(감성돔)어초여밭 5짜급 대물~4짜 3짜 마릿수 폭격~가고파호(3일 예약)

신상품 소개


회원 랭킹


공지사항


NaverBand
점주/선장 > 선상 + 좌대 조황

(감성돔)어초여밭 5짜급 대물~4짜 3짜 마릿수 폭격~가고파호(3일 예약)

거제가고파 0 242
● 출항지 : 거제 ● 출조지 : 통영
홈페이지 밴드 바로가기
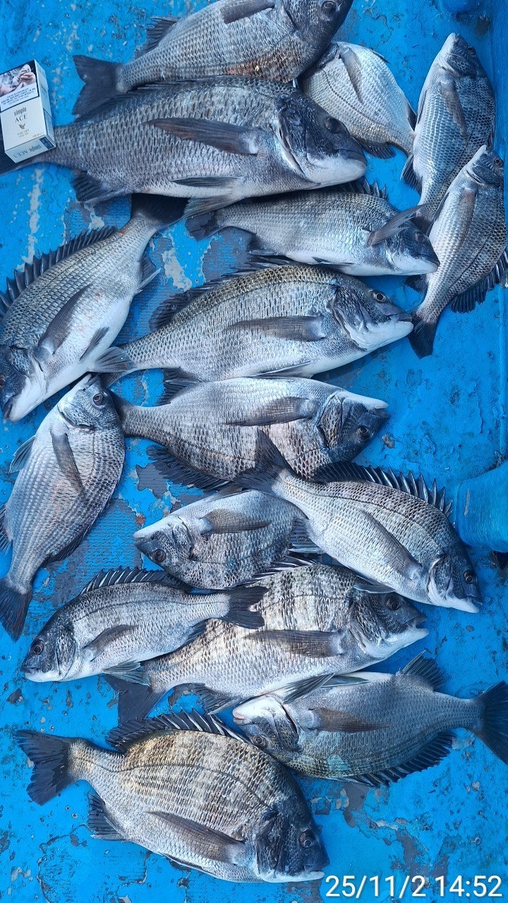
어초권 대물 감성돔 진입~!!
2일(일) 거제 학산마을 출발, 어초 감성돔낚시 "가고파호" (철수)조황입니다.
※ 주차하고 선착장까지 바로 연결되어 편리합니다.

☆ 11월 3일(월요일) 거제도 감성돔 종일 흘림낚시 "예약 가능
(감성돔)5짜급 외 4짜 3짜 소나기 HIT 대물 공략~!!
  • 사용자가 올린 이미지
거제도 학산마을 출발, 감성돔 전문 출조점 가고파호입니다.
어초여밭권 대물 감성돔들이 진입한 듯 5짜에 5Cm 모자라는
49Cm 대물을 시작으로 4짜 3짜 감성돔들의 입질이 따박 따박
이어지며 마릿수 손맛 즐길 수 있었습니다. 감성돔 특유의 꾹 꾹
쳐박는 손맛에 포인트에는 긴장감이 가득했고 평일 쭉 좋은 물때
구간인만큼 꾸준한 조황이 예상됩니다~ 손맛 즐기실 분들
연락주십시오.

11월 3일(월요일)부터 거제 출발 감성돔 흘림낚시 예약 가능합니다.
본격적인 마릿수 시즌 시작되는 것 같습니다.
오늘도 거제 가고파호와 함께해주신 조사님들 수고 많으셨습니다.

▣ 가고파호 가을 시즌 감성돔낚시 일정 안내 ▣
☆11월 3일(월요일) 거제 감성돔 종일 흘림낚시 "예약가능"
☆11월 4일(화요일) 거제 감성돔 종일 흘림낚시 "예약가능"
☆11월 5일(수요일) 거제 감성돔 종일 흘림낚시 "예약가능"
☆11월 6일(목요일) 거제 감성돔 종일 흘림낚시 "예약가능"
☆11월 7일(금요일) 거제 감성돔 종일 흘림낚시 "예약가능"
☆11월 8일(토요일) 거제 감성돔 종일 흘림낚시 "예약가능"
- 주중, 주말 예약 가능합니다.

▩ 가고파호(선상) ☎ 010 8553 7868
▩ 가고파호 밴드 http://band.us/@gagopaho
▩ 주소 :거제시 둔덕면 학산3길 81 (舊주소:둔덕면 학산리 109번지)
  • 사용자가 올린 이미지
  • 사용자가 올린 이미지
▩ 감성돔 선상 흘림 낚시 안내 ▩
(출조 시간) 05시 ~ 14시 철수 (유동적) 11만원
- 생수,커피,라면,초장등, 낚시장비만 가지고 오세요

▩돌문어 출조 시간 및 선비 안내 ▩
(평일 종일) 05:00~14:00 전후,
- 문어라면 제공,음료, 생수 제공합니다.
- 가족팀/회사팀/동호회팀은 독배 상시 예약가능.
※ 낚시장비(무료) 대여 가능, 구명복 필요하신 분은 예약 시 전달 요청.

▩ 가고파호(선상) ☎ 010 8553 7868
▩ 가고파호 밴드 http://band.us/@gagopaho
▩ 주소 :거제시 둔덕면 학산3길 81 (舊주소:둔덕면 학산리 109번지)
  • 사용자가 올린 이미지

, , , , , , , , , , , , , , , , ,

  • 페이스북으로 보내기
  • 트위터로 보내기
  • 구글플러스로 보내기
  • 카카오스토리로 보내기
  • 네이버밴드로 보내기
  • 네이버로 보내기
  • 텀블러로 보내기
  • 핀터레스트로 보내기
0 댓글
포토 제목
 
 

인낚 최신글


인낚 최신댓글


온라인 문의 안내


월~금 : 9:00 ~ 18:00
토/일/공휴일 휴무
점심시간 : 12:00 ~ 13:00