내만권 감성돔,뺀치,학꽁치 쿨러 조황....(덴마)
● 출항지 :
통영
● 출조지 :
통영
● 출조인원 : 1~2명
네임
카드
통영나룻터낚시
통영시 용남면 견유 1길 195
010-9310-7354

안녕하십니까? 신거제대교 밑에 위치한 통영 나룻터 낚시니다
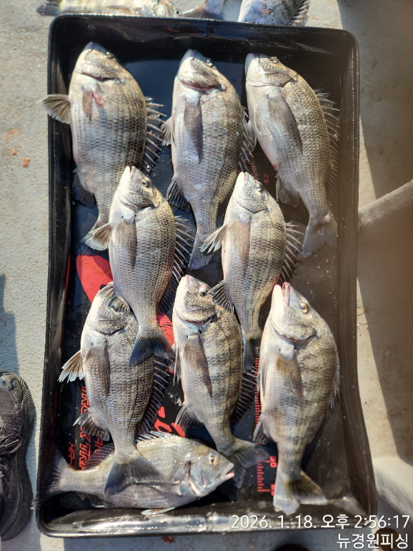
내만권 감성돔 덴마 조황입니다
감성돔 외 뺀치 학꽁치 마릿수 조황입니다
내만권 어초 및 굴어장에 감성돔 외 뺀치,학꽁치,전어 다양한 어종이 올라옵니다
금일 찾아주신 조사님 수고 하셨습니다
감성돔 오전 물때 집중됩니다...참고하세요
*****예약 가능합니다*****
대교 내만권 감성돔 낚시가 대부분 굴 어장안에서 낚시를 하고 있으며
수심 10-17미터 전후며 찌낚시 경우 고부력찌로 수심은
바닥층 수시로 체크하는게 감성돔 손맛을...물흐름이 빨라지면서
어초 포인트 흘림&카고 채비에도 감성돔 입질이...찾아주신 조사님 수고 하셨습니다
대교 내만권 바람, 파도 영향을 받지 않아 항시 출조 가능합니다 (수시로 출조)
****덴마 출조****
대교 내만권 덴마 출조 및 갯바위 출조 합니다
주 출조지(시무섬,고개섬,지도,형제섬,깨섬,안정 부근및 수도 싸리섬,범섬,죽림만(원문만),어의도 부근
갯바위 선비(30000원),야영 출조도 합니다
덴마 철수시간(10시,12시,14시,15시,마지막 철수 16시) 원하는 시간에 맞춰 30분 전에 전화요망
덴마는 어초및 굴 어장에 묶여 있으니 편안히 덴마 낚시를 즐길수 있습니다
덴마는 목선이 아닌 FRP 덴마니다
덴마 선비 1인(60000원),2인(70000원),3인(90000원)
밑밥 별도(패키지 출조)
밑밥 구성 3만 5천원(마끼5개,집어제2개,압맥4개,백크릴1개)밑밥통에 담아 드립니다
****1인 패키지(95.000원) 2인 패키지(105,000원) 3인 패키지 (125,000원)****
****선상 출조****
감성돔 찌낚시 선비(110000원)밑밥,백크릴,도시락 포함
감성돔 카고 선비(120000원)밑밥,백크릴,도시락 포함
개인및 독배 출조 (흘림및 카고 출조)
출조 문의및 예약 010-9310-7354
계좌 번호:농협(356-1046-0069-33) 예금주:유영준
구주소:통영시 용남면 장평리 64번지
도로명 주소:통영시 용남면 견유 1길 195