내일 7일 부터 생활낚시 이벤트 출조 합니다. 내일3자리 남음

신상품 소개


회원 랭킹


공지사항


NaverBand
점주/선장 > 선상 + 좌대 조황

내일 7일 부터 생활낚시 이벤트 출조 합니다. 내일3자리 남음

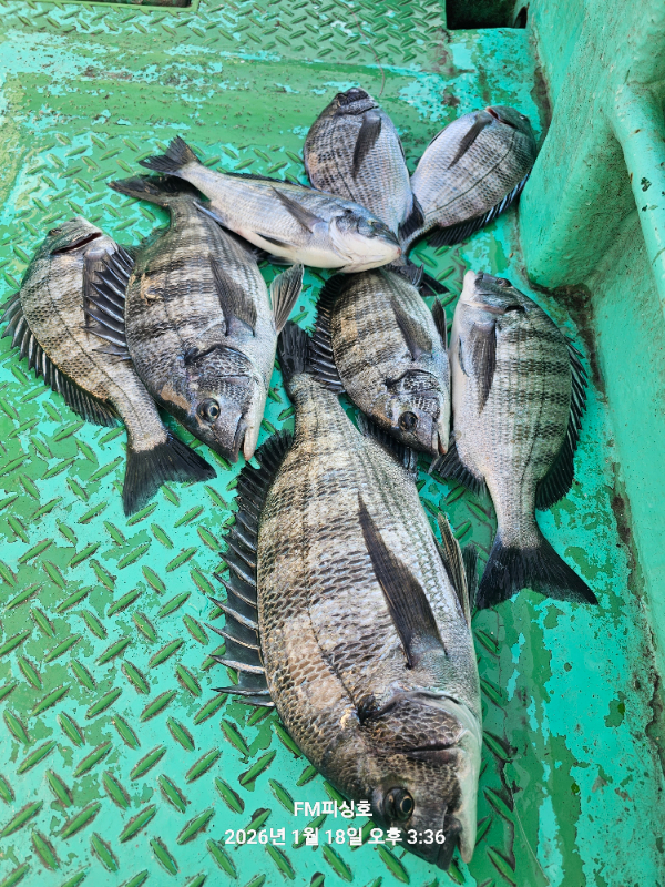
여수아라피싱호 0 110
● 출항지 : 여수,광양

Screenshot_20251104_093554_BAND.jpg



⚓️여수 아라피싱호 ​예약 안내 ⚓️ 


⭐️예약문의 : 010-3622-4551 , 010-5629-7913
⭐️입금계좌 : 2020.4606.9103 수협 최재성

⭐️오시는길 : 전남 여수시 신월1길 32 (네비게이션)

⭐️홈페이지 : https://​arafishing.sunsang24.com
⭐️밴드주소 :  

​✨예약사이트를 이용하시면 훨씬 빠르고 편합니다✨ 

입금시 입금자 성함 필히 문자 남겨주세요‼️

입금시 우선 예약확정‼️
 
⭐️선사 편의시설
음료, 라면(컵라면,한강라면), 생수, 커피(믹스,원두), 차,과자, 제빙기
⭐️선사 지급품
석식, 야식, 미끼, 7단기둥출, 얼음, 봉돌 
⭐️선사대여품
낚시대,쿨러 - 1만원 (아침에 스티로폴 1개 지급)
전동릴 - 2만원
- 분실 & 파손시 배상
- 예약시 미리 말씀해주세요
⭐️자리배정
- 추첨제로 진행합니다
-1번 #1번자리 배정, 2번 #2번자리 배정 순서대로
-우선배정
단체, 연박하시는 분들 우선배정합니다
‼️단체4인이상 손님은 선 배정‼️
늦게 오시면 남은 자리에 앉으실수 있습니다

⭐️ 갈치 필수준비
갈치전용대, 전동릴, 쿨러, 10단기둥줄, 갈치바늘, 집어등, 쪽가위, 칼, 면장갑,구명조끼,신분증

저희는 멀미약을 지급하지 않습니다
음주를 절대 금합니다

‼️올해도 넓게 16석으로 운영합니다‼️
 

모바일.jpg 

blank.png1


  • 페이스북으로 보내기
  • 트위터로 보내기
  • 구글플러스로 보내기
  • 카카오스토리로 보내기
  • 네이버밴드로 보내기
  • 네이버로 보내기
  • 텀블러로 보내기
  • 핀터레스트로 보내기
0 댓글
포토 제목
 
 

인낚 최신글


인낚 최신댓글


온라인 문의 안내


월~금 : 9:00 ~ 18:00
토/일/공휴일 휴무
점심시간 : 12:00 ~ 13:00