









안녕하세요 경동(신광)레저 입니다.
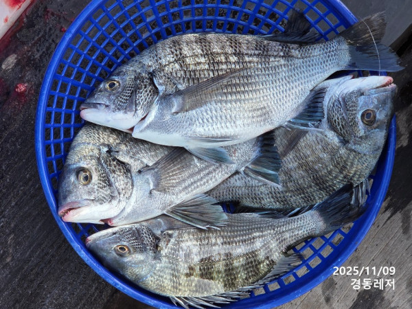
어제 출조하신 조사님의 감성돔 갑오징어 조과입니다. 감성돔은
흘림 찌낚시 그리고 카고에서 꾸준히 올라오고 있네요.
감사합니다.
경동레저(신광) 밴드
경동레져TV 유튜브 보고 찾아오신 모든 분들 감사드립니다.
경동레져 유튜브 경동(신광)레져TV 구독 & 좋아요
화이팅 댓글 감사드립니다.
신광레저는 경동레저로 위치를 이전하여 경동레저 이름으로 영업을 하오니
아래의 주소로 방문해 주시면 감사하겠습니다.
* 선외기 예약 문의 :010-3622-8723
* 주소: 경상남도 통영시 산양읍 풍화일주로 235
========== 경동레저 예약문의 ===========
문의전화 : 010-3622-8723
오시는길 : 경상남도 통영시 산양읍 풍화리 371-4
홈페이지 : http://singwang.sunsang24.com/
계좌안내 : 수협 / 2020-4800-5411/ 박정용
안녕하세요. (대표 선외기 예약번호 010-3622-8723)
풍화리 경동레저(구 신광레져)를 오픈하게된 박정용 입니다.
부산 가덕도에서 낚시점을 오랜기간 운영하다 사업장을 통영으로
이전하여 갯바위 출조가 아닌 선외기 출조를 시작하였습니다.
많은 성원 부탁드립니다.
-----------------------------------------------------------------
**** 선외기 예약번호 010-3622-8723) ****
네비 주소 : 경남 통영시 산양읍 풍화리 371-4
-----------------------------------------------------------------
안녕하십니까 경동레저입니다.
저희 선외기는 일출전 30분에 출발하셔서
오후 4~5시전에는 저희 경동레져에 꼭 도착해주셔야 합니다.
이번에 저희 경동레저에서 흘림및 카고 닻작업 많이 해놨습니다.
그만큼 포인트가 많이 늘어남에따라 더 많은 조황 기대해볼수 있을것 같습니다.
저희 신광레져는 계속적인 포인트 개발을위해 열심히 이곳저곳 탐색을 하고 있습니다.
조금이라도 저희 신광레져를 찾아주신 사장님들께서 기분좋게 돌아가실수 있도록
항상 최선을 다하겠습니다.
많이들 찾아주세요~
**** 대표전화 박정용(선외기 예약번호 010-3622-8723) ****
_______________________________________________________________________________
요즘 통영에는 밑밥이 너무 저렴하게 팔고 있습니다...
저렴한곳에서 구입해오십시요.....
파라솔(하절기 한정)100% 준비되어 있습니다..
__________________________________________________________________
한팀이라도 포인트 가이드 해드립니다...
초보자들도 포인터까지 직접 안내해드립니다...
-----------------------------------------------------------------
선외기 자격증 필요없습니다.
조정 아주 간단하여 초보자도 가능합니다..
-----------------------------------------------------------------
선외기 대여요금
2024년 10월 1일 부터 경동(신광)레저의 선외기 대여 요금은 변경 되었음을 알려드립니다.
(2인승 10만원, 3인승 13만원, 4인승 15만원, 루어시 2만원 추가,
면허소지자2만원 할인, 25년부터는 1만원할인)
루어(돌문어 갑오징어 무의오징어)출조시 2만원추가 입니다..
-----------------------------------------------------------
**** 대표전화 박정용(선외기 예약번호 010-3622-8723) ****