네임
카드
카드
진해레져
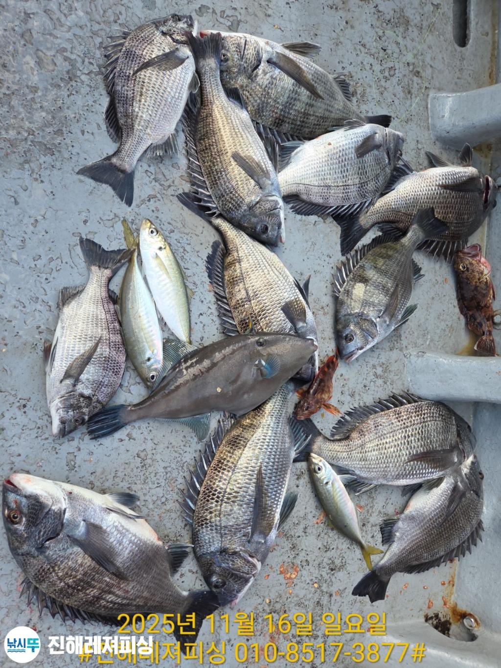
감성돔 47.47.45...손맛으로 스타트~예약가능
낚시뚜에서 인낚으로 보내는 자동조황
| |||||||||||||||||||
감성돔 (카고) ㅡ47.47.45... 손맛으로 스타트 (내일 예약가능) ㅡㅡㅡㅡㅡㅡㅡㅡㅡㅡㅡㅡㅡㅡㅡㅡㅡㅡㅡㅡㅡㅡ ㅡ 내만칼치 ㅡ 씨알급으로 손맛굿굿 (오늘.내일 예약가능) ㅡㅡㅡㅡㅡㅡㅡㅡㅡㅡㅡㅡㅡㅡㅡㅡㅡㅡㅡㅡㅡㅡ ● 기분좋은 출조길 함께하실분은 연락주세요 ● 문의 ㅡ010-8517-3877 ㅡ 진해레져피싱 ■■■ 감성돔 ■■■ ㅡ 카고 / 흘림 ㅡ 매일 출조합니다 . 씨알. 마릿수 기대됩니다 물칸에 감시 함 채워봅시더~~ ●●● 출항시간 ●●● ○ 매일ㅡ 1. 2호선으로( 카고/흘림 )출조합니다 1항차 ㅡ오전6시 (오후2시) 2항차 ㅡ오전10시 (오후5시) ○ 출항 30분전까지 가게로 오시면됩니다 예약은 서둘러주세요 .감사합니다 ■■ 예약현황 ■■ 11/17(월) ㅡ1호선 ㅡ카고 / 2호선 ㅡ흘림 11/18(화) ㅡ1호선 ㅡ카고 / 2호선 ㅡ흘림 11/19(수) ㅡ1호선 ㅡ카고 / 2호선 ㅡ흘림 11/20(목) ㅡ1호선 ㅡ카고 / 2호선 ㅡ흘림 11/21(금) ㅡ1호선 ㅡ카고 / 2호선 ㅡ흘림 11/22(토) ㅡ1호선 ㅡ카고 / 2호선 ㅡ흘림 11/23(일) ㅡ1호선 ㅡ흘림 예약완료/ 2호선 ㅡ흘림 11/24(월) ㅡ1호선 ㅡ카고 / 2호선 ㅡ흘림 ( 예약하실때 ) ㅡ카고인지. ㅡ흘림인지 꼭 말씀해주세요 ️ㅡ010-8517-3877 ☆1.2호선으로 출조합니다 10톤 /5톤 출조 ㅡ개인 및 독배가능합니다 ○ 출항시간 . 입항시간은 물때. 기상에 따라서 변동 사항이 있을수 있습니다. 출항전날 미리 문자 및 전화를 드립니다 ○ 시간관계없이 3분이상이면 출조가능합니다 2~3일전 사전예약 필수 ㅡ 3분 이상출조 / 4분이상 독배가능합니다 사전 예약받습니다 ○자리는 추첨제입니다 ○이틀연속 출조하는분. 자리선택가능 (닻도우미 자리선택가능) ️카고ㅡ선비:밑밥.크릴 .옥수수 포함 (12만원) ️대체미끼는 (옥수수) 드립니다 ️흘림ㅡ선비:밑밥.크릴 포함 (10만원) 대체미끼는 개인준비(민물새우.경단) ㅡㅡㅡㅡㅡㅡㅡㅡㅡㅡㅡㅡㅡㅡㅡㅡㅡㅡㅡ 문의 010-8517-3877 진해레져피싱 ●감성돔 카고채비● • 낚시대ㅡ감성돔(2호~3호대).카고대(2호~3호) • 릴 ㅡ 4000~6000번. 원줄5호~6호.목줄3호~5호 • 카고망 ㅡ30호~40호. 추가봉돌10호(준비) • 바늘 ㅡ5호~7호 ●감성돔 흘림채비● • 낚시대 ㅡ감성돔 전용 0.8~1.5호 • 릴 -ㅡ2000~3000번 원줄ㅡ 2.5~3호/목줄ㅡ1.5호~2호) • 찌 ㅡ 막대찌 2호~3호 • 바늘 3~5호 ㅡㅡㅡㅡㅡㅡㅡㅡㅡㅡㅡㅡㅡㅡㅡㅡㅡㅡㅡㅡ ■■■ 내만칼치 ■■■ 내만칼치 ㅡ씨알 좋습니다 오늘 .내일도 달립니다. 조황이 좋은쪽으로 출조합니다 문의 ㅡ010-8517-3877 ● 초보자분들도 손맛가득 볼수있습니다 ● 낚시대 대여가능 ■ 배타는곳에 가게 있습니다. 배앞 주차후 가게로오셔서 승선명부 작성하시고 배타시면됩니다. ● 필요하신 채비. 미끼 가게에서 구입가능합니다 문의 ㅡ010-8517-3877 진해레져피싱 ● 32리터이하 쿨러 가져오세요. ■■■ 내만칼치 ■■■ ● 선비ㅡ8만원 ● 출항시간 ㅡㅡ 5시30분출항 ● 루어.텐야.텐빈 다 잘 물어요. ● 수제도시락.컵라면.생수.캔음료.얼음 무료제공 ● 꽁치 미끼 가게에서 구입가능합니다 문의 ㅡ010-8517-3877 진해레져피싱 ■ 자리는 추첨제입니다 ● 낚시대 2대까지 사용가능 ■■20년이상 오랜 경험과 노하우로 즐거운출조 조황 책임지고 모시겠습니다 ■문의ㅡ010ㅡ8517ㅡ38 ●●● 예약현황 ●●● 11/16(일) ㅡ예약가능 11/17(월) ㅡ예약가능 11/18(화) ㅡ예약가능 11/19(수) ㅡ예약가능 쭉 ㅡ예약가능합니다 문의 ㅡ010-8517-3877 진해레져피싱 ㅡㅡㅡㅡㅡㅡㅡㅡㅡㅡㅡㅡㅡㅡㅡㅡㅡㅡㅡ 밴드 가입시ㅡ실시간 및 동영상 볼수있습니다 https://band.us/n/a7a2Adf6ceg4O ■문의ㅡ010ㅡ8517ㅡ3877 가게주소 ㅡ배타곳 앞에 가게있습니다 #배타는곳ㅡ창원시 진해구 장천동 782번지 #수협 2060 0077 8533 김종호 입금후 문자넣어주세요 ㅣ | |||||||||||||||||||
![]() ![]() ![]() ![]() ![]() ![]() ![]()
![]() | |||||||||||||||||||
| |||||||||||||||||||
![]() |
|
|
|
|




























