(선외기)갑오징어 마릿수 외 특정 포인트 감성돔 조황~(17일 예약)

신상품 소개


회원 랭킹


공지사항


NaverBand
점주/선장 > 선상 + 좌대 조황

(선외기)갑오징어 마릿수 외 특정 포인트 감성돔 조황~(17일 예약)

거제대어낚시선외기 0 164
● 출항지 : 거제 ● 출조지 : 거제
16일(일요일) 제 대어선외기 대여, 감성돔 돌문어 갑오징어낚시 조황입니다.
※ 선외기는 면허가 없어도 운전이 가능합니다. 3분교육후, 직접 몰고 가세요.

☆17일(월) 선외기 대여, 감성돔 갑오징어 문어낚시 "예약가능"
▶선상낚시/선외기/단독펜션 운영(가족,초보, 생활낚시는 "거제대어선외기")
(선외기) 갑오징어 마릿수 먹물 파티~
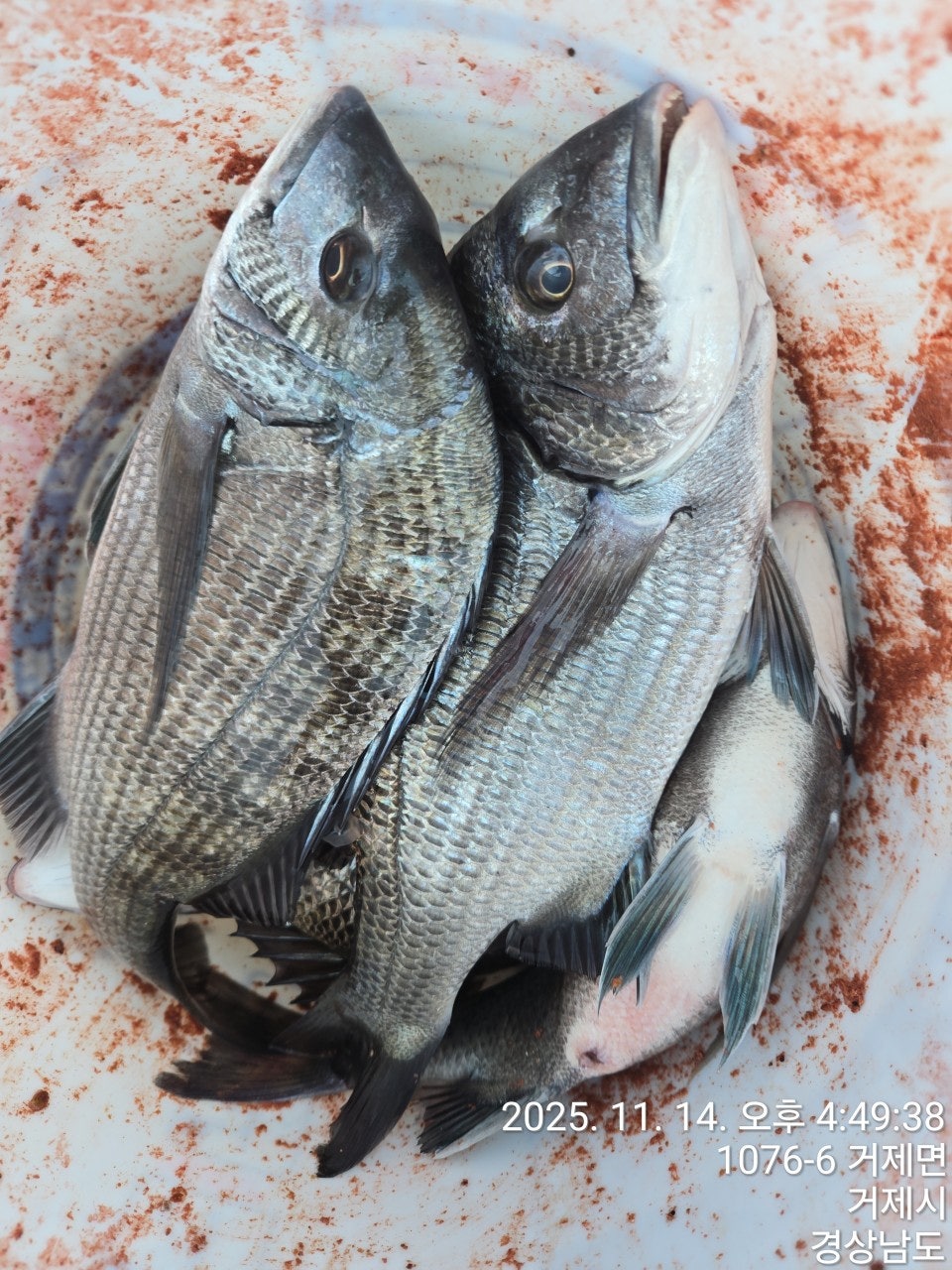
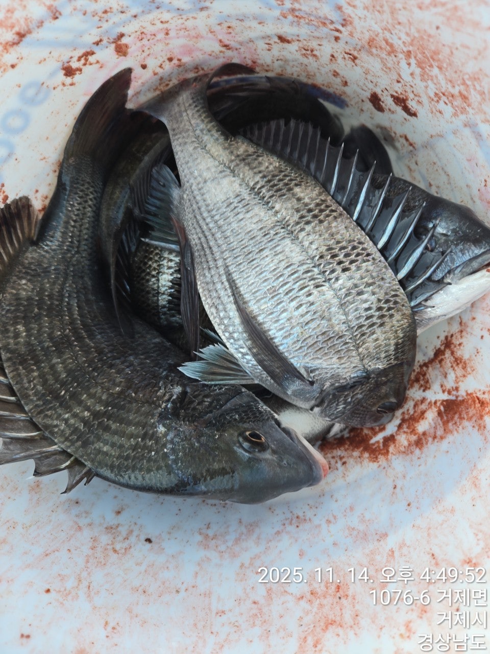
특정 포인트 감성돔떼 포착!!
  • 사용자가 올린 이미지

거제 대어 선외기입니다.
영업 구역내 갑오징어 소식입니다~ 어장낚시 섬치기 모두 갑오징어
조황이 확인되고 있고 서서히 덩치를 키워가는 듯 손바닥보다 큰
놈들도 제법 보이네요~ 특정 포인트 씨알 좋은 감성돔 조황이
꾸준하게 이어지고 있습니다. 4짜오버부터 4짜급 중치급까지
다양한 씨알 속 막강한 파워로 팅 팅 터트리는 녀석들도 있으니
원줄 목줄 튼튼히 준비하셔서 선외기 감성돔낚시 도전해보십시오~
내일부터 살아나는 물때 속 선외기 예약 가능합니다~

17일(월요일) 선외기대여 갑오징어낚시 감성돔, 문어낚시와 선단 감성돔낚시
예약 가능합니다.
날씨가 새벽과 오후에는 차가울 정도, 낚시복 및 방한복을 준비할 시기입니다.
오늘도 거제 대어 선외기와 함께해주신 조사님들 수고 많으셨습니다.

▣ 거제대어낚시선외기대여 일정 안내 ▣
★숙박+낚시배를 동시에 이용하고자 하는 분들은 할인 혜택 적용.
☆17일(월) 선외기 "감성돔 돌문어낚시, 선단 감성돔 "예약가능"
☆18일(화) 선외기 "감성돔 돌문어낚시, 선단 감성돔 "예약가능"
☆19일(수) 선외기 "감성돔 돌문어낚시, 선단 감성돔 "예약가능"
☆20일(목) 선외기 "감성돔 돌문어낚시, 선단 감성돔 "예약가능"
☆21일(금) 선외기 "감성돔 돌문어낚시, 선단 감성돔 "예약가능"
☆22일(토) 선외기 "감성돔 돌문어낚시, 선단 감성돔 "예약가능"
※ 주말 공휴일은 미리 미리 예약을 해 주시길 바랍니다.
※ 낚시장비가 필요하신 분들은 임대 해 드립니다. 예약시 꼭 알려 주세요.

거제대어낚시 선외기(선상)낚시 예약(독채 민박)
문의 ☎ 010-640-2082 / ☎ 010-454-3937
ㅁ선외기 예약: ☎ 010-6400-2082
■ 밴드: https://band.us/@geojedaefishing
  • 사용자가 올린 이미지
  • 사용자가 올린 이미지
  • 사용자가 올린 이미지
(특정 포인트 몇 일째 감성돔 조황이 다~!!!)
  • 사용자가 올린 이미지
  • 사용자가 올린 이미지
  • 사용자가 올린 이미지
  • 사용자가 올린 이미지
  • 사용자가 올린 이미지
  • 사용자가 올린 이미지
  • 사용자가 올린 이미지
  • 사용자가 올린 이미지
  • 사용자가 올린 이미지
  • 사용자가 올린 이미지
  • 사용자가 올린 이미지
선외기 대여 ▣
(4인승)- 13만원, (3인승) - 10만원 / (2인승) - 8만원 / (1인승)- 7만원.
영업구역 내 조정면허증 필요 없으므로, 누구나 이용이 가능합니다.
회사팀/기업팀/동호회팀/선상 낚시대회도 가능한 충분한 인원을 수용 가능.

(내만권/중장거리 상시 출조)
한나절:새벽부터 ~ 2시까지(유동적) 14만원
- 밑밥,미끼,도시락 제공, 커피, 음료, 생수 제공
(낚싯대) 기본 1.5호~2호대 530(경질대 선호)
(릴) 4000번~6000번. 권사량 150~200미터 추천되는 스피닝릴.
(라인) 원줄 4~6호 플로팅 세미타입, 목줄 후로로카본 100% 4호~6호 선호.
(바늘) 참돔 8~12호, 큐션또는 수중큐션 -2B ~ -5B, 좁쌀봉돌, 스위벨도래
※독배는 시간 조정 가능합니다.

▦ 거제대어낚시 참돔 시상 내역 ▦ 일 1명씩 시상됩니다.
68Cm 이상 - 최상급 원줄 증정

■ 생활낚시 & 낚시체험
- 상시 예약 출조 가능합니다.
- 낚은 고기로 회썰어 드립니다.
- 몸만 오시면 됩니다.(낚싯대, 장비일절제공, 구명복 제공)

★안전 주의 사항★
- 거제대어낚시 선단 이용시, 안전한 낚시를 위해 선착장 통로 이용시
바닥 및 부대시설에 대해 미끌림을 주의 해 주시길 바랍니다. 통로 좌우에
있는 핸들을 잡고 이동하시면 안전합니다.
- 선착장 도착전, 배에서 미리 내리지 마시고, 배가 정박하고, 로프를 묶은
뒤에 하선해 주시길 바랍니다.

★대어낚시 선단★
거제 대어낚시 1호 ㅡ 안젤라호
거제 대어낚시 2호 ㅡ 안드레아호
거제 대어낚시 3호 ㅡ 야호(YAHO)
거제 대어낚시 4호 ㅡ 돌핀호
거제 대어낚시 5호 ㅡ 미래호
거제 대어낚시 6호 ㅡ 거제바다호
거제 대어낚시 7호 ㅡ 사랑호
거제 대어낚시 8호 ㅡ 대어호

■ 주변 제휴 민박집 ■
아지랑 민박(단체-독채) ☎010-6400-2082
해송굴구이민박(단체) ☎010-2545-3755
거제 대어낚시 주변 파라스파찜질방 검색하시면 됩니다.

거제대어낚시 선외기(선상)낚시 예약(독채 민박)
010-6400-2082 / ☎ 010-4547-3937
ㅁ선외기: ☎ 010-6400-2082
■ 밴드: https://band.us/@geojedaeeofishing

★찾아오시는길★
※출항지: 거제시 거제면 법동리 1074번지 아지랑경로당 방파제
사무실 :거제시 거제면 서정리 746-3(GS25시편의점)검색하시면 바로 옆 위치
★★★신분증 꼭 지참해주세요★★★
  • 사용자가 올린 이미지

, , , , , , , , , , , , , , , , , , , , , , , , , , , , , , , , , ,

  • 페이스북으로 보내기
  • 트위터로 보내기
  • 구글플러스로 보내기
  • 카카오스토리로 보내기
  • 네이버밴드로 보내기
  • 네이버로 보내기
  • 텀블러로 보내기
  • 핀터레스트로 보내기
0 댓글
포토 제목
 
 

인낚 최신글


인낚 최신댓글


온라인 문의 안내


월~금 : 9:00 ~ 18:00
토/일/공휴일 휴무
점심시간 : 12:00 ~ 13:00