카드
거제시 거제면 산달길 703 (산전경로당앞)
거제시 거제면 산달길 703 (산전경로당앞)

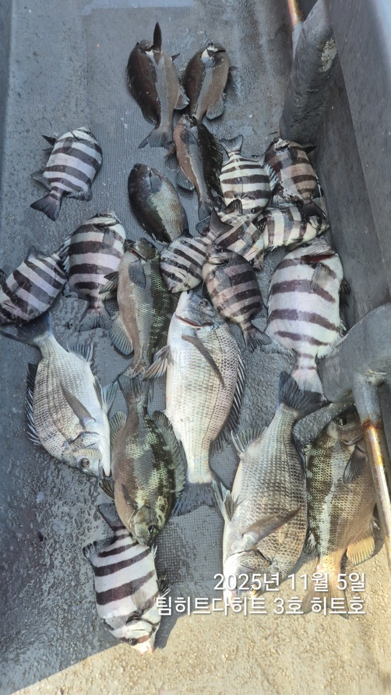
화창하고 조용한 수요일 조용하게 다녀왔습니다.
퍽퍽 없이 후다닥 오고 끝나버리네요 ㅎ
새벽엔 춥고 낮에는 덥습니다.
기온차에 고기들도 오락가락 하는가 봅니다 .
들어오는 그날까지 열심히 찾아보겠습니다.
다녀가신분 수고하셨습니다.
예약가능합니다 .
팀히트다히트
예약문의: 010-4768-2554
●●●밴드가입하기●●●
https://band.us/@sandalhit
♧ 히트다히트는 10인실을 겸비한 게스트하우스를 직영 운영합니다.(선사 이용시 30% 할인적용)
♧ 2~3인실부터 15인 특실을 겸비한 펜션 예약가능(협력점)
ㆍ선사에서 2분거리
ㆍ선사 이용시 10%할인적용
♧ 게스트하우스/펜션 이용시 포장마차 이용가능(예약제)
ㆍ선사에 문의하시면 친절상담 해드립니다~
■■팀히트다히트 출조 안내■■
♤♤오시는곳 ♤♤
경남 거제시 거제면 산달길 703번지
(산전경로당 맞은편)
●히트다히트 1선단,2선단,3선단은 인공어초/자연초 흘림낚시 전문선사입니다●
● ☆ 1호선 4.99톤(더히트호) - 승선정원 12명
☆ 2호선 4.45톤(이연호) - 승선정원 11명
☆ 3호선 3.40톤(히트호)- 승선정원 9명
☆ 루어전용선 4.99톤(간달프호)-승선정원 12명
●주력어종●
○ 감성돔 10월 ~4월 말까지
○ 참돔/부시리 5월 ~ 11월 말까지
●선비안내●
○ 감성돔- 05시 ~ 14시전ㆍ후 11만
(독배는 출항/철수 조율가능)
○ 참돔/부시리- 05시 ~ 14시 전후 14만
(독배는 출항/철수 조율가능)
● 채비안내●
○감성돔 - 1호대/3000번 릴/기본 막대찌,구멍찌 (유선문의)
○ 참돔 - 1.5~3호대 /5000번릴(권유) / 원줄 5호 / 목줄 3~5호 (잠수찌,조수고무)
● 항상 승률높은 포인트에 1순위로 모시겠습니다.
●참돔흘림은 막대찌낚시는 하지않습니다.
(전층 무한흘림입니다)
● 집밥같은 점심을 제공해 드립니다 ●
[ ] ● 직영 독채펜션 최대10인실 운영합니다.
[ ] -독배 예약시 보다 저렴히 이용가능합니다.
● 제휴숙소(팬션-산달팬션 2인~단체가능)
- 히트다히트 이용시 할인 적용
- 출항지에서 5분거리
- 거제시 거제면 산달길
《출조시 주의사항》
● 출조시 신분증/구명조끼는 필히 지참해주세요
● 주류반입 및 음주행위는 절대 금지하셔야 됩니다
● 입금계좌 - 0010 4768 2554 수협(양인석)●
●출항지●
거제시 거제면 산달길 703 (산전경로당앞)
#히트다히트#히트다히트선단#더히트호#히트호#이연호#김선장#거제도#배낚시#거제도배낚시#거제도선상낚시#바다낚시#선상낚시#감성돔낚시#참돔낚시#흘림참돔
|
|
|
|

