805425_3911.jpg



eb3ebe8737cf9f3378d13df7ee587170_1761805439_0087.jpg



eb3ebe8737cf9f3378d13df7ee587170_1761805439_5383.jpg



eb3ebe8737cf9f3378d13df7ee587170_1761805440_014.jpg



eb3ebe8737cf9f3378d13df7ee587170_1761805440_4953.jpg



 

□ 용진호 밴드 :  https://band.us/@yongginho

◇감성돔 선상낚시 출조 ◇



☆ 31일(금요일) 거제도 선상낚시"예약가능" 

☆   1일(토요일) 거제도 선상낚시"예약가능"

☆  2일(일요일) 거제도 선상낚시"예약가능" 

 - 독배 예약가능합니다.

 - 토,일 미리 예약 가능합니다.


▨ 용진호 ☎ 010.3587.8651

(선착장) 거제시 둔덕면 학산리 107-6 


- 예약계좌 (수협) 2020 4196 1837 예금주 :오화택 선장

▩ "감성돔 흘림낚시" 안내 ▩

(주말/종일 운영)

- 선비 11만원


- 오전낚시는 전화로 문의.


- 밑밥, 미끼 포함 (종일 주말은 점심식사제공, 음료, 생수 제공)

- 어초, 어장포인트 다양한 포인트 보유하고 있습니다. 


<용진호 이용시 유의 사항>

- 신분증은 필해 지참해야 하며, 배에서 음주행위는 법으로 금지.

- 구명조끼는필수 지참이며 없을 경우, 무료로 대여 해드립니다 


▨ 용진호 ☎ 010.3587.8651

(선착장) 거제시 둔덕면 학산리 107-6


- 예약계좌 (수협) 2020 4196 1837 예금주 :오화택 선장


#감성돔낚시,   #감성돔조황,   #거제감성돔, #거제선상낚시,  #감성돔흘림낚시,   #선상흘림,   #감성돔선상낚시,   #거제도내만조황 #거제용진호

  • 페이스북으로 보내기
  • 트위터로 보내기
  • 구글플러스로 보내기
  • 카카오스토리로 보내기
  • 네이버밴드로 보내기
  • 네이버로 보내기
  • 텀블러로 보내기
  • 핀터레스트로 보내기
0 댓글
포토 제목
 
 

인낚 최신글


인낚 최신댓글


온라인 문의 안내


월~금 : 9:00 ~ 18:00
토/일/공휴일 휴무
점심시간 : 12:00 ~ 13:00