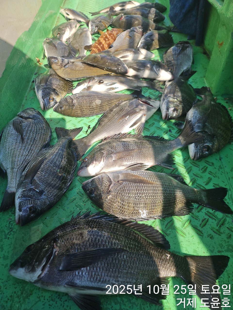
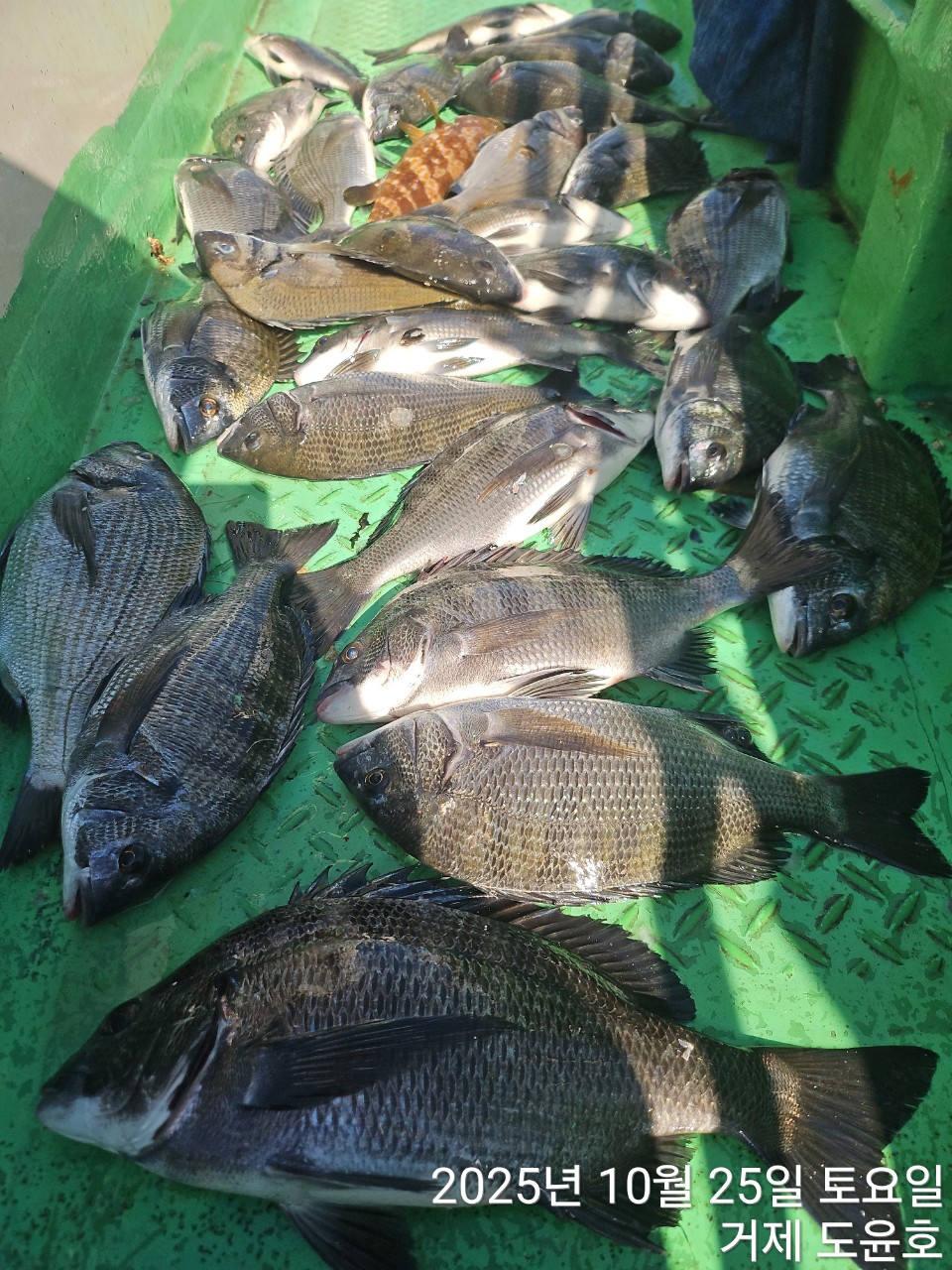
거제도윤호 25일(토) 종일 감성돔 흘림 조황입니다.

안녕하세요 도윤호 김선장입니다~
요즘 밴드 회원분들 위주로 모시고 나가다보니 사이트 조황이 많이 늦어지네요..
10월 25일(토) 6분 모시고 어초여밭 종일 감성돔 흘림 출조 다녀왔었습니다.
4마리 벗겨지고 터지고 감성돔 27마리(30~37cm) 얼굴봤습니다.
낚시 시작하고 철수 직전까지 계속 물어주어서 즐거운 하루였네요..
대물에 대비해서 목줄 단단히 준비해주시고 입질이 약다보니 예민한 채비해오시면 도움이 될 것 같습니다.
이제 제법 추워져서 방한대비 철저히 준비해 오시면 좋을 것 같네요.
예약 문의시 010-8781-8365 or 010-9810-4302로 연락 부탁드립니다.
밴드도 주소 첨부하오니 참고바랍니다.
예약해주시고 방문해주시는 모든 분들께 항상 감사드립니다~!
주소 : 거제시 하청면 어온리 359-6 어온 방파제(칠천도)
거가대교 통과후 거제 ic에서 15분 거리에 있습니다
예약문의 : 010-8781-8365
※선장 부재시 : 010-9810-4302
(간단한 안내와 예약 문의만 받을 수 있습니다.)
부담없이 문의주세요. 친절히 안내드리겠습니다.
밴드 주소 : https://band.us/band/86121770
예약 현황과 실시간 조황을 올릴 예정입니다.
많은 관심 부탁드립니다!
★종일 감성돔 흘림 출조안내
1인 현 출조지 선비 10만원
새벽 5시 전후 출항 유동적 ~ 14시 전후 철수 유동적
※밑밥, 백크릴 미끼,간단한 음료,커피,생수 집밥식사 제공
대체 미끼(혼무시,민물새우,경단 등)는 자체 제공 하지 않습니다.
*선 입금제이며,예약취소 위약금제도 있습니다.
단, 기상 악화 및 선체 및 기관 문제로 인한 휴항시 전액 환불드리고 미리 말씀주셔서 대체 인원 구할 시에 환불가능합니다.
3일전 - 100%
2일전 - 50%
1일전,당일 - 0%
|
|
|
|

