카드
경남 통영시 산양읍 풍화일주로240
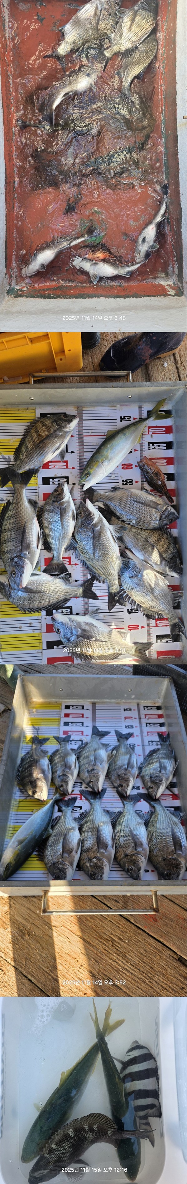
(풍화리)새풍화레저 2~3물에도 감성돔 마리수 조황
경남 통영시 산양읍 풍화일주로240
안녕하세요!
통영 풍화리 선외기 낚싯배 대여 전문점 ‘새풍화레저’입니다.
조황 사진, 낚시 정보, 낚시 팁 등은
아래 채널에서도 확인하실 수 있어요!
밴드: http://band.us/@huni3146
블로그: http://blog.naver.com/huni3146
11월 14일~15일 조황 사진 공유합니다!



출조하신 모든 조사님 수고 많으셨습니다!
*‘새풍화레저’는 어떤 곳인가요?
위치: 통영시 산양읍 풍화일주로 240
(네이버·카카오맵에서 ‘새풍화레저’ 검색!)
*이용 대상:
별도의 면허 없이 남녀노소 누구나 선외기 대여 가능!
초보자도 간단한 설명만 들으면 바로 운전 OK!
*출항 시간:
일출 30분 전 출항 ~ 당일 오후 4시 입항
*운영 방식:
낚시 포인트를 모르셔도 걱정 마세요!
지정 구역 내 포인트까지 안내해 드립니다.
낚시 경험자분들은 자유롭게 운전하며 포인트 이동 가능!
*잡을 수 있는 어종은?
계절별로 다양한 어종이 나옵니다!
감성돔 · 무늬오징어 · 참돔 · 백조기 · 문어
전갱이 · 떡전어 · 갑오징어 등
*누구와 함께하면 좋을까요?
가족, 친구, 연인, 지인들과 함께
바다 위에서 특별한 손맛, 입맛, 그리고 추억을 만들어보세요!
*예약 및 문의
전화: 010-5292-8326
문자 문의: 늦은 시간(밤 9시~새벽 4시)은 문자로 남겨주세요!
* 참고사항
*30마력 선외기 총 9대 중 7대는 핸들 장착형입니다
*배만 대여하는 방식이며, 낚시 장비는 별도로 준비해주세요
*인근에 저렴한 낚시점 다수 위치
*유튜브에서 ‘선외기 운전법’ 검색하면 초보자도 쉽게 배울 수 있어요
*구명조끼 무료 대여 (필요시 말씀해주세요)
*풍화리는 북풍·북동풍의 영향이 적은 안정적인 포인트!
늘 만복과 어복이 함께하시길 기원합니다.
감사합니다.
|
|
|
|

